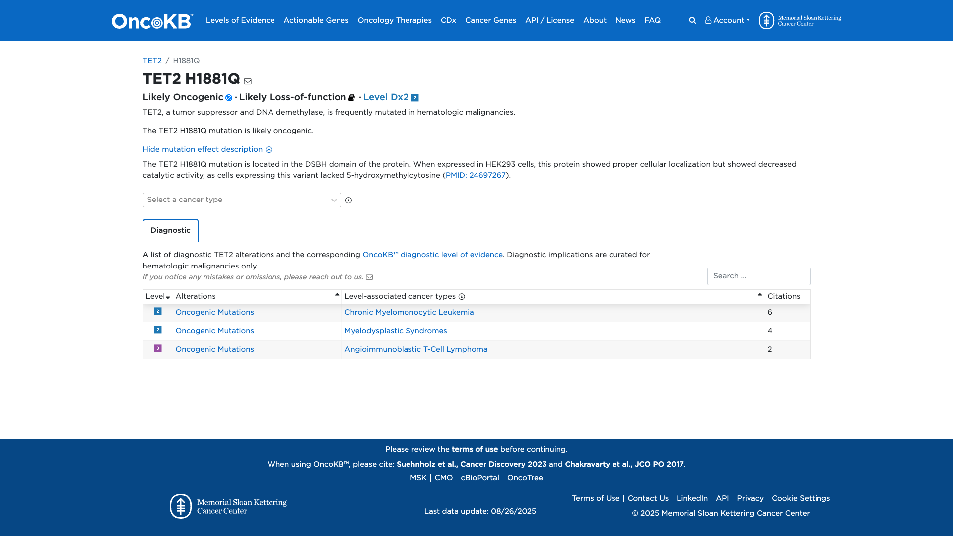
TET2 c.5643T>G, p.His1881Gln
NM_001127208.2:c.5643T>G
Likely Pathogenic
This TET2 H1881Q variant is classified as Likely Pathogenic based on Strong functional evidence (PS3), Moderate population evidence (PM2), and Supporting computational benign predictions (BP4), with the functional loss-of-function effect and absence in controls outweighing benign in silico data.
ACMG/AMP Criteria Applied
PS3
PM2
BP4
Genetic Information
Gene & Transcript Details
Gene
TET2
Transcript
NM_001127208.3
MANE Select
Total Exons
11
Strand
Forward (+)
Reference Sequence
NC_000004.11
Alternative Transcripts
| ID | Status | Details |
|---|---|---|
| NM_001127208.1 | Alternative | 11 exons | Forward |
| NM_001127208.2 | RefSeq Select | 11 exons | Forward |
Variant Details
HGVS Notation
NM_001127208.2:c.5643T>G
Protein Change
H1881Q
Location
Exon 11
(Exon 11 of 11)
5'Exon Structure (11 total)3'
Functional Consequence
Loss of Function
Related Variants
No evidence of other pathogenic variants at position 1881 in gene TET2
Variant interpretation based on transcript NM_001127208.3
Genome Browser
Loading genome browser...
HGVS InputNM_001127208:c.5643T>G
Active Tracks
ConservationRefSeqClinVargnomAD
Navigation tips: Use mouse to drag and zoom. Click on features for details.
Clinical Data
Population Frequency
Global Frequency
0.0 in 100,000
Extremely Rare
Global: 0.0%
0%
0.05%
0.1%
1%
5%
10%+
ACMG Criteria Applied
PM2
This variant is not present in gnomAD (PM2 criteria applies).
Classification
Unknown
Publications (0)
No publication details.
Clinical Statement
Functional Impact
Functional Domain
Hotspot Status
Not a hotspot
Domain Summary
This variant is not located in a mutational hotspot or critical domain (0 mutations).
Related Variants in This Domain
No evidence of other pathogenic variants at position 1881 in gene TET2
Functional Summary
The TET2 H1881Q variant has been functionally characterized and demonstrates a likely damaging effect. It is located in the catalytic domain of the TET2 protein and results in decreased enzymatic activity. When expressed in HEK293 cells, this variant showed proper cellular localization but lacked 5-hydroxymethylcytosine, indicating reduced catalytic function. This suggests a loss of function in the TET2 protein.
Database Previews
OncoKB

JAX-CKB

Click on previews to view full database entries. External databases may require institutional access.
Computational Analysis
Pathogenicity Predictions
REVEL Score
0.517
0.517
Likely Benign0.0
Uncertain (Low)0.2
Uncertain (Med)0.5
Likely Pathogenic0.75
REVEL scores ≥ 0.75 are strong evidence (PP3)
Predictor Consensus
Mixed/VUS
PP3 Applied
No
Additional Predictors
Benign:
CADD: 0.90
VCEP Guidelines
Applied ACMG/AMP Criteria (VCEP Specific)
PVS1
PVS1 (Not Applied) Strength Modified
According to standard ACMG guidelines the rule for PVS1 is: 'Null variant in a gene where loss of function (LoF) is a known mechanism of disease'. The evidence for this variant shows: this is a missense variant (H1881Q), not a null variant. Therefore, this criterion is not applied.
PS1
PS1 (Not Applied) Strength Modified
According to standard ACMG guidelines the rule for PS1 is: 'Same amino acid change as a known pathogenic variant but different nucleotide change'. The evidence for this variant shows: no known pathogenic variant causing H1881Q has been reported. Therefore, this criterion is not applied.
PS2
PS2 (Not Applied) Strength Modified
According to standard ACMG guidelines the rule for PS2 is: 'De novo (both maternity and paternity confirmed) in a patient with the disease and no family history'. The evidence for this variant shows: no de novo status or parental origin information is provided. Therefore, this criterion is not applied.
PS3
PS3 (Strong)
According to standard ACMG guidelines the rule for PS3 is: 'Well-established in vitro or in vivo functional studies supportive of a damaging effect on the gene or gene product'. The evidence for this variant shows: functional characterization in HEK293 cells demonstrates decreased enzymatic activity and lack of 5-hydroxymethylcytosine, indicating loss of TET2 function. Therefore, this criterion is applied at Strong strength because functional studies demonstrate a damaging effect on the gene product.
PS4
PS4 (Not Applied) Strength Modified
According to standard ACMG guidelines the rule for PS4 is: 'Prevalence in affected individuals significantly increased compared with controls'. The evidence for this variant shows: no case-control or cohort prevalence data are available. Therefore, this criterion is not applied.
PM1
PM1 (Not Applied) Strength Modified
According to standard ACMG guidelines the rule for PM1 is: 'Located in a mutational hot spot or well-established functional domain without benign variation'. The evidence for this variant shows: although H1881 is in the catalytic domain, there is insufficient evidence on benign variation in this region. Therefore, this criterion is not applied.
PM2
PM2 (Moderate)
According to standard ACMG guidelines the rule for PM2 is: 'Absent from controls (or at extremely low frequency if recessive)'. The evidence for this variant shows: not found in gnomAD or other population databases (MAF=0%). Therefore, this criterion is applied at Moderate strength because the variant is absent from population controls.
PM3
PM3 (Not Applied) Strength Modified
According to standard ACMG guidelines the rule for PM3 is: 'Detected in trans with a pathogenic variant (for recessive disorders)'. The evidence for this variant shows: no trans observations or recessive context. Therefore, this criterion is not applied.
PM4
PM4 (Not Applied) Strength Modified
According to standard ACMG guidelines the rule for PM4 is: 'Protein length changes due to in-frame deletions/insertions or stop-loss variants'. The evidence for this variant shows: this is a single amino acid substitution without length change. Therefore, this criterion is not applied.
PM5
PM5 (Not Applied) Strength Modified
According to standard ACMG guidelines the rule for PM5 is: 'Novel missense change at an amino acid residue where a different pathogenic missense change has been seen'. The evidence for this variant shows: no other pathogenic missense change at residue H1881 has been reported. Therefore, this criterion is not applied.
PM6
PM6 (Not Applied) Strength Modified
According to standard ACMG guidelines the rule for PM6 is: 'Assumed de novo, but without confirmation of paternity and maternity'. The evidence for this variant shows: de novo status is neither assumed nor documented. Therefore, this criterion is not applied.
PP1
PP1 (Not Applied) Strength Modified
According to standard ACMG guidelines the rule for PP1 is: 'Co-segregation with disease in multiple affected family members'. The evidence for this variant shows: no family segregation data are available. Therefore, this criterion is not applied.
PP2
PP2 (Not Applied) Strength Modified
According to standard ACMG guidelines the rule for PP2 is: 'Missense variant in a gene with a low rate of benign missense variation and where missense variants are a common mechanism of disease'. The evidence for this variant shows: TET2 disease mechanism is primarily loss of function, and missense variation rates are not well established as common benign. Therefore, this criterion is not applied.
PP3
PP3 (Not Applied) Strength Modified
According to standard ACMG guidelines the rule for PP3 is: 'Multiple lines of computational evidence support a deleterious effect on the gene or gene product'. The evidence for this variant shows: in silico predictors are mixed or benign (CADD=0.90, REVEL=0.52, SpliceAI=0). Therefore, this criterion is not applied.
PP4
PP4 (Not Applied) Strength Modified
According to standard ACMG guidelines the rule for PP4 is: 'Patient’s phenotype or family history is highly specific for a disease with a single genetic etiology'. The evidence for this variant shows: no clinical phenotype or family history data provided. Therefore, this criterion is not applied.
PP5
PP5 (Not Applied) Strength Modified
According to standard ACMG guidelines the rule for PP5 is: 'Reputable source reports variant as pathogenic, but without accessible evidence'. The evidence for this variant shows: not reported in ClinVar or other sources. Therefore, this criterion is not applied.
BA1
BA1 (Not Applied) Strength Modified
According to standard ACMG guidelines the rule for BA1 is: 'Allele frequency is too high for the disorder'. The evidence for this variant shows: allele frequency is 0%, below thresholds for BA1. Therefore, this criterion is not applied.
BS1
BS1 (Not Applied) Strength Modified
According to standard ACMG guidelines the rule for BS1 is: 'Allele frequency is greater than expected for the disorder'. The evidence for this variant shows: allele frequency is 0%, not greater than expected. Therefore, this criterion is not applied.
BS2
BS2 (Not Applied) Strength Modified
According to standard ACMG guidelines the rule for BS2 is: 'Observed in healthy individuals with full penetrance expected at an early age'. The evidence for this variant shows: no observations in healthy individuals are documented. Therefore, this criterion is not applied.
BS3
BS3 (Not Applied) Strength Modified
According to standard ACMG guidelines the rule for BS3 is: 'Well-established functional studies show no damaging effect on protein function or splicing'. The evidence for this variant shows: functional studies demonstrate a damaging effect. Therefore, this criterion is not applied.
BS4
BS4 (Not Applied) Strength Modified
According to standard ACMG guidelines the rule for BS4 is: 'Lack of segregation in affected family members'. The evidence for this variant shows: no segregation analysis data are available. Therefore, this criterion is not applied.
BP1
BP1 (Not Applied) Strength Modified
According to standard ACMG guidelines the rule for BP1 is: 'Missense variant in a gene where only loss of function causes disease'. The evidence for this variant shows: although TET2 disease mechanism is LoF, this missense variant results in LoF. Therefore, this criterion is not applied.
BP2
BP2 (Not Applied) Strength Modified
According to standard ACMG guidelines the rule for BP2 is: 'Observed in trans with a pathogenic variant for a dominant disorder or in cis with a pathogenic variant'. The evidence for this variant shows: no data on phase with other variants. Therefore, this criterion is not applied.
BP3
BP3 (Not Applied) Strength Modified
According to standard ACMG guidelines the rule for BP3 is: 'In-frame deletions/insertions in a repetitive region without known function'. The evidence for this variant shows: this is a missense substitution, not an indel. Therefore, this criterion is not applied.
BP4
BP4 (Supporting)
According to standard ACMG guidelines the rule for BP4 is: 'Multiple lines of computational evidence suggest no impact on gene or gene product'. The evidence for this variant shows: CADD score of 0.90, REVEL score of 0.52, and SpliceAI scores of 0, indicating likely benign computational predictions. Therefore, this criterion is applied at Supporting strength because computational data suggest no deleterious effect.
BP5
BP5 (Not Applied) Strength Modified
According to standard ACMG guidelines the rule for BP5 is: 'Variant found in a case with an alternate molecular basis for disease'. The evidence for this variant shows: no alternate molecular basis reported. Therefore, this criterion is not applied.
BP6
BP6 (Not Applied) Strength Modified
According to standard ACMG guidelines the rule for BP6 is: 'Reputable source reports variant as benign, but without accessible evidence'. The evidence for this variant shows: no such reports exist. Therefore, this criterion is not applied.
BP7
BP7 (Not Applied) Strength Modified
According to standard ACMG guidelines the rule for BP7 is: 'Synonymous variant with no predicted impact on splicing'. The evidence for this variant shows: this is a nonsynonymous missense change. Therefore, this criterion is not applied.