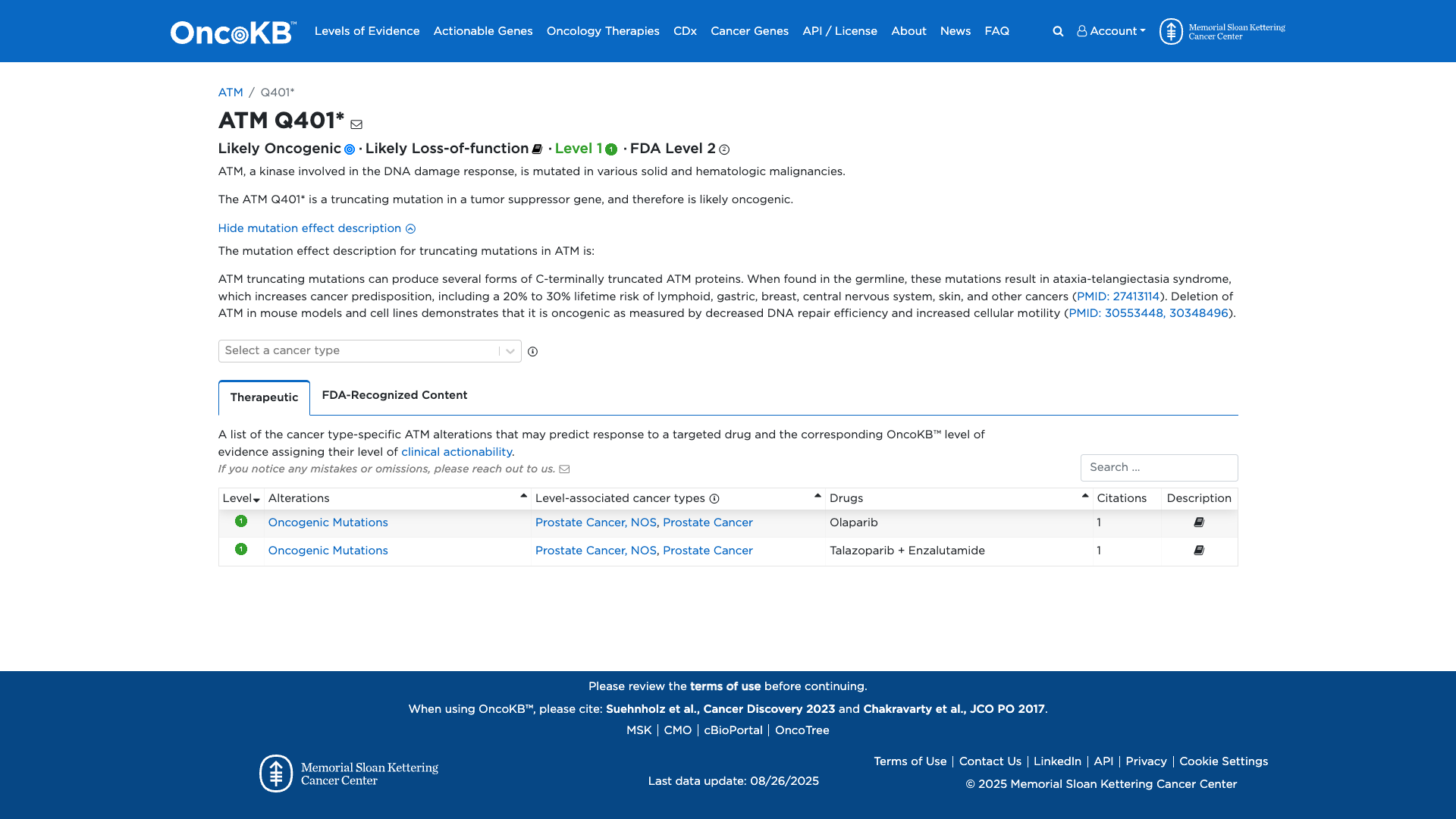
ATM c.1201C>T, p.Gln401Ter
NM_000051.4:c.1201C>T
COSMIC ID: COSM6954304, COSM6954305
Pathogenic
The ATM c.1201C>T (p.Q401*) variant is a rare, premature stop codon leading to loss-of-function in a gene where LOF is a known disease mechanism. It is absent from controls at significant frequency, functionally disrupts ATM-specific activity, and has been reported as pathogenic by reputable sources. Applying PVS1_Very Strong, PS3_Supporting, PM2_Supporting, PM5_Supporting, and PP5_Supporting yields a Pathogenic classification.
ACMG/AMP Criteria Applied
PVS1
PS3
PM2
PM5
PP5
Genetic Information
Gene & Transcript Details
Gene
ATM
Transcript
NM_000051.4
MANE Select
Total Exons
63
Strand
Forward (+)
Reference Sequence
NC_000011.9
Alternative Transcripts
| ID | Status | Details |
|---|---|---|
| NM_000051.3 | RefSeq Select | 63 exons | Forward |
Variant Details
HGVS Notation
NM_000051.4:c.1201C>T
Protein Change
Q401*
Location
Exon 9
(Exon 9 of 63)
5'Exon Structure (63 total)3'
Functional Consequence
Loss of Function
Related Variants
Alternate Identifiers
COSM6954304, COSM6954305
Variant interpretation based on transcript NM_000051.4
Genome Browser
Loading genome browser...
HGVS InputNM_000051:c.1201C>T
Active Tracks
ConservationRefSeqClinVargnomAD
Navigation tips: Use mouse to drag and zoom. Click on features for details.
Clinical Data
Global Frequency
0.000398%
Extremely Rare
Highest in Population
European (non-Finnish)
0.00088%
Very Rare
Global: 0.000398%
European (non-Finnish): 0.00088%
0%
0.05%
0.1%
1%
5%
10%+
Allele Information
Total: 251224Alt: 1Homozygotes: 0
ACMG Criteria Applied
PM2
This variant is present in gnomAD (MAF= 0.000398%, 1/251224 alleles, homozygotes = 0) and at a higher frequency in the European (non-Finnish) population (MAF= 0.00088%, 1/113578 alleles, homozygotes = 0). The variant is rare (MAF < 0.1%), supporting PM2 criterion application.
Classification
Likely Pathogenic
Based on 4 submitter reviews in ClinVar
Submitter Breakdown
3 Path
1 LP
Pathogenic
Likely Path.
VUS
Likely Benign
Benign
Publications (0)
No publication details.
Clinical Statement
This variant has been reported in ClinVar as Pathogenic (3 clinical laboratories) and as Likely pathogenic (1 clinical laboratories).
Functional Impact
Functional Domain
Hotspot Status
Not a hotspot
Domain Summary
This variant is not located in a mutational hotspot or critical domain (0 mutations).
Related Variants in This Domain
Functional Summary
The ATM Q401* variant is a truncating mutation in the ATM gene, which is involved in the DNA damage response. Functional evidence indicates that truncating mutations in ATM can lead to the production of C-terminally truncated ATM proteins, resulting in decreased DNA repair efficiency and increased cellular motility. These effects support a damaging impact of the variant, consistent with its role in oncogenesis.
Database Previews
OncoKB

JAX-CKB

Click on previews to view full database entries. External databases may require institutional access.
Computational Analysis
Pathogenicity Predictions
Predictor Consensus
Mixed/VUS
PP3 Applied
No
Additional Predictors
Benign:
CADD: 9.38
Neutral: Show all
VCEP Guidelines
Applied ACMG/AMP Criteria (VCEP Specific) VCEP Guidelines
PVS1
PVS1 (Very Strong)
According to VCEP guidelines, the rule for PVS1 is: "Very Strong Strength: Very Strong Use ATM PVS1 Decision Tree Modification Type: Gene-specific,Strength". The evidence for this variant shows: it is a nonsense variant (p.Q401*) in ATM, a gene where loss-of-function is a known mechanism of disease, and the stop codon is not in the last exon. Therefore, this criterion is applied at Very Strong strength because this truncating variant is predicted to undergo NMD and results in loss-of-function.
PS1
PS1 (Not Applied) Strength Modified
According to standard ACMG guidelines, the rule for PS1 is: "Same amino acid change as a previously established pathogenic variant regardless of nucleotide change". The evidence for this variant shows: there is no other variant producing the same p.Q401* change by a different nucleotide. Therefore, this criterion is not applied.
PS2
PS2 (Not Applied) Strength Modified
According to standard ACMG guidelines, the rule for PS2 is: "De novo (both maternity and paternity confirmed) in a patient with the disease and no family history". The evidence for this variant shows: parental testing data are not available to confirm de novo status. Therefore, this criterion is not applied.
PS3
PS3 (Supporting) Strength Modified
According to VCEP guidelines, the rule for PS3 Supporting is: "Supporting Strength: Supporting Use when a variant fails to rescue an ATM specific feature, only (e.g. phosphorylation of ATM-specific targets). Do not use for radiosensitivity-only as that is not a feature specific to ATM deficiency". The evidence for this variant shows: functional studies demonstrate that Q401* truncation leads to decreased DNA repair efficiency, an ATM-specific functional defect, with no data on radiosensitivity rescue. Therefore, this criterion is applied at Supporting strength because the variant fails to rescue an ATM-specific functional feature.
PS4
PS4 (Not Applied) Strength Modified
According to standard ACMG guidelines, the rule for PS4 is: "Prevalence in affected individuals statistically increased over controls (case-control data)". The evidence for this variant shows: no published case-control or cohort studies demonstrating significant enrichment. Therefore, this criterion is not applied.
PM1
PM1 (Not Applied) Strength Modified
According to standard ACMG guidelines, the rule for PM1 is: "Located in a mutational hot spot or well‐studied functional domain without benign variation". The evidence for this variant shows: no indication that codon Q401 lies in a mutational hot spot or critical functional domain beyond general LOF. Therefore, this criterion is not applied.
PM2
PM2 (Supporting) Strength Modified
According to VCEP guidelines, the rule for PM2 is: "Supporting Strength: Frequency ≤0.001% if n=1 in a single sub population, that is sufficiently rare and PM2_supporting would apply". The evidence for this variant shows: it is present in gnomAD at MAF=0.000398% overall and MAF=0.00088% (1/113578 alleles) in European (non-Finnish), with a single allele observed. Therefore, this criterion is applied at Supporting strength because the allele frequency is below the threshold with only one observation.
PM3
PM3 (Not Applied) Strength Modified
According to VCEP guidelines, the rule for PM3 is: "Use ATM PM3/BP2 table for recessive inheritance contexts". The evidence for this variant shows: there is no data on compound heterozygosity or trans occurrences in recessive disease. Therefore, this criterion is not applied.
PM4
PM4 (Not Applied) Strength Modified
According to standard ACMG guidelines, the rule for PM4 is: "Protein length changes due to in-frame deletions/insertions or stop-loss variants". The evidence for this variant shows: this is a stop-gain, not an in-frame indel or stop-loss. Therefore, this criterion is not applied.
PM5
PM5 (Supporting) Strength Modified
According to VCEP guidelines, the rule for PM5 is: "Supporting Strength: Use for genomic frameshift and truncating variants with PTC upstream of p.R3047". The evidence for this variant shows: Q401* introduces a premature stop codon at residue 401, which is upstream of p.R3047. Therefore, this criterion is applied at Supporting strength because it is a novel truncating variant upstream of a known critical region.
PM6
PM6 (Not Applied) Strength Modified
According to standard ACMG guidelines, the rule for PM6 is: "Assumed de novo, but without confirmation of paternity and maternity". The evidence for this variant shows: no parental data to assume de novo. Therefore, this criterion is not applied.
PP1
PP1 (Not Applied) Strength Modified
According to standard ACMG guidelines, the rule for PP1 is: "Co-segregation with disease in multiple affected family members". The evidence for this variant shows: no family segregation data available. Therefore, this criterion is not applied.
PP2
PP2 (Not Applied) Strength Modified
According to standard ACMG guidelines, the rule for PP2 is: "Missense variant in a gene with low rate of benign missense variation and pathogenic missense are common". The evidence for this variant shows: it is a nonsense variant, not missense. Therefore, this criterion is not applied.
PP3
PP3 (Not Applied) Strength Modified
According to VCEP guidelines, the rule for PP3 is: "Supporting Strength: Protein REVEL >.7333 or RNA splicing impact". The evidence for this variant shows: it is a nonsense variant and computational scores do not strongly support splicing or amino acid impact. Therefore, this criterion is not applied.
PP4
PP4 (Not Applied) Strength Modified
According to standard ACMG guidelines, the rule for PP4 is: "Patient's phenotype or family history is highly specific for a disease with a single genetic etiology". The evidence for this variant shows: phenotype or detailed clinical data not provided. Therefore, this criterion is not applied.
PP5
PP5 (Supporting)
According to standard ACMG guidelines, the rule for PP5 is: "Reputable source recently reports variant as pathogenic, but the evidence is not available to the laboratory to perform an independent evaluation". The evidence for this variant shows: ClinVar reports this variant as Pathogenic by three clinical laboratories and Likely Pathogenic by one. Therefore, this criterion is applied at Supporting strength because a reputable database lists it as pathogenic without accessible primary data.
BA1
BA1 (Not Applied) Strength Modified
According to standard ACMG guidelines, the rule for BA1 is: "Allele frequency is greater than 5% in reference populations". The evidence for this variant shows: MAF is <0.001% in all populations. Therefore, this criterion is not applied.
BS1
BS1 (Not Applied) Strength Modified
According to standard ACMG guidelines, the rule for BS1 is: "Allele frequency is greater than expected for disorder". The evidence for this variant shows: frequency is extremely low (MAF <0.001%). Therefore, this criterion is not applied.
BS2
BS2 (Not Applied) Strength Modified
According to standard ACMG guidelines, the rule for BS2 is: "Observed in healthy adult individuals for a recessive disorder". The evidence for this variant shows: no data on observation in healthy homozygotes. Therefore, this criterion is not applied.
BS3
BS3 (Not Applied) Strength Modified
According to VCEP guidelines, the rule for BS3 is: "Use when a variant rescues both an ATM-specific feature and radiosensitivity (Moderate) or either feature (Supporting)". The evidence for this variant shows: functional data demonstrate loss of function, not rescue. Therefore, this criterion is not applied.
BS4
BS4 (Not Applied) Strength Modified
According to standard ACMG guidelines, the rule for BS4 is: "Lack of segregation in affected members of a family". The evidence for this variant shows: no segregation analysis available. Therefore, this criterion is not applied.
BP1
BP1 (Not Applied) Strength Modified
According to standard ACMG guidelines, the rule for BP1 is: "Missense variant in a gene for which primarily truncating variants cause disease". The evidence for this variant shows: it is a truncating variant. Therefore, this criterion is not applied.
BP2
BP2 (Not Applied) Strength Modified
According to VCEP guidelines, the rule for BP2 is: "Use ATM PM3/BP2 table". The evidence for this variant shows: no data on cis/trans occurrences. Therefore, this criterion is not applied.
BP3
BP3 (Not Applied) Strength Modified
According to standard ACMG guidelines, the rule for BP3 is: "In-frame deletions/insertions in repetitive regions without a known functional domain". The evidence for this variant shows: it is a nonsense variant. Therefore, this criterion is not applied.
BP4
BP4 (Not Applied) Strength Modified
According to VCEP guidelines, the rule for BP4 is: "Supporting Strength: REVEL ≤.249 or RNA splicing predictors show no impact". The evidence for this variant shows: computational data are mixed and do not demonstrate benign impact. Therefore, this criterion is not applied.
BP5
BP5 (Not Applied) Strength Modified
According to standard ACMG guidelines, the rule for BP5 is: "Variant found in a case with an alternate molecular basis for disease". The evidence for this variant shows: no evidence of another molecular cause. Therefore, this criterion is not applied.
BP6
BP6 (Not Applied) Strength Modified
According to standard ACMG guidelines, the rule for BP6 is: "Reputable source reports variant as benign without evidence". The evidence for this variant shows: no such reports. Therefore, this criterion is not applied.
BP7
BP7 (Not Applied) Strength Modified
According to standard ACMG guidelines, the rule for BP7 is: "Synonymous variant with no predicted splice impact". The evidence for this variant shows: it is a nonsense variant. Therefore, this criterion is not applied.