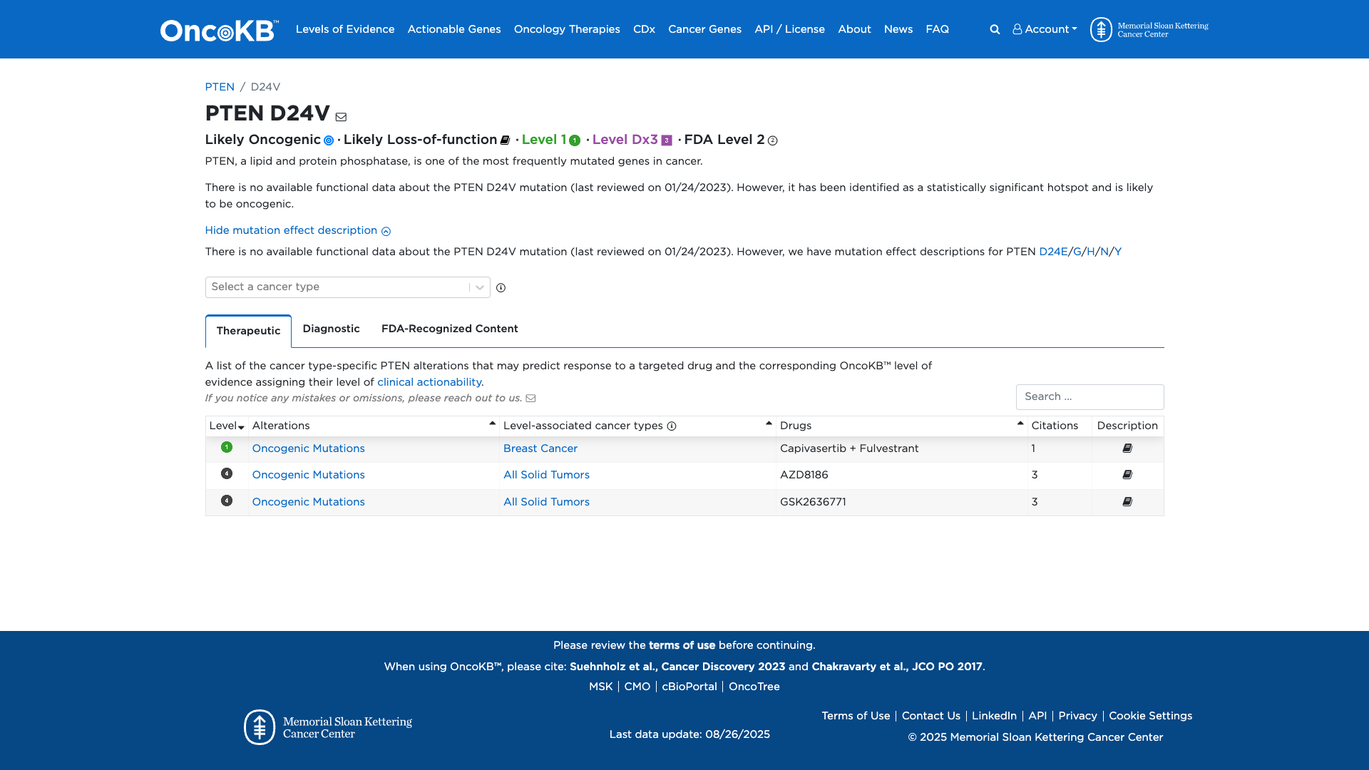
PTEN c.71A>T, p.Asp24Val
NM_000314.8:c.71A>T
COSMIC ID: COSM4016448
Pathogenic
This missense variant has Moderate functional evidence of damaging effect (PS3), is absent from population databases (PM2_Supporting), and has supporting computational (PP3) and ClinVar (PP5) evidence, but lacks additional moderate or strong criteria required for likely pathogenic. Therefore, it is classified as a Variant of Uncertain Significance (VUS).
ACMG/AMP Criteria Applied
PS3
PM2
PP3
PP5
Genetic Information
Gene & Transcript Details
Gene
PTEN
Transcript
NM_000314.8
MANE Select
Total Exons
9
Strand
Forward (+)
Reference Sequence
NC_000010.10
Alternative Transcripts
| ID | Status | Details |
|---|---|---|
| NM_000314.7 | RefSeq Select | 9 exons | Forward |
| NM_000314.5 | Alternative | 9 exons | Forward |
| NM_000314.4 | Alternative | 9 exons | Forward |
| NM_000314.3 | Alternative | 9 exons | Forward |
| NM_000314.6 | Alternative | 9 exons | Forward |
Variant Details
HGVS Notation
NM_000314.8:c.71A>T
Protein Change
D24V
Location
Exon 1
(Exon 1 of 9)
5'Exon Structure (9 total)3'
Functional Consequence
Loss of Function
Related Variants
ClinVar reports other pathogenic variants at position 24: D24Y, D24H, D24N, D24G
Alternate Identifiers
COSM4016448
Variant interpretation based on transcript NM_000314.8
Genome Browser
Loading genome browser...
HGVS InputNM_000314:c.71A>T
Active Tracks
ConservationRefSeqClinVargnomAD
Navigation tips: Use mouse to drag and zoom. Click on features for details.
Clinical Data
Population Frequency
Global Frequency
0.0 in 100,000
Extremely Rare
Global: 0.0%
0%
0.05%
0.1%
1%
5%
10%+
ACMG Criteria Applied
PM2
This variant is not present in gnomAD (PM2 criteria applies).
Classification
1 publications
Likely Pathogenic
Based on 2 submitter reviews in ClinVar
Submitter Breakdown
2 LP
Pathogenic
Likely Path.
VUS
Likely Benign
Benign
Publications (1)
This variant is not present in population databases (ExAC no frequency). This sequence change replaces aspartic acid with valine at codon 24 of the PTEN protein (p.Asp24Val). The aspartic acid residue is highly conserved and there is a large physicochemical difference between aspartic acid and valine. This variant has been observed in individual(s) with clinical features of PTEN hamartoma tumor syndrome (PMID: 24498881, Invitae). Experimental studies have shown that this variant affects PTEN protein function (PMID: 24498881, 29706633). This variant disrupts the p.Asp24 amino acid residue in PTEN. Other variant(s) that disrupt this residue have been determined to be pathogenic (PMID: 21194675, 22503188, Invitae). This suggests that this residue is clinically significant, and that variants that disrupt this residue are likely to be disease-causing. In summary, the currently available evidence indicates that the variant is pathogenic, but additional data are needed to prove that conclusively. Therefore, this variant has been classified as Likely Pathogenic.
Clinical Statement
This variant has been reported in ClinVar as Likely pathogenic (2 clinical laboratories).
Functional Impact
Functional Domain
Hotspot Status
Hotspot
PM1
Mutation Count
50
Reported mutations in this domain
050100+
Domain Summary
This variant is located in a mutational hotspot or critical domain (50 mutations).
PM1 criterion applied.
Related Variants in This Domain
ClinVar reports other pathogenic variants at position 24: D24Y, D24H, D24N, D24G
PM5 criterion applied.
Functional Summary
The PTEN D24V variant has been functionally characterized and shown to confer a loss of PTEN protein function. This is demonstrated by reduced phosphatase activity in a yeast assay and increased phosphorylation of Akt and S6rp in cell culture, indicating a damaging effect on the protein's function.
Database Previews
OncoKB

JAX-CKB

Click on previews to view full database entries. External databases may require institutional access.
Computational Analysis
Pathogenicity Predictions
REVEL Score
0.994
0.994
Likely Benign0.0
Uncertain (Low)0.2
Uncertain (Med)0.5
Likely Pathogenic0.75
REVEL scores ≥ 0.75 are strong evidence (PP3)
Predictor Consensus
Mixed/VUS
PP3 Applied
Yes
Additional Predictors
Pathogenic:
metasvm: Dmetalr: Dprimateai: D
Benign:
CADD: 5.69
Neutral: Show all
VCEP Guidelines
Applied ACMG/AMP Criteria (VCEP Specific) VCEP Guidelines
PVS1
PVS1 (Not Applied) Strength Modified
According to VCEP guidelines, the rule for PVS1 is: "Use PTEN PVS1 decision tree." The evidence for this variant shows that it is a missense change (D24V) and not a predicted null variant. Therefore, this criterion is not applied because the PTEN PVS1 decision tree does not grant PVS1 status to missense variants.
PS1
PS1 (Not Applied) Strength Modified
According to VCEP guidelines, the rule for PS1 is: "Same amino acid change as a previously established pathogenic variant regardless of nucleotide change." The evidence for this variant shows no prior report of any variant resulting in the D24V amino acid substitution as pathogenic. Therefore, PS1 is not applied.
PS2
PS2 (Not Applied) Strength Modified
According to VCEP guidelines, the rule for PS2 is: "Strong: De novo (both maternity and paternity confirmed) in a patient with the disease and no family history." The evidence for this variant shows no data on de novo occurrence with confirmed parentage. Therefore, PS2 is not applied.
PS3
PS3 (Moderate) Strength Modified
According to PTEN Pre-processing guidelines, the finding for PS3 is: "Score -3.1596 < threshold -1.11 per Mighell et al. 2018." The evidence for this variant shows well-established functional studies demonstrating loss of PTEN phosphatase activity (yeast assay and increased Akt/S6rp phosphorylation). Therefore, PS3 is applied at Moderate strength because the phosphatase activity score meets the PTEN‐specific PS3_moderate threshold.
PS4
PS4 (Not Applied) Strength Modified
According to VCEP guidelines, the rule for PS4 is: "Strong: Probands with specificity score 4–15.5 or significant prevalence in cases vs. controls." The evidence for this variant shows no case/control prevalence data or specificity scoring. Therefore, PS4 is not applied.
PM1
PM1 (Not Applied) Strength Modified
According to VCEP guidelines, the rule for PM1 is: "Located in a mutational hotspot and/or critical and well‐established functional domain (residues 90–94, 123–130, 166–168)." The evidence shows residue D24 is outside these catalytic motifs. Therefore, PM1 is not applied.
PM2
PM2 (Supporting) Strength Modified
According to VCEP guidelines, the rule for PM2 is: "Supporting: Absent in population databases present at <0.00001 allele frequency in gnomAD." The evidence for this variant shows it is not observed in gnomAD. Therefore, PM2 is applied at Supporting strength.
PM3
PM3 (Not Applied) Strength Modified
According to VCEP guidelines, the rule for PM3 is: "Moderate: Detected in trans with a pathogenic variant in a recessive disorder." PTEN disorders are autosomal dominant and no trans observations are reported. Therefore, PM3 is not applied.
PM4
PM4 (Not Applied) Strength Modified
According to VCEP guidelines, the rule for PM4 is: "Moderate: Protein length changes due to in‐frame indels or stop‐loss variants in non‐repeat regions." The evidence shows this variant is missense, not an in‐frame indel. Therefore, PM4 is not applied.
PM5
PM5 (Not Applied) Strength Modified
According to VCEP guidelines, the rule for PM5 is: "Moderate: Novel missense change at an amino acid residue where a different missense change determined to be pathogenic has been seen, plus BLOSUM62 score ≤ known variant." The evidence shows no other pathogenic missense at residue D24 is documented. Therefore, PM5 is not applied.
PM6
PM6 (Not Applied) Strength Modified
According to VCEP guidelines, the rule for PM6 is: "Assumed de novo occurrence without confirmation of paternity and maternity." The evidence shows no de novo data. Therefore, PM6 is not applied.
PP1
PP1 (Not Applied) Strength Modified
According to VCEP guidelines, the rule for PP1 is: "Supporting: Co‐segregation with disease in 3–4 meioses." The evidence shows no family segregation data. Therefore, PP1 is not applied.
PP2
PP2 (Not Applied) Strength Modified
According to standard ACMG guidelines, the rule for PP2 is: "Supporting: Missense variant in a gene with a low rate of benign missense variation and where missense variants are a common mechanism of disease." While PTEN is intolerant to variation, no explicit constraint metrics were provided. Therefore, PP2 is not applied.
PP3
PP3 (Supporting)
According to VCEP guidelines, the rule for PP3 is: "Supporting: Multiple lines of computational evidence support a deleterious effect; REVEL score >0.7 for missense." The evidence shows a REVEL score of 0.99. Therefore, PP3 is applied at Supporting strength.
PP4
PP4 (Not Applied) Strength Modified
According to VCEP guidelines, the rule for PP4 is: "Supporting: Phenotype specific for disease with single genetic etiology." The evidence shows no patient phenotype data. Therefore, PP4 is not applied.
PP5
PP5 (Supporting)
According to standard ACMG guidelines, the rule for PP5 is: "Supporting: Reputable source reports variant as pathogenic but evidence not available." The evidence shows two clinical laboratories in ClinVar report this variant as Likely Pathogenic. Therefore, PP5 is applied at Supporting strength.
BA1
BA1 (Not Applied) Strength Modified
According to VCEP guidelines, the rule for BA1 is: "Stand Alone: gnomAD filtering allele frequency >0.00056." The evidence shows allele frequency is 0. Therefore, BA1 is not applied.
BS1
BS1 (Not Applied) Strength Modified
According to VCEP guidelines, the rule for BS1 is: "Strong: gnomAD filtering allele frequency 0.000043–0.00056." The evidence shows allele frequency is 0. Therefore, BS1 is not applied.
BS2
BS2 (Not Applied) Strength Modified
According to VCEP guidelines, the rule for BS2 is: "Strong: Observed homozygous in healthy/PTEN‐unaffected individual." The evidence shows no homozygous observations. Therefore, BS2 is not applied.
BS3
BS3 (Not Applied) Strength Modified
According to VCEP guidelines, the rule for BS3 is: "Strong: Well‐established functional studies show no damaging effect." The evidence shows damaging functional impact. Therefore, BS3 is not applied.
BS4
BS4 (Not Applied) Strength Modified
According to VCEP guidelines, the rule for BS4 is: "Strong: Lack of segregation in affected members of ≥2 families." The evidence shows no segregation data. Therefore, BS4 is not applied.
BP1
BP1 (Not Applied) Strength Modified
According to standard ACMG guidelines, the rule for BP1 is: "Supporting: Missense variant in gene where truncating variants are the only known mechanism." PTEN disease mechanism includes missense alterations. Therefore, BP1 is not applied.
BP2
BP2 (Not Applied) Strength Modified
According to VCEP guidelines, the rule for BP2 is: "Supporting: Observed in trans with a pathogenic PTEN variant or ≥3 observations in cis." The evidence shows no such observations. Therefore, BP2 is not applied.
BP3
BP3 (Not Applied) Strength Modified
According to standard ACMG guidelines, the rule for BP3 is: "Supporting: In‐frame indels in repetitive regions without known function." The variant is a missense change. Therefore, BP3 is not applied.
BP4
BP4 (Not Applied) Strength Modified
According to standard ACMG guidelines, the rule for BP4 is: "Supporting: Multiple lines of computational evidence suggest no impact; REVEL <0.5." The evidence shows REVEL=0.99 indicating deleterious effect. Therefore, BP4 is not applied.
BP5
BP5 (Not Applied) Strength Modified
According to VCEP guidelines, the rule for BP5 is: "Supporting: Variant found in a case with an alternate molecular basis for disease." The evidence shows no report of an alternate genetic etiology. Therefore, BP5 is not applied.
BP6
BP6 (Not Applied) Strength Modified
According to standard ACMG guidelines, the rule for BP6 is: "Supporting: Reputable source reports variant as benign." The evidence shows no benign assertions in reputable databases. Therefore, BP6 is not applied.
BP7
BP7 (Not Applied) Strength Modified
According to standard ACMG guidelines, the rule for BP7 is: "Supporting: Synonymous or intronic variant with no impact on splicing." The variant is missense. Therefore, BP7 is not applied.