PTEN c.771_781del, p.Phe257LeufsTer37
NM_000314.8:c.771_781del
Pathogenic
This PTEN frameshift variant (F257Lfs*37) is classified as Pathogenic based on PVS1 (Very Strong; LOF in PTEN), PS3 (Strong; well-established functional studies demonstrating damaging effect), and PM2 (Supporting; absent from population databases).
ACMG/AMP Criteria Applied
PVS1
PS3
PM2
Genetic Information
Gene & Transcript Details
Gene
PTEN
Transcript
NM_000314.8
MANE Select
Total Exons
9
Strand
Forward (+)
Reference Sequence
NC_000010.10
Alternative Transcripts
| ID | Status | Details |
|---|---|---|
| NM_000314.7 | RefSeq Select | 9 exons | Forward |
| NM_000314.5 | Alternative | 9 exons | Forward |
| NM_000314.4 | Alternative | 9 exons | Forward |
| NM_000314.3 | Alternative | 9 exons | Forward |
| NM_000314.6 | Alternative | 9 exons | Forward |
Variant Details
HGVS Notation
NM_000314.8:c.771_781del
Protein Change
F257Lfs*37
Location
Exon 7
(Exon 7 of 9)
5'Exon Structure (9 total)3'
Functional Consequence
Loss of Function
Related Variants
No evidence of other pathogenic variants at position 257 in gene PTEN
Variant interpretation based on transcript NM_000314.8
Genome Browser
Loading genome browser...
HGVS InputNM_000314:c.771_781del
Active Tracks
ConservationRefSeqClinVargnomAD
Navigation tips: Use mouse to drag and zoom. Click on features for details.
Clinical Data
Population Frequency
Global Frequency
0.0 in 100,000
Extremely Rare
Global: 0.0%
0%
0.05%
0.1%
1%
5%
10%+
ACMG Criteria Applied
PM2
This variant is not present in gnomAD (PM2 criteria applies).
Classification
Unknown
Publications (0)
No publication details.
Clinical Statement
Functional Impact
Functional Domain
Hotspot Status
Not a hotspot
Domain Summary
This variant is not located in a mutational hotspot or critical domain (0 mutations).
Related Variants in This Domain
No evidence of other pathogenic variants at position 257 in gene PTEN
Functional Summary
The PTEN F257Lfs*37 variant is a truncating mutation that results in the loss of PTEN phosphatase function. Functional studies have demonstrated that such truncating mutations lead to an inability to negatively regulate the PI3K/AKT pathway, contributing to oncogenic activity. Additionally, expression of PTEN truncation mutations in model systems has shown increased genome fragility due to impaired chromosomal centromere association. Therefore, functional evidence supports a damaging effect of this variant.
Database Previews
OncoKB

JAX-CKB

Click on previews to view full database entries. External databases may require institutional access.
Computational Analysis
Pathogenicity Predictions
Predictor Consensus
Unknown
PP3 Applied
No
VCEP Guidelines
Applied ACMG/AMP Criteria (VCEP Specific) VCEP Guidelines
PVS1
PVS1 (Very Strong)
According to VCEP PTEN guidelines (PVS1 decision tree), the rule for PVS1 Very Strong is: "Null variant (nonsense, fs, start codon, splicing +1/2, startgain, single or multi-exon deletion) in a gene where LOF is a known mechanism of disease". The evidence for this variant shows: c.771_781delCTTCCACAAAC (F257Lfs*37) is a frameshift predicted to cause truncation and loss of PTEN function. Therefore, this criterion is applied at Very Strong strength because it is a null variant in PTEN, where loss of function is a known disease mechanism.
PS1
PS1 (Not Applied) Strength Modified
According to VCEP PTEN guidelines, PS1 Strong is: "Same amino acid change as a previously established pathogenic variant regardless of nucleotide change...". The evidence for this variant shows: it is a frameshift variant (F257Lfs*37), not the same amino acid change as any known pathogenic missense variant. Therefore, this criterion is not applied.
PS2
PS2 (Not Applied) Strength Modified
According to VCEP PTEN guidelines, PS2 Strong is: "De novo (both maternity and paternity confirmed) observation in a patient with the disease and no family history.". The evidence for this variant shows: no de novo data are available. Therefore, this criterion is not applied.
PS3
PS3 (Strong)
According to VCEP PTEN guidelines, PS3 Strong is: "Well-established in vitro or in vivo functional studies supportive of a damaging effect on the gene or gene product.". The evidence for this variant shows: functional studies demonstrate that F257Lfs*37 abolishes PTEN phosphatase activity, disrupts PI3K/AKT pathway regulation, and increases genome fragility. Therefore, this criterion is applied at Strong strength because well-established assays show a damaging effect.
PS4
PS4 (Not Applied) Strength Modified
According to standard ACMG (and VCEP PTEN) PS4, Strong is: "The prevalence of the variant in affected individuals is significantly increased compared with controls or proband specificity score 4–15.5.". The evidence for this variant shows: no case–control or proband specificity data are available. Therefore, this criterion is not applied.
PM1
PM1 (Not Applied) Strength Modified
According to VCEP PTEN guidelines, PM1 Moderate is: "Located in a mutational hotspot and/or critical and well-established functional domain (residues 90–94, 123–130, 166–168).". The evidence for this variant shows: F257Lfs*37 occurs outside those defined hotspots/domains. Therefore, this criterion is not applied.
PM2
PM2 (Supporting) Strength Modified
According to VCEP PTEN guidelines, PM2 Supporting is: "Absent in population databases present at <0.00001 (0.001%) allele frequency in gnomAD or another large sequenced population.". The evidence for this variant shows: it is not found in gnomAD (MAF = 0%). Therefore, this criterion is applied at Supporting strength because it is absent from large population databases.
PM3
PM3 (Not Applied) Strength Modified
According to standard ACMG, PM3 Moderate is: "For recessive disorders, detected in trans with a pathogenic variant.". The evidence for this variant shows: PTEN is autosomal dominant and no trans data exist. Therefore, this criterion is not applied.
PM4
PM4 (Not Applied) Strength Modified
According to standard ACMG, PM4 Moderate is: "Protein length changes due to in-frame indels or stop-loss variants.". The evidence for this variant shows: it is a frameshift resulting in truncation rather than an in-frame change. Therefore, this criterion is not applied.
PM5
PM5 (Not Applied) Strength Modified
According to VCEP PTEN guidelines, PM5 Moderate is: "Missense change at a residue where a different missense variant is pathogenic.". The evidence for this variant shows: it is a frameshift, not a missense change. Therefore, this criterion is not applied.
PM6
PM6 (Not Applied) Strength Modified
According to VCEP PTEN guidelines, PM6 Strong is: "Two assumed de novo occurrences without confirmation.". The evidence for this variant shows: no de novo assumption data. Therefore, this criterion is not applied.
PP1
PP1 (Not Applied) Strength Modified
According to VCEP PTEN guidelines, PP1 Supporting is: "Co-segregation with disease in multiple affected family members (3–4 meioses).". The evidence for this variant shows: no segregation data. Therefore, this criterion is not applied.
PP2
PP2 (Not Applied) Strength Modified
According to standard ACMG, PP2 Supporting is: "Missense variant in a gene with low rate of benign missense variation and where missense is common disease mechanism.". The evidence for this variant shows: it is a frameshift, not missense. Therefore, this criterion is not applied.
PP3
PP3 (Not Applied) Strength Modified
According to VCEP PTEN guidelines, PP3 Supporting is: "Multiple lines of computational evidence support a deleterious effect (e.g., REVEL >0.7 for missense).". The evidence for this variant shows: computational splicing analysis (SpliceAI max 0.06) does not predict splicing impact, and a frameshift is already covered by PVS1. Therefore, this criterion is not applied.
PP4
PP4 (Not Applied) Strength Modified
According to standard ACMG, PP4 Supporting is: "Patient phenotype highly specific for a single gene disorder.". The evidence for this variant shows: no detailed phenotype data provided. Therefore, this criterion is not applied.
PP5
PP5 (Not Applied) Strength Modified
According to standard ACMG, PP5 Supporting is: "Reputable source reports variant as pathogenic.". The evidence for this variant shows: not found in ClinVar or equivalent. Therefore, this criterion is not applied.
BA1
BA1 (Not Applied) Strength Modified
According to VCEP PTEN guidelines, BA1 Stand Alone is: "gnomAD allele frequency >0.00056.". The evidence for this variant shows: frequency is 0%. Therefore, this criterion is not applied.
BS1
BS1 (Not Applied) Strength Modified
According to VCEP PTEN guidelines, BS1 Strong is: "Allele frequency 0.000043–0.00056 in gnomAD.". The evidence for this variant shows: frequency is 0%. Therefore, this criterion is not applied.
BS2
BS2 (Not Applied) Strength Modified
According to VCEP PTEN guidelines, BS2 Strong is: "Observed homozygous in healthy individual.". The evidence for this variant shows: no such observations. Therefore, this criterion is not applied.
BS3
BS3 (Not Applied) Strength Modified
According to VCEP PTEN guidelines, BS3 Strong is: "Well-established functional studies show no damaging effect.". The evidence for this variant shows: functional studies demonstrate damaging effect. Therefore, this criterion is not applied.
BS4
BS4 (Not Applied) Strength Modified
According to VCEP PTEN guidelines, BS4 Strong is: "Lack of segregation in affected members of ≥2 families.". The evidence for this variant shows: no segregation data. Therefore, this criterion is not applied.
BP1
BP1 (Not Applied) Strength Modified
According to standard ACMG, BP1 Supporting is: "Missense in a gene where only loss-of-function causes disease.". The evidence for this variant shows: it is a frameshift. Therefore, this criterion is not applied.
BP2
BP2 (Not Applied) Strength Modified
According to VCEP PTEN guidelines, BP2 Supporting is: "Observed in trans with a pathogenic PTEN variant.". The evidence for this variant shows: no such observations. Therefore, this criterion is not applied.
BP3
BP3 (Not Applied) Strength Modified
According to standard ACMG, BP3 Supporting is: "In-frame indels in a repetitive region without known function.". The evidence for this variant shows: it is a frameshift outside repetitive region. Therefore, this criterion is not applied.
BP4
BP4 (Not Applied) Strength Modified
According to VCEP PTEN guidelines, BP4 Supporting is: "Multiple lines of computational evidence suggest no impact.". The evidence for this variant shows: SpliceAI max 0.06 suggests no splicing impact but variant is frameshift and already covered by PVS1. Therefore, this criterion is not applied.
BP5
BP5 (Not Applied) Strength Modified
According to standard ACMG, BP5 Supporting is: "Variant found in a case with an alternate molecular basis for disease.". The evidence for this variant shows: no alternate molecular basis reported. Therefore, this criterion is not applied.
BP6
BP6 (Not Applied) Strength Modified
According to standard ACMG, BP6 Supporting is: "Reputable source reports variant as benign.". The evidence for this variant shows: no such report. Therefore, this criterion is not applied.
BP7
BP7 (Not Applied) Strength Modified
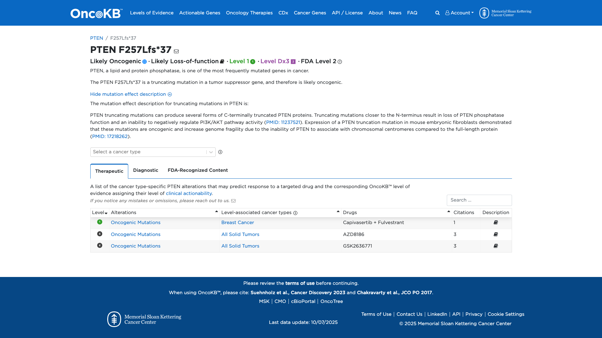
According to standard ACMG, BP7 Supporting is: "Synonymous variant with no predicted splicing impact.". The evidence for this variant shows: it is a frameshift, not synonymous. Therefore, this criterion is not applied.