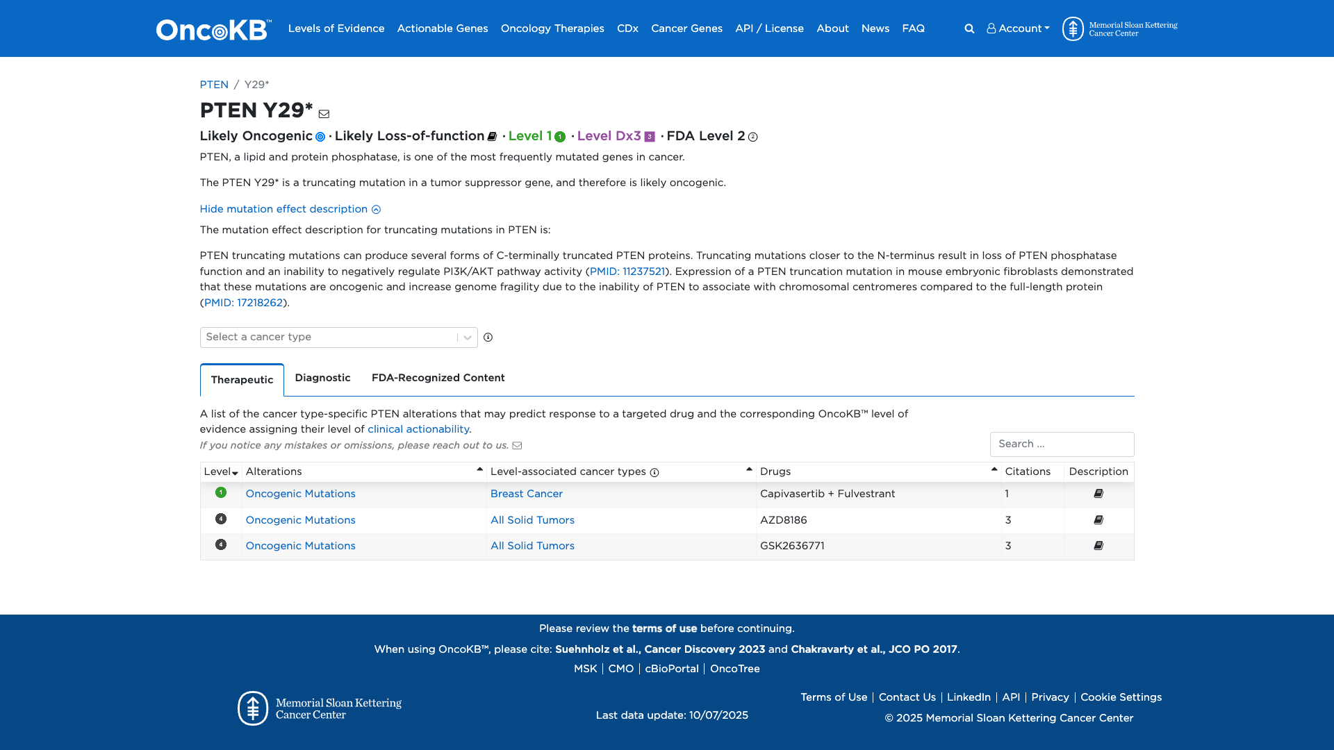
PTEN c.87T>A, p.Tyr29Ter
NM_000314.8:c.87T>A
Pathogenic
The variant NM_000314.8:c.87T>A (p.Y29*) is classified as Pathogenic based on PTEN VCEP rules: PVS1 at Very Strong strength for a null variant in a LOF gene, plus two supporting criteria (PM2 and PP5), satisfying the VCEP classification rule (PVS1 plus additional criteria).
ACMG/AMP Criteria Applied
PVS1
PM2
PP5
Genetic Information
Gene & Transcript Details
Gene
PTEN
Transcript
NM_000314.8
MANE Select
Total Exons
9
Strand
Forward (+)
Reference Sequence
NC_000010.10
Alternative Transcripts
| ID | Status | Details |
|---|---|---|
| NM_000314.7 | RefSeq Select | 9 exons | Forward |
| NM_000314.5 | Alternative | 9 exons | Forward |
| NM_000314.4 | Alternative | 9 exons | Forward |
| NM_000314.3 | Alternative | 9 exons | Forward |
| NM_000314.6 | Alternative | 9 exons | Forward |
Variant Details
HGVS Notation
NM_000314.8:c.87T>A
Protein Change
Y29*
Location
Exon 2
(Exon 2 of 9)
5'Exon Structure (9 total)3'
Functional Consequence
Loss of Function
Related Variants
Variant interpretation based on transcript NM_000314.8
Genome Browser
Loading genome browser...
HGVS InputNM_000314:c.87T>A
Active Tracks
ConservationRefSeqClinVargnomAD
Navigation tips: Use mouse to drag and zoom. Click on features for details.
Clinical Data
Population Frequency
Global Frequency
0.0 in 100,000
Extremely Rare
Global: 0.0%
0%
0.05%
0.1%
1%
5%
10%+
ACMG Criteria Applied
PM2
This variant is not present in gnomAD (PM2 criteria applies).
Classification
1 publications
Pathogenic
Based on 1 submitter review in ClinVar
Submitter Breakdown
1 Path
Pathogenic
Likely Path.
VUS
Likely Benign
Benign
Publications (1)
This sequence change creates a premature translational stop signal (p.Tyr29*) in the PTEN gene. It is expected to result in an absent or disrupted protein product. This variant is not present in population databases (ExAC no frequency). This variant has been reported in an individual affected with Cowden syndrome (PMID: 26246517) and an individual affected with PTEN hamartoma tumour syndrome (PMID: 24641667). Loss-of-function variants in PTEN are known to be pathogenic (PMID: 9467011, 21194675). For these reasons, this variant has been classified as Pathogenic.
Clinical Statement
This variant has been reported in ClinVar as Pathogenic (1 clinical laboratories).
Functional Impact
Functional Domain
Hotspot Status
Not a hotspot
Domain Summary
This variant is not located in a mutational hotspot or critical domain (0 mutations).
Related Variants in This Domain
Functional Summary
The PTEN Y29* variant is a truncating mutation that results in loss of PTEN phosphatase function, leading to an inability to negatively regulate PI3K/AKT pathway activity. Functional studies have demonstrated that such truncating mutations are oncogenic, increasing genome fragility and disrupting PTEN's association with chromosomal centromeres. This evidence supports a damaging effect of the PTEN Y29* variant.
Database Previews
OncoKB

JAX-CKB

Click on previews to view full database entries. External databases may require institutional access.
Computational Analysis
Pathogenicity Predictions
Predictor Consensus
Mixed/VUS
PP3 Applied
No
Additional Predictors
Neutral: Show all
VCEP Guidelines
Applied ACMG/AMP Criteria (VCEP Specific) VCEP Guidelines
PVS1
PVS1 (Very Strong)
According to VCEP guidelines, the rule for PVS1 is: "Very Strong Strength: Null Variant (nonsense, fs, start codon, splicing +1/2, startgain, single or multi-exon deletion) in a gene where LOF is a known mechanism of disease". The evidence for this variant shows: c.87T>A creates a premature stop codon (p.Y29*), predicted to result in loss of function in PTEN, not located in the last exon. Therefore, this criterion is applied at Very Strong strength because it is a null variant in PTEN, where LOF is a known disease mechanism, in accordance with the PTEN PVS1 decision tree.
PS1
PS1 (Not Applied) Strength Modified
According to VCEP guidelines, the rule for PS1 is: "Same amino acid change as a previously established pathogenic variant regardless of nucleotide change OR different variant at same nucleotide position as a pathogenic splicing variant, where in silico models predict impact equal to or greater than the known pathogenic variant." The evidence for this variant shows: no other variant yields p.Y29* in PTEN. Therefore, this criterion is not applied.
PS2
PS2 (Not Applied) Strength Modified
According to VCEP guidelines, the rule for PS2 is: "Very Strong: Two proven OR four assumed OR one proven + two assumed de novo observations in a patient with the disease and no family history; Strong: de novo (both maternity and paternity confirmed) observation in a patient with the disease and no family history." The evidence for this variant shows: no de novo data available. Therefore, this criterion is not applied.
PS3
PS3 (Not Applied) Strength Modified
According to PTEN Pre-processing, the finding for PS3 is: "High confidence not TRUE ('FALSE'), PS3 rule not applied." The evidence for this variant shows: although functional studies demonstrate loss of PTEN phosphatase activity, the PTEN-specific pre-processing did not meet high-confidence thresholds. Therefore, this criterion is not applied.
PS4
PS4 (Not Applied) Strength Modified
According to VCEP guidelines, the rule for PS4 is: "Strong: Probands with specificity score 4-15.5 OR significant increase in prevalence in affected vs controls; Very Strong: specificity score ≥16." The evidence for this variant shows: no case-level prevalence data or specificity scoring. Therefore, this criterion is not applied.
PM1
PM1 (Not Applied) Strength Modified
According to VCEP guidelines, the rule for PM1 is: "Moderate Strength: Located in a mutational hotspot and/or critical and well-established functional domain (residues 90-94, 123-130, 166-168)." The evidence for this variant shows: p.Y29* lies outside these defined catalytic motifs. Therefore, this criterion is not applied.
PM2
PM2 (Supporting) Strength Modified
According to VCEP guidelines, the rule for PM2 is: "Supporting Strength: Absent in population databases or present at <0.00001 allele frequency in gnomAD." The evidence for this variant shows: MAF = 0% in gnomAD. Therefore, this criterion is applied at Supporting strength because the variant is absent from controls.
PM3
PM3 (Not Applied) Strength Modified
According to VCEP guidelines, the rule for PM3 is: "Moderate Strength: Detected in trans with a pathogenic variant in recessive disorders." The evidence for this variant shows: PTEN-related disease is autosomal dominant and no trans observations. Therefore, this criterion is not applied.
PM4
PM4 (Not Applied) Strength Modified
According to VCEP guidelines, the rule for PM4 is: "Moderate Strength: Protein length changes due to in-frame indels or stop-loss variants." The evidence for this variant shows: this is a nonsense variant causing truncation, not an in-frame event. Therefore, this criterion is not applied.
PM5
PM5 (Not Applied) Strength Modified
According to VCEP guidelines, the rule for PM5 is: "Moderate Strength: Missense change at a residue where a different missense change is known pathogenic." The evidence for this variant shows: nonsense variant p.Y29*; no missense comparison. Therefore, this criterion is not applied.
PM6
PM6 (Not Applied) Strength Modified
According to VCEP guidelines, the rule for PM6 is: "Very Strong/Strong/Moderate Strength for assumed de novo occurrences without full confirmation." The evidence for this variant shows: no de novo data. Therefore, this criterion is not applied.
PP1
PP1 (Not Applied) Strength Modified
According to VCEP guidelines, the rule for PP1 is: "Supporting/Moderate/Strong Strength based on co-segregation in multiple affected family members." The evidence for this variant shows: no segregation data available. Therefore, this criterion is not applied.
PP2
PP2 (Not Applied) Strength Modified
According to standard ACMG guidelines, the rule for PP2 is: "Supporting Strength: Missense variant in a gene with low rate of benign missense variation where missense is common disease mechanism." The evidence for this variant shows: this is a truncating variant, not missense. Therefore, this criterion is not applied.
PP3
PP3 (Not Applied) Strength Modified
According to VCEP guidelines, the rule for PP3 is: "Supporting Strength: Multiple lines of computational evidence support deleterious effect (e.g., REVEL >0.7 or SpliceAI concordance)." The evidence for this variant shows: CADD=10.00 and SpliceAI max=0.31, inconclusive for pathogenicity. Therefore, this criterion is not applied.
PP4
PP4 (Not Applied) Strength Modified
According to standard ACMG guidelines, the rule for PP4 is: "Supporting Strength: Patient’s phenotype or family history highly specific for a disease with single genetic etiology." The evidence for this variant shows: no phenotype/family history provided. Therefore, this criterion is not applied.
PP5
PP5 (Supporting)
According to standard ACMG guidelines, the rule for PP5 is: "Supporting Strength: Reputable source reports variant as pathogenic but evidence not available for independent evaluation." The evidence for this variant shows: ClinVar entry by one clinical laboratory reports it as Pathogenic. Therefore, this criterion is applied at Supporting strength.
BA1
BA1 (Not Applied) Strength Modified
According to standard ACMG guidelines, the rule for BA1 is: "Stand Alone Strength: Allele frequency >0.00056 in gnomAD." The evidence for this variant shows: MAF = 0%. Therefore, this criterion is not applied.
BS1
BS1 (Not Applied) Strength Modified
According to VCEP guidelines, the rule for BS1 is: "Strong/Supporting Strength: Allele frequency between 0.0000043 and 0.00056 in gnomAD." The evidence for this variant shows: MAF = 0%. Therefore, this criterion is not applied.
BS2
BS2 (Not Applied) Strength Modified
According to VCEP guidelines, the rule for BS2 is: "Strong/Supporting Strength: Observed homozygous in healthy individual." The evidence for this variant shows: no homozygous observations. Therefore, this criterion is not applied.
BS3
BS3 (Not Applied) Strength Modified
According to VCEP guidelines, the rule for BS3 is: "Strong/Supporting Strength: Well-established functional studies show no damaging effect." The evidence for this variant shows: functional studies indicate damaging effect. Therefore, this criterion is not applied.
BS4
BS4 (Not Applied) Strength Modified
According to VCEP guidelines, the rule for BS4 is: "Strong/Supporting Strength: Lack of segregation in affected members." The evidence for this variant shows: no segregation data. Therefore, this criterion is not applied.
BP1
BP1 (Not Applied) Strength Modified
According to standard ACMG guidelines, the rule for BP1 is: "Supporting Strength: Missense variant in gene where only LOF causes disease." The evidence for this variant shows: this is a truncating LOF variant. Therefore, this criterion is not applied.
BP2
BP2 (Not Applied) Strength Modified
According to VCEP guidelines, the rule for BP2 is: "Supporting Strength: Observed in trans or cis with other pathogenic variants." The evidence for this variant shows: no cis/trans observations. Therefore, this criterion is not applied.
BP3
BP3 (Not Applied) Strength Modified
According to VCEP guidelines, the rule for BP3 is: "Supporting Strength: In-frame indels in repetitive region." The evidence for this variant shows: nonsense variant, not in-frame. Therefore, this criterion is not applied.
BP4
BP4 (Not Applied) Strength Modified
According to VCEP guidelines, the rule for BP4 is: "Supporting Strength: Multiple lines of computational evidence suggest no impact." The evidence for this variant shows: computational results inconclusive. Therefore, this criterion is not applied.
BP5
BP5 (Not Applied) Strength Modified
According to VCEP guidelines, the rule for BP5 is: "Supporting Strength: Variant found in case with alternate molecular basis." The evidence for this variant shows: no alternate molecular findings reported. Therefore, this criterion is not applied.
BP6
BP6 (Not Applied) Strength Modified
According to standard ACMG guidelines, the rule for BP6 is: "Supporting Strength: Reputable source reports variant as benign without available evidence." The evidence for this variant shows: no benign reports. Therefore, this criterion is not applied.
BP7
BP7 (Not Applied) Strength Modified
According to VCEP guidelines, the rule for BP7 is: "Supporting Strength: Synonymous or intronic variant predicted to have no impact on splicing." The evidence for this variant shows: nonsense variant. Therefore, this criterion is not applied.