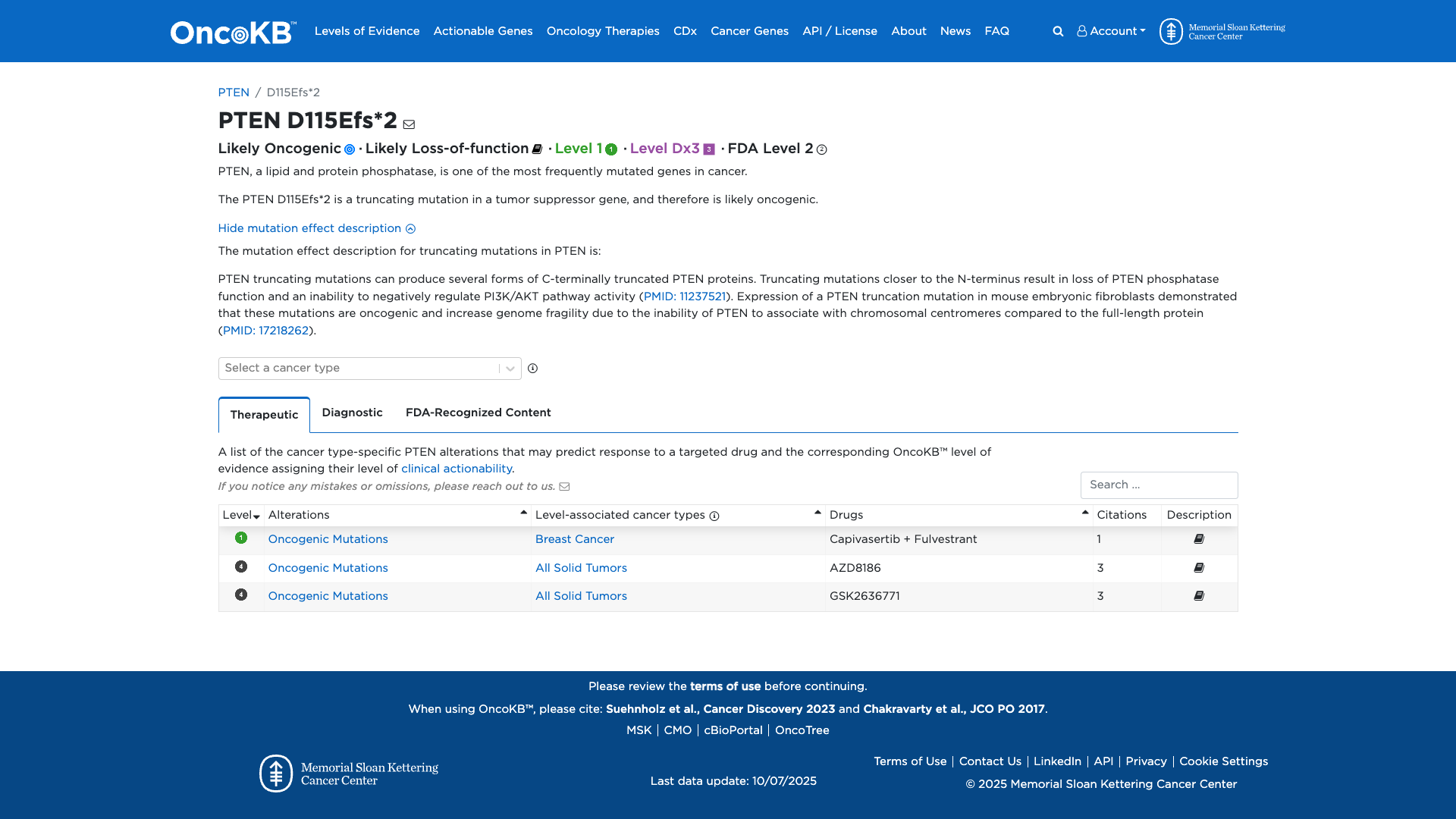
PTEN c.344dup, p.Asp115GlufsTer2
NM_000314.8:c.344dup
Pathogenic
This frameshift variant (NM_000314.8:c.344dupA; p.D115Efs*2) results in loss of function in PTEN, a gene where LOF is disease mechanism (PVS1_Very Strong), is supported by functional studies showing damaging effect (PS3_Strong), and is absent from population databases (PM2_Supporting), consistent with a Pathogenic classification.
ACMG/AMP Criteria Applied
PVS1
PS3
PM2
Genetic Information
Gene & Transcript Details
Gene
PTEN
Transcript
NM_000314.8
MANE Select
Total Exons
9
Strand
Forward (+)
Reference Sequence
NC_000010.10
Alternative Transcripts
| ID | Status | Details |
|---|---|---|
| NM_000314.7 | RefSeq Select | 9 exons | Forward |
| NM_000314.5 | Alternative | 9 exons | Forward |
| NM_000314.4 | Alternative | 9 exons | Forward |
| NM_000314.3 | Alternative | 9 exons | Forward |
| NM_000314.6 | Alternative | 9 exons | Forward |
Variant Details
HGVS Notation
NM_000314.8:c.344dup
Protein Change
D115Efs*2
Location
Exon 5
(Exon 5 of 9)
5'Exon Structure (9 total)3'
Functional Consequence
Loss of Function
Related Variants
No evidence of other pathogenic variants at position 115 in gene PTEN
Variant interpretation based on transcript NM_000314.8
Genome Browser
Loading genome browser...
HGVS InputNM_000314:c.344dup
Active Tracks
ConservationRefSeqClinVargnomAD
Navigation tips: Use mouse to drag and zoom. Click on features for details.
Clinical Data
Population Frequency
Global Frequency
0.0 in 100,000
Extremely Rare
Global: 0.0%
0%
0.05%
0.1%
1%
5%
10%+
ACMG Criteria Applied
PM2
This variant is not present in gnomAD (PM2 criteria applies).
Classification
Unknown
Publications (0)
No publication details.
Clinical Statement
Functional Impact
Functional Domain
Hotspot Status
Not a hotspot
Domain Summary
This variant is not located in a mutational hotspot or critical domain (0 mutations).
Related Variants in This Domain
No evidence of other pathogenic variants at position 115 in gene PTEN
Functional Summary
The PTEN D115Efs*2 variant is a truncating mutation that results in the loss of PTEN phosphatase function. Functional studies have demonstrated that such truncating mutations lead to an inability to negatively regulate the PI3K/AKT pathway, contributing to oncogenic activity. Additionally, expression of PTEN truncation mutations in mouse embryonic fibroblasts has shown increased genome fragility due to impaired chromosomal centromere association. These findings support a damaging effect of the PTEN D115Efs*2 variant.
Database Previews
OncoKB

JAX-CKB

Click on previews to view full database entries. External databases may require institutional access.
Computational Analysis
Pathogenicity Predictions
Predictor Consensus
Unknown
PP3 Applied
No
VCEP Guidelines
Applied ACMG/AMP Criteria (VCEP Specific) VCEP Guidelines
PVS1
PVS1 (Very Strong)
According to VCEP guidelines, the rule for PVS1 is: "Very Strong Strength: Very Strong Use PTEN PVS1 decision tree. Modification Type: Disease-specific". The evidence for this variant shows a frameshift duplication (NM_000314.8:c.344dupA) resulting in a premature stop (D115Efs*2) predicted to cause loss of function. Therefore, this criterion is applied at Very Strong strength because it is a null variant in a gene where loss of function is a known mechanism of disease.
PS1
PS1 (Not Applied) Strength Modified
According to VCEP guidelines, the rule for PS1 is: "Strong Strength: Strong Same amino acid change as a previously established pathogenic variant regardless of nucleotide change OR different variant at same nucleotide position as a pathogenic splicing variant...". The evidence for this variant shows a frameshift alteration, not the same amino acid change as any known pathogenic variant. Therefore, this criterion is not applied.
PS2
PS2 (Not Applied) Strength Modified
According to VCEP guidelines, the rule for PS2 is: "Very Strong Strength: Two proven OR four assumed OR one proven + two assumed de novo observations... Strong Strength: De novo (both maternity and paternity confirmed)...". There are no data regarding de novo occurrence for this variant. Therefore, this criterion is not applied.
PS3
PS3 (Strong)
According to VCEP guidelines, the rule for PS3 is: "Strong Strength: Strong Well-established in vitro or in vivo functional studies supportive of a damaging effect on the gene or gene product.". The evidence for this variant shows multiple functional studies demonstrating that truncating PTEN variants abolish phosphatase activity, disrupt regulation of the PI3K/AKT pathway, and increase genomic instability. Therefore, this criterion is applied at Strong strength because well-established functional assays support a damaging effect.
PS4
PS4 (Not Applied) Strength Modified
According to VCEP guidelines, the rule for PS4 is: "Strong Strength: Probands with specificity score 4-15.5 OR prevalence significantly increased in affected vs controls...". No case-level or cohort data are available for this variant. Therefore, this criterion is not applied.
PM1
PM1 (Not Applied) Strength Modified
According to VCEP guidelines, the rule for PM1 is: "Moderate Strength: Moderate Located in a mutational hot spot and/or critical and well-established functional domain: residues 90-94, 123-130, 166-168.". The variant affects codon 115, which is outside the defined critical functional domains. Therefore, this criterion is not applied.
PM2
PM2 (Supporting) Strength Modified
According to VCEP guidelines, the rule for PM2 is: "Supporting Strength: Supporting Absent in population Databases present at <0.001% allele frequency in gnomAD or another large sequenced population.". The evidence for this variant shows it is not present in gnomAD (MAF=0). Therefore, this criterion is applied at Supporting strength because the variant is absent from large population databases.
PM3
PM3 (Not Applied) Strength Modified
According to VCEP guidelines, the rule for PM3 is: "Moderate Strength: Moderate Detected in trans with a pathogenic variant in recessive disorders...". PTEN-related conditions are autosomal dominant and there is no evidence of a trans configuration with another pathogenic PTEN variant. Therefore, this criterion is not applied.
PM4
PM4 (Not Applied) Strength Modified
According to VCEP guidelines, the rule for PM4 is: "Moderate Strength: Moderate Protein length changes due to in-frame deletions/insertions in a non-repeat region or stop-loss variants...". The variant is a frameshift leading to a premature stop, not an in-frame change. Therefore, this criterion is not applied.
PM5
PM5 (Not Applied) Strength Modified
According to VCEP guidelines, the rule for PM5 is: "Moderate Strength: Moderate Missense change at an amino acid residue where a different missense change determined to be pathogenic has been seen before...". The variant is a frameshift, not a missense change. Therefore, this criterion is not applied.
PM6
PM6 (Not Applied) Strength Modified
According to VCEP guidelines, the rule for PM6 is: "Very Strong Strength: Two proven OR four assumed OR one proven + two assumed de novo observations... Strong Strength: Two probands with presumed de novo occurrence... Moderate Strength: Assumed de novo without confirmation...". No data on assumed de novo occurrence are available. Therefore, this criterion is not applied.
PP1
PP1 (Not Applied) Strength Modified
According to VCEP guidelines, the rule for PP1 is: "Supporting Strength: Supporting Co-segregation with disease in multiple affected family members...". No family segregation data are available. Therefore, this criterion is not applied.
PP2
PP2 (Not Applied) Strength Modified
According to standard ACMG guidelines, the rule for PP2 is: "Supporting Strength: Supporting Missense variant in a gene that has a low rate of benign missense variation and where missense variants are a common mechanism of disease.". The variant is a frameshift, not a missense. Therefore, this criterion is not applied.
PP3
PP3 (Not Applied) Strength Modified
According to VCEP guidelines, the rule for PP3 is: "Supporting Strength: Supporting Multiple lines of computational evidence support a deleterious effect on the gene or gene product...". In silico predictions, including SpliceAI (max score 0.02), do not support a deleterious effect. Therefore, this criterion is not applied.
PP4
PP4 (Not Applied) Strength Modified
According to standard ACMG guidelines, the rule for PP4 is: "Supporting Strength: Supporting Patient's phenotype or family history is highly specific for a disease with a single genetic etiology.". No clinical phenotype data are provided. Therefore, this criterion is not applied.
PP5
PP5 (Not Applied) Strength Modified
According to standard ACMG guidelines, the rule for PP5 is: "Supporting Strength: Supporting Reputable source recently reports variant as pathogenic...". There is no ClinVar or other reputable report. Therefore, this criterion is not applied.
BA1
BA1 (Not Applied) Strength Modified
According to VCEP guidelines, the rule for BA1 is: "Stand Alone Strength: Stand Alone gnomAD Filtering allele frequency >0.056%.". The allele frequency for this variant is 0%. Therefore, this criterion is not applied.
BS1
BS1 (Not Applied) Strength Modified
According to VCEP guidelines, the rule for BS1 is: "Strong Strength: Strong gnomAD Filtering allele frequency from 0.0043% up to 0.056%.". The allele frequency for this variant is 0%. Therefore, this criterion is not applied.
BS2
BS2 (Not Applied) Strength Modified
According to VCEP guidelines, the rule for BS2 is: "Strong Strength: Strong Observed in the homozygous state in a healthy or PHTS-unaffected individual...". No homozygous observations are reported. Therefore, this criterion is not applied.
BS3
BS3 (Not Applied) Strength Modified
According to VCEP guidelines, the rule for BS3 is: "Strong Strength: Strong Well-established in vitro or in vivo functional studies shows no damaging effect on protein function.". Functional studies for this variant demonstrate a damaging effect. Therefore, this criterion is not applied.
BS4
BS4 (Not Applied) Strength Modified
According to VCEP guidelines, the rule for BS4 is: "Strong Strength: Strong Lack of segregation in affected members of two or more families.". No segregation data exist. Therefore, this criterion is not applied.
BP1
BP1 (Not Applied) Strength Modified
According to standard ACMG guidelines, the rule for BP1 is: "Supporting Strength: Supporting Missense variant in a gene for which primarily truncating variants are known to cause disease.". This variant is truncating, not missense. Therefore, this criterion is not applied.
BP2
BP2 (Not Applied) Strength Modified
According to VCEP guidelines, the rule for BP2 is: "Supporting Strength: Supporting Observed in trans with a pathogenic or likely pathogenic PTEN variant...". No such observations are reported. Therefore, this criterion is not applied.
BP3
BP3 (Not Applied) Strength Modified
According to standard ACMG guidelines, the rule for BP3 is: "Supporting Strength: Supporting In-frame deletions/insertions in a repetitive region without a known function.". The variant is a frameshift, not in-frame. Therefore, this criterion is not applied.
BP4
BP4 (Not Applied) Strength Modified
According to VCEP guidelines, the rule for BP4 is: "Supporting Strength: Supporting Multiple lines of computational evidence suggest no impact on gene or gene product.". Computational evidence does not indicate benign effect for a truncating variant. Therefore, this criterion is not applied.
BP5
BP5 (Not Applied) Strength Modified
According to VCEP guidelines, the rule for BP5 is: "Supporting Strength: Supporting Variant found in a case with an alternate molecular basis for disease.". No alternate molecular basis is reported. Therefore, this criterion is not applied.
BP6
BP6 (Not Applied) Strength Modified
According to standard ACMG guidelines, the rule for BP6 is: "Supporting Strength: Supporting Reputable source reports variant as benign.". No such report exists. Therefore, this criterion is not applied.
BP7
BP7 (Not Applied) Strength Modified
According to VCEP guidelines, the rule for BP7 is: "Supporting Strength: Supporting A synonymous or intronic variant at or beyond +7/-21 for which splicing prediction algorithms predict no impact.". This variant is not synonymous or intronic. Therefore, this criterion is not applied.