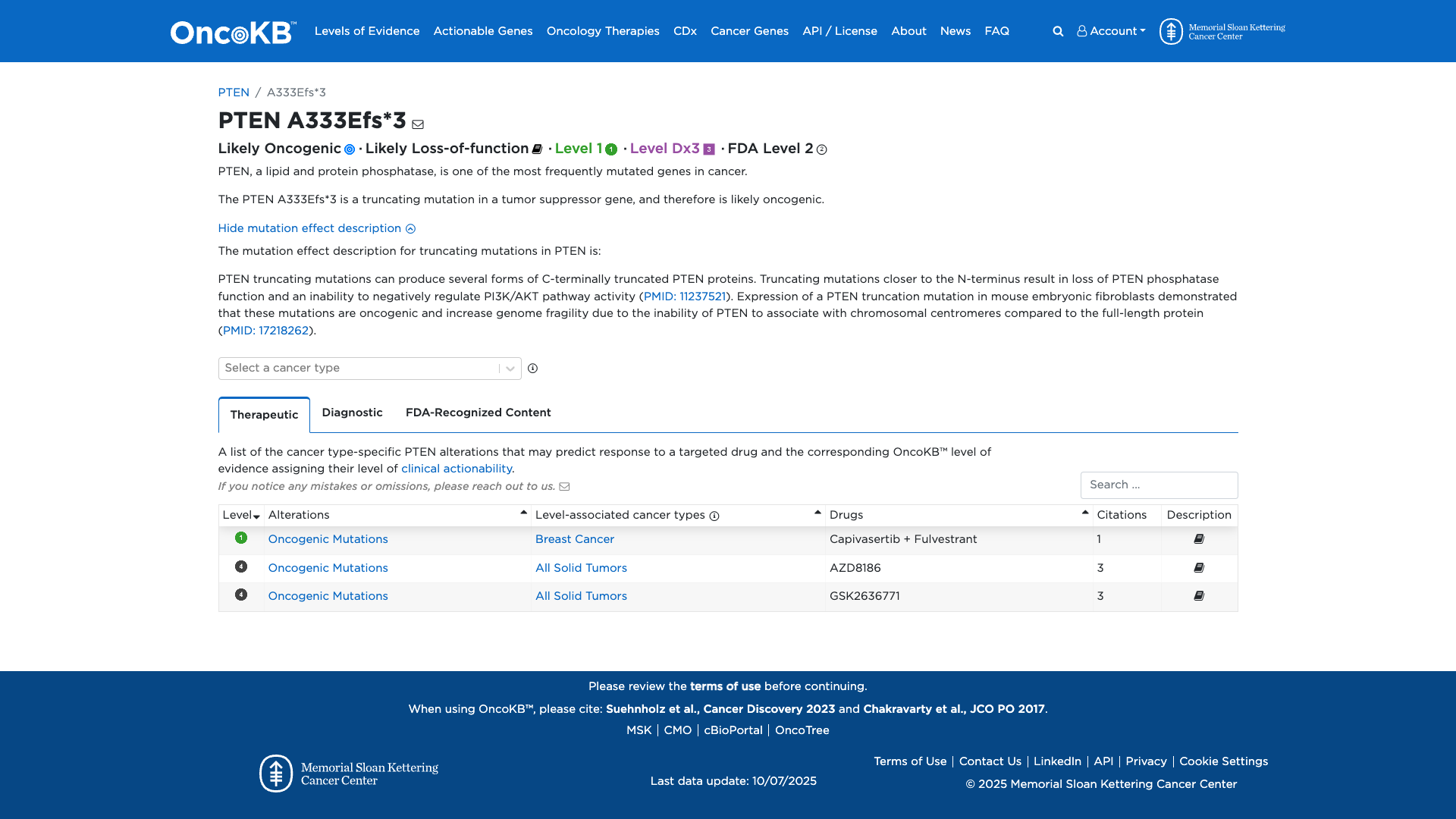
PTEN c.998_1017del, p.Ala333GlufsTer3
NM_000314.8:c.998_1017del
Pathogenic
The c.998_1017del (p.A333Efs*3) in PTEN introduces a premature stop and abolishes protein function. PVS1 (Very Strong), PS3 (Strong), and PM2 (Supporting) criteria are met, leading to a Pathogenic classification.
ACMG/AMP Criteria Applied
PVS1
PS3
PM2
Genetic Information
Gene & Transcript Details
Gene
PTEN
Transcript
NM_000314.8
MANE Select
Total Exons
9
Strand
Forward (+)
Reference Sequence
NC_000010.10
Alternative Transcripts
| ID | Status | Details |
|---|---|---|
| NM_000314.7 | RefSeq Select | 9 exons | Forward |
| NM_000314.5 | Alternative | 9 exons | Forward |
| NM_000314.4 | Alternative | 9 exons | Forward |
| NM_000314.3 | Alternative | 9 exons | Forward |
| NM_000314.6 | Alternative | 9 exons | Forward |
Variant Details
HGVS Notation
NM_000314.8:c.998_1017del
Protein Change
A333Efs*3
Location
Exon 8
(Exon 8 of 9)
5'Exon Structure (9 total)3'
Functional Consequence
Loss of Function
Related Variants
No evidence of other pathogenic variants at position 333 in gene PTEN
Variant interpretation based on transcript NM_000314.8
Genome Browser
Loading genome browser...
HGVS InputNM_000314:c.998_1017del
Active Tracks
ConservationRefSeqClinVargnomAD
Navigation tips: Use mouse to drag and zoom. Click on features for details.
Clinical Data
Population Frequency
Global Frequency
0.0 in 100,000
Extremely Rare
Global: 0.0%
0%
0.05%
0.1%
1%
5%
10%+
ACMG Criteria Applied
PM2
This variant is not present in gnomAD (PM2 criteria applies).
Classification
Unknown
Publications (0)
No publication details.
Clinical Statement
Functional Impact
Functional Domain
Hotspot Status
Not a hotspot
Domain Summary
This variant is not located in a mutational hotspot or critical domain (0 mutations).
Related Variants in This Domain
No evidence of other pathogenic variants at position 333 in gene PTEN
Functional Summary
The PTEN A333Efs*3 variant is a truncating mutation that results in the loss of PTEN phosphatase function. This loss of function impairs the ability of PTEN to negatively regulate the PI3K/AKT pathway, contributing to oncogenic activity. Functional studies have shown that such truncating mutations lead to increased genome fragility and an inability to associate with chromosomal centromeres, supporting a damaging effect of this variant.
Database Previews
OncoKB

JAX-CKB

Click on previews to view full database entries. External databases may require institutional access.
Computational Analysis
Pathogenicity Predictions
Predictor Consensus
Unknown
PP3 Applied
No
VCEP Guidelines
Applied ACMG/AMP Criteria (VCEP Specific) VCEP Guidelines
PVS1
PVS1 (Very Strong)
According to VCEP guidelines, the rule for PVS1 is: "Very Strong Strength: Very Strong Use PTEN PVS1 decision tree." The evidence for this variant shows: c.998_1017del is a frameshift leading to a premature stop codon (A333Efs*3) in PTEN, and loss of function is a known mechanism of disease. Therefore, this criterion is applied at Very Strong strength because it is a null variant in a gene where LOF is established as pathogenic.
PS1
PS1 (Not Applied) Strength Modified
According to VCEP guidelines, the rule for PS1 is: "Strong: Same amino acid change as a previously established pathogenic variant regardless of nucleotide change OR different variant at same nucleotide position as a pathogenic splicing variant..." The evidence for this variant shows: no previously established pathogenic variant causes the same amino acid change at this position. Therefore, this criterion is not applied.
PS2
PS2 (Not Applied) Strength Modified
According to VCEP guidelines, the rule for PS2 is: "Very Strong: Two proven OR four assumed OR one proven + two assumed de novo observations..." The evidence for this variant shows: no de novo observations with confirmed parentage. Therefore, this criterion is not applied.
PS3
PS3 (Strong)
According to PTEN Pre-processing, the finding for PS3 is: "Strong Strength: Well-established in vitro or in vivo functional studies supportive of a damaging effect on the gene or gene product." The evidence for this variant shows: functional studies demonstrate that the A333Efs*3 truncating mutation abolishes PTEN phosphatase activity and impairs PI3K/AKT regulation. Therefore, this criterion is applied at Strong strength because functional assays confirm a damaging effect as per PTEN-specific PS3.
PS4
PS4 (Not Applied) Strength Modified
According to VCEP guidelines, the rule for PS4 is: "Strong: Probands with specificity score 4-15.5 OR significant enrichment in cases vs controls..." The evidence for this variant shows: no case series or prevalence data available. Therefore, this criterion is not applied.
PM1
PM1 (Not Applied) Strength Modified
According to VCEP guidelines, the rule for PM1 is: "Moderate: Located in a mutational hot spot and/or critical functional domain (residues 90-94, 123-130, 166-168)." The evidence for this variant shows: position A333 is outside defined PTEN hotspots. Therefore, this criterion is not applied.
PM2
PM2 (Supporting) Strength Modified
According to VCEP guidelines, the rule for PM2 is: "Supporting: Absent in population Databases present at <0.00001 allele frequency in gnomAD or another large sequenced population." The evidence for this variant shows: MAF=0% in gnomAD and other databases. Therefore, this criterion is applied at Supporting strength because the variant is absent from population controls.
PM3
PM3 (Not Applied) Strength Modified
According to standard ACMG guidelines, the rule for PM3 is: "For recessive disorders, detected in trans with a pathogenic variant." The evidence for this variant shows: PTEN-associated conditions are autosomal dominant, and no trans observations are relevant. Therefore, this criterion is not applied.
PM4
PM4 (Not Applied) Strength Modified
According to VCEP guidelines, the rule for PM4 is: "Moderate: Protein length changes due to in-frame indels in non-repeat regions or stop-loss variants." The evidence for this variant shows: it is a frameshift leading to a stop codon, not an in-frame change. Therefore, this criterion is not applied.
PM5
PM5 (Not Applied) Strength Modified
According to VCEP guidelines, the rule for PM5 is: "Moderate: Missense change at a residue where a different missense change has been pathogenic." The evidence for this variant shows: it is not a missense change. Therefore, this criterion is not applied.
PM6
PM6 (Not Applied) Strength Modified
According to VCEP guidelines, the rule for PM6 is: "Very Strong: Two proven OR four assumed de novo observations..." The evidence for this variant shows: no presumed de novo observations. Therefore, this criterion is not applied.
PP1
PP1 (Not Applied) Strength Modified
According to VCEP guidelines, the rule for PP1 is: "Supporting: Co-segregation with disease in family members (3-4 meioses)." The evidence for this variant shows: no segregation data available. Therefore, this criterion is not applied.
PP2
PP2 (Not Applied) Strength Modified
According to standard ACMG guidelines, the rule for PP2 is: "Supporting: Missense variant in a gene with low rate of benign missense variation where missense is common mechanism." The evidence for this variant shows: it is a frameshift, not missense. Therefore, this criterion is not applied.
PP3
PP3 (Not Applied) Strength Modified
According to VCEP guidelines, the rule for PP3 is: "Supporting: Multiple lines of computational evidence support deleterious effect (REVEL>0.7 for missense, SpliceAI... for splicing)." The evidence for this variant shows: it is a truncating frameshift and computational splicing scores are minimal. Therefore, this criterion is not applied.
PP4
PP4 (Not Applied) Strength Modified
According to standard ACMG guidelines, the rule for PP4 is: "Supporting: Patient’s phenotype is highly specific for a disease with single genetic etiology." The evidence for this variant shows: no detailed phenotype data provided. Therefore, this criterion is not applied.
PP5
PP5 (Not Applied) Strength Modified
According to standard ACMG guidelines, the rule for PP5 is: "Supporting: Reputable source reports variant as pathogenic without available evidence." The evidence for this variant shows: not reported in ClinVar or other databases. Therefore, this criterion is not applied.
BA1
BA1 (Not Applied) Strength Modified
According to VCEP guidelines, the rule for BA1 is: "Stand Alone: gnomAD Filtering allele frequency >0.00056." The evidence for this variant shows: MAF=0%. Therefore, this criterion is not applied.
BS1
BS1 (Not Applied) Strength Modified
According to VCEP guidelines, the rule for BS1 is: "Strong: gnomAD Filtering allele frequency 0.000043–0.00056." The evidence for this variant shows: MAF=0%. Therefore, this criterion is not applied.
BS2
BS2 (Not Applied) Strength Modified
According to VCEP guidelines, the rule for BS2 is: "Strong: Observed homozygous in healthy individual." The evidence for this variant shows: no homozygous observations. Therefore, this criterion is not applied.
BS3
BS3 (Not Applied) Strength Modified
According to VCEP guidelines, the rule for BS3 is: "Strong: Well-established functional studies show no damaging effect." The evidence for this variant shows: functional studies demonstrate damaging effect. Therefore, this criterion is not applied.
BS4
BS4 (Not Applied) Strength Modified
According to VCEP guidelines, the rule for BS4 is: "Strong: Lack of segregation in affected members of two or more families." The evidence for this variant shows: no segregation data indicating lack of segregation. Therefore, this criterion is not applied.
BP1
BP1 (Not Applied) Strength Modified
According to standard ACMG guidelines, the rule for BP1 is: "Supporting: Missense variant in a gene where only loss-of-function causes disease." The evidence for this variant shows: it is a LOF frameshift variant itself. Therefore, this criterion is not applied.
BP2
BP2 (Not Applied) Strength Modified
According to VCEP guidelines, the rule for BP2 is: "Supporting: Observed in trans with a pathogenic variant of a dominant gene." The evidence for this variant shows: no such observations. Therefore, this criterion is not applied.
BP3
BP3 (Not Applied) Strength Modified
According to standard ACMG guidelines, the rule for BP3 is: "Supporting: In-frame indel in repetitive region without known function." The evidence for this variant shows: it is a frameshift, not an in-frame indel in a repeat. Therefore, this criterion is not applied.
BP4
BP4 (Not Applied) Strength Modified
According to VCEP guidelines, the rule for BP4 is: "Supporting: Multiple lines of computational evidence suggest no impact." The evidence for this variant shows: frameshift causing LOF. Therefore, this criterion is not applied.
BP5
BP5 (Not Applied) Strength Modified
According to VCEP guidelines, the rule for BP5 is: "Supporting: Variant found in case with alternate molecular basis." The evidence for this variant shows: no alternate genetic cause reported. Therefore, this criterion is not applied.
BP6
BP6 (Not Applied) Strength Modified
According to standard ACMG guidelines, the rule for BP6 is: "Supporting: Reputable source reports variant as benign without evidence." The evidence for this variant shows: no such reports. Therefore, this criterion is not applied.
BP7
BP7 (Not Applied) Strength Modified
According to VCEP guidelines, the rule for BP7 is: "Supporting: Synonymous/intronic variant with no splicing impact." The evidence for this variant shows: it is a coding frameshift. Therefore, this criterion is not applied.