PTEN c.141dup, p.Asn48GlufsTer4
NM_000314.8:c.141dup
Pathogenic
This frameshift variant in PTEN (N48Efs*4) is a null allele absent from controls, with well-established functional studies demonstrating loss of PTEN activity. It meets PVS1 (Very Strong), PS3 (Strong), and PM2 (Supporting), resulting in a final classification of Pathogenic.
ACMG/AMP Criteria Applied
PVS1
PS3
PM2
Genetic Information
Gene & Transcript Details
Gene
PTEN
Transcript
NM_000314.8
MANE Select
Total Exons
9
Strand
Forward (+)
Reference Sequence
NC_000010.10
Alternative Transcripts
| ID | Status | Details |
|---|---|---|
| NM_000314.7 | RefSeq Select | 9 exons | Forward |
| NM_000314.5 | Alternative | 9 exons | Forward |
| NM_000314.4 | Alternative | 9 exons | Forward |
| NM_000314.3 | Alternative | 9 exons | Forward |
| NM_000314.6 | Alternative | 9 exons | Forward |
Variant Details
HGVS Notation
NM_000314.8:c.141dup
Protein Change
N48Efs*4
Location
Exon 2
(Exon 2 of 9)
5'Exon Structure (9 total)3'
Functional Consequence
Loss of Function
Related Variants
ClinVar reports other pathogenic variants at position 48: N48S, N48K, N48K
Variant interpretation based on transcript NM_000314.8
Genome Browser
Loading genome browser...
HGVS InputNM_000314:c.141dup
Active Tracks
ConservationRefSeqClinVargnomAD
Navigation tips: Use mouse to drag and zoom. Click on features for details.
Clinical Data
Population Frequency
Global Frequency
0.0 in 100,000
Extremely Rare
Global: 0.0%
0%
0.05%
0.1%
1%
5%
10%+
ACMG Criteria Applied
PM2
This variant is not present in gnomAD (PM2 criteria applies).
Classification
Unknown
Publications (0)
No publication details.
Clinical Statement
Functional Impact
Functional Domain
Hotspot Status
Not a hotspot
Domain Summary
This variant is not located in a mutational hotspot or critical domain (0 mutations).
Related Variants in This Domain
ClinVar reports other pathogenic variants at position 48: N48S, N48K, N48K
PM5 criterion applied.
Functional Summary
The PTEN N48Efs*4 variant is a truncating mutation that results in loss of PTEN phosphatase function, leading to an inability to negatively regulate PI3K/AKT pathway activity. Functional studies have demonstrated that such truncating mutations are oncogenic, as they increase genome fragility and disrupt PTEN's association with chromosomal centromeres.
Database Previews
OncoKB

JAX-CKB

Click on previews to view full database entries. External databases may require institutional access.
Computational Analysis
Pathogenicity Predictions
Predictor Consensus
Unknown
PP3 Applied
No
VCEP Guidelines
Applied ACMG/AMP Criteria (VCEP Specific) VCEP Guidelines
PVS1
PVS1 (Very Strong)
According to VCEP guidelines, the rule for PVS1 is: "Very Strong Strength: Very Strong Use PTEN PVS1 decision tree. Modification Type: Disease-specific". The evidence for this variant shows: NM_000314.8:c.141dup (N48Efs*4) is a frameshift truncating variant predicted to cause loss of PTEN function in a gene where loss of function is a known mechanism of disease. Therefore, this criterion is applied at Very Strong strength because it is a null variant meeting the PTEN PVS1 decision tree criteria.
PS1
PS1 (Not Applied) Strength Modified
According to VCEP guidelines, the rule for PS1 is: "Strong Strength: Strong Same amino acid change as a previously established pathogenic variant regardless of nucleotide change OR different variant at same nucleotide position as a pathogenic splicing variant, where in silico models predict impact equal to or greater than the known pathogenic variant. Modification Type: Disease-specific". The evidence for this variant shows: N48Efs*4 is a frameshift truncation, not the same amino acid change as any known pathogenic variant. Therefore, this criterion is not applied.
PS2
PS2 (Not Applied) Strength Modified
According to VCEP guidelines, the rule for PS2 is: "Very Strong Strength: Very Strong Two proven OR four assumed OR one proven + two assumed de novo observations in a patient with the disease and no family history. Modification Type: Strength". The evidence for this variant shows: no de novo occurrence data are available. Therefore, this criterion is not applied.
PS3
PS3 (Strong)
According to VCEP guidelines, the rule for PS3 is: "Strong Strength: Strong Well-established in vitro or in vivo functional studies supportive of a damaging effect on the gene or gene product. RNA, mini-gene, or other assay shows impact on splicing Modification Type: Disease-specific". According to PTEN Pre-processing, the finding for PS3 is: "The PTEN N48Efs*4 variant is a truncating mutation that results in loss of PTEN phosphatase function, leading to an inability to negatively regulate PI3K/AKT pathway activity. Functional studies have demonstrated that such truncating mutations are oncogenic, as they increase genome fragility and disrupt PTEN's association with chromosomal centromeres." The evidence for this variant shows: well-established functional studies demonstrate a damaging effect. Therefore, this criterion is applied at Strong strength.
PS4
PS4 (Not Applied) Strength Modified
According to VCEP guidelines, the rule for PS4 is: "Strong Strength: Strong Probands with specificity score 4-15.5 OR The prevalence of the variant in affected individuals is significantly increased compared with the prevalence in controls. Modification Type: Strength". The evidence for this variant shows: no case–control or proband specificity score data are available. Therefore, this criterion is not applied.
PM1
PM1 (Not Applied) Strength Modified
According to VCEP guidelines, the rule for PM1 is: "Moderate Strength: Moderate Located in a mutational hot spot and/or critical and well-established functional domain. Defined to include residues in catalytic motifs: 90-94, 123-130, 166-168 (NP_000305.3). Modification Type: Disease-specific". The evidence for this variant shows: the frameshift occurs at codon 48, outside defined PTEN catalytic motifs. Therefore, this criterion is not applied.
PM2
PM2 (Supporting) Strength Modified
According to VCEP guidelines, the rule for PM2 is: "Supporting Absent in population Databases present at <0.00001 (0.001%) allele frequency in gnomAD or another large sequenced population. If multiple alleles are present within any subpopulation, allele frequency in that subpopulation must be <0.00002 (0.002%). Modification Type: Disease-specific". The evidence for this variant shows: NM_000314.8:c.141dup is absent from gnomAD and other population databases. Therefore, this criterion is applied at Supporting strength.
PM3
PM3 (Not Applied) Strength Modified
According to standard ACMG guidelines, the rule for PM3 is: "For recessive disorders, detected in trans with a pathogenic variant." The evidence for this variant shows: PTEN-associated syndromes are autosomal dominant and no trans observations apply. Therefore, this criterion is not applied.
PM4
PM4 (Not Applied) Strength Modified
According to VCEP guidelines, the rule for PM4 is: "Moderate Strength: Moderate Protein length changes due to in-frame deletions/insertions in a non-repeat region or stop-loss variants...". The evidence for this variant shows: it is a frameshift truncation, not an in-frame indel or stop-loss. Therefore, this criterion is not applied.
PM5
PM5 (Not Applied) Strength Modified
According to VCEP guidelines, the rule for PM5 is: "Moderate Strength: Moderate Missense change at an amino acid residue where a different missense change determined to be pathogenic or likely pathogenic has been seen before...". The evidence for this variant shows: N48Efs*4 is a frameshift, not a missense change. Therefore, this criterion is not applied.
PM6
PM6 (Not Applied) Strength Modified
According to VCEP guidelines, the rule for PM6 is: "Very Strong Strength: Very Strong Two proven OR four assumed OR one proven + two assumed de novo observations...". The evidence for this variant shows: no de novo data are available. Therefore, this criterion is not applied.
PP1
PP1 (Not Applied) Strength Modified
According to VCEP guidelines, the rule for PP1 is: "Supporting Strength: Supporting Co-segregation with disease in multiple affected family members, with 3 or 4 meioses observed. Modification Type: Disease-specific". The evidence for this variant shows: no segregation data are available. Therefore, this criterion is not applied.
PP2
PP2 (Not Applied) Strength Modified
According to standard ACMG guidelines, the rule for PP2 is: "Supporting Missense variant in a gene that has a low rate of benign missense variation and where missense variants are a common mechanism of disease." The evidence for this variant shows: it is a frameshift, not missense. Therefore, this criterion is not applied.
PP3
PP3 (Not Applied) Strength Modified
According to VCEP guidelines, the rule for PP3 is: "Supporting Strength: Supporting Multiple lines of computational evidence support a deleterious effect on the gene or gene product...". The evidence for this variant shows: computational predictions are inconclusive (SpliceAI max 0.3). Therefore, this criterion is not applied.
PP4
PP4 (Not Applied) Strength Modified
According to standard ACMG guidelines, the rule for PP4 is: "Phenotype specific for disease with single genetic etiology." The evidence for this variant shows: no specific phenotype or clinical presentation data are provided. Therefore, this criterion is not applied.
PP5
PP5 (Not Applied) Strength Modified
According to standard ACMG guidelines, the rule for PP5 is: "Reputable source recently reports variant as pathogenic or likely pathogenic, but the evidence is not available to the laboratory to perform an independent evaluation." The evidence for this variant shows: no entries in ClinVar or other reputable databases. Therefore, this criterion is not applied.
BA1
BA1 (Not Applied) Strength Modified
According to VCEP guidelines, the rule for BA1 is: "Stand Alone Strength: Stand Alone gnomAD Filtering allele frequency >0.00056 (0.056%)." The evidence for this variant shows: it is absent from population databases. Therefore, this criterion is not applied.
BS1
BS1 (Not Applied) Strength Modified
According to VCEP guidelines, the rule for BS1 is: "Strong Strength: Strong gnomAD Filtering allele frequency from 0.000043 up to 0.00056 (0.056%)." The evidence for this variant shows: allele frequency is 0%. Therefore, this criterion is not applied.
BS2
BS2 (Not Applied) Strength Modified
According to VCEP guidelines, the rule for BS2 is: "Strong Strength: Strong Observed in the homozygous state in a healthy or PHTS-unaffected individual...". The evidence for this variant shows: no homozygous observations. Therefore, this criterion is not applied.
BS3
BS3 (Not Applied) Strength Modified
According to VCEP guidelines, the rule for BS3 is: "Strong Strength: Strong Well-established in vitro or in vivo functional studies shows no damaging effect on protein function...". The evidence for this variant shows: functional studies demonstrate damaging effect. Therefore, this criterion is not applied.
BS4
BS4 (Not Applied) Strength Modified
According to VCEP guidelines, the rule for BS4 is: "Strong Strength: Strong Lack of segregation in affected members of two or more families." The evidence for this variant shows: no segregation data indicating lack of segregation. Therefore, this criterion is not applied.
BP1
BP1 (Not Applied) Strength Modified
According to standard ACMG guidelines, the rule for BP1 is: "Supporting Missense variant in a gene for which primarily truncating variants are known to cause disease." The evidence for this variant shows: it is truncating, not missense. Therefore, this criterion is not applied.
BP2
BP2 (Not Applied) Strength Modified
According to VCEP guidelines, the rule for BP2 is: "Supporting Strength: Supporting Observed in trans with a pathogenic or likely pathogenic PTEN variant OR at least three observations in cis...". The evidence for this variant shows: no such observations. Therefore, this criterion is not applied.
BP3
BP3 (Not Applied) Strength Modified
According to standard ACMG guidelines, the rule for BP3 is: "Supporting In-frame deletions/insertions in a repetitive region without a known function." The evidence for this variant shows: it is a non-repetitive frameshift. Therefore, this criterion is not applied.
BP4
BP4 (Not Applied) Strength Modified
According to VCEP guidelines, the rule for BP4 is: "Supporting Strength: Supporting Multiple lines of computational evidence suggest no impact on gene or gene product...". The evidence for this variant shows: in silico predictions are inconclusive. Therefore, this criterion is not applied.
BP5
BP5 (Not Applied) Strength Modified
According to VCEP guidelines, the rule for BP5 is: "Supporting Strength: Supporting Variant found in a case with an alternate molecular basis for disease...". The evidence for this variant shows: no alternate molecular basis reported. Therefore, this criterion is not applied.
BP6
BP6 (Not Applied) Strength Modified
According to standard ACMG guidelines, the rule for BP6 is: "Supporting Reputable source reports variant as benign but the evidence is not available to the laboratory to perform an independent evaluation." The evidence for this variant shows: no such reports exist. Therefore, this criterion is not applied.
BP7
BP7 (Not Applied) Strength Modified
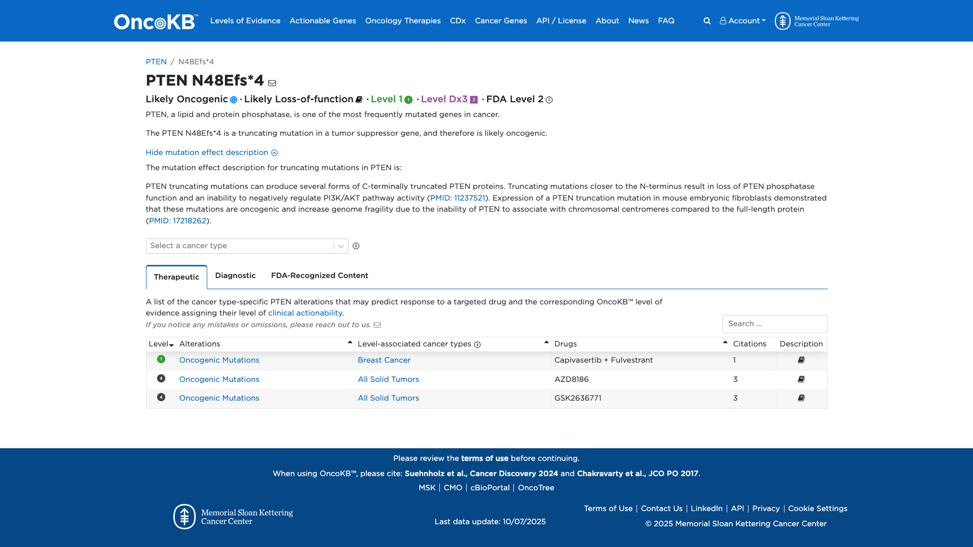
According to VCEP guidelines, the rule for BP7 is: "Supporting Strength: Supporting A synonymous or intronic variant at or beyond +7/-21 for which splicing prediction algorithms predict no impact...". The evidence for this variant shows: it is a coding frameshift, not synonymous or intronic. Therefore, this criterion is not applied.