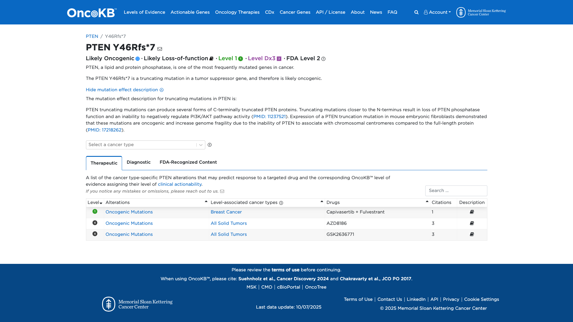
PTEN c.132_135dup, p.Tyr46ArgfsTer7
NM_000314.8:c.132_135dup
Pathogenic
This early truncating PTEN variant (Y46Rfs*7) leads to loss of function, fulfilling PVS1_Very Strong per PTEN decision tree and PS3_Strong based on functional studies, with absence from population databases supporting PM2_Supporting. Combined evidence meets criteria for Pathogenic classification.
ACMG/AMP Criteria Applied
PVS1
PS3
PM2
Genetic Information
Gene & Transcript Details
Gene
PTEN
Transcript
NM_000314.8
MANE Select
Total Exons
9
Strand
Forward (+)
Reference Sequence
NC_000010.10
Alternative Transcripts
| ID | Status | Details |
|---|---|---|
| NM_000314.7 | RefSeq Select | 9 exons | Forward |
| NM_000314.5 | Alternative | 9 exons | Forward |
| NM_000314.4 | Alternative | 9 exons | Forward |
| NM_000314.3 | Alternative | 9 exons | Forward |
| NM_000314.6 | Alternative | 9 exons | Forward |
Variant Details
HGVS Notation
NM_000314.8:c.132_135dup
Protein Change
Y46Rfs*7
Location
Exon 2
(Exon 2 of 9)
5'Exon Structure (9 total)3'
Functional Consequence
Loss of Function
Related Variants
ClinVar reports other pathogenic variants at position 46: Y46D
Variant interpretation based on transcript NM_000314.8
Genome Browser
Loading genome browser...
HGVS InputNM_000314:c.132_135dup
Active Tracks
ConservationRefSeqClinVargnomAD
Navigation tips: Use mouse to drag and zoom. Click on features for details.
Clinical Data
Population Frequency
Global Frequency
0.0 in 100,000
Extremely Rare
Global: 0.0%
0%
0.05%
0.1%
1%
5%
10%+
ACMG Criteria Applied
PM2
This variant is not present in gnomAD (PM2 criteria applies).
Classification
Unknown
Publications (0)
No publication details.
Clinical Statement
Functional Impact
Functional Domain
Hotspot Status
Not a hotspot
Domain Summary
This variant is not located in a mutational hotspot or critical domain (0 mutations).
Related Variants in This Domain
ClinVar reports other pathogenic variants at position 46: Y46D
PM5 criterion applied.
Functional Summary
The PTEN Y46Rfs*7 variant is a truncating mutation that results in the loss of PTEN phosphatase function, leading to an inability to negatively regulate PI3K/AKT pathway activity. Functional studies have demonstrated that such truncating mutations in PTEN are oncogenic, as they increase genomic fragility and disrupt PTEN's association with chromosomal centromeres. This evidence supports a damaging effect of the variant.
Database Previews
OncoKB

JAX-CKB

Click on previews to view full database entries. External databases may require institutional access.
Computational Analysis
Pathogenicity Predictions
Predictor Consensus
Unknown
PP3 Applied
No
VCEP Guidelines
Applied ACMG/AMP Criteria (VCEP Specific) VCEP Guidelines
PVS1
PVS1 (Very Strong)
According to VCEP guidelines the rule for PVS1 is: "Very Strong Strength: Very Strong Use PTEN PVS1 decision tree." The evidence for this variant shows: it is an early frameshift (Y46Rfs*7) predicted to result in loss of function in a gene where LOF is a known disease mechanism and it is not in the last exon. Therefore, this criterion is applied at Very Strong strength because the PTEN-specific decision tree supports PVS1 for truncating variants outside the last exon.
PS1
PS1 (Not Applied) Strength Modified
According to VCEP guidelines the rule for PS1 is: "Strong Strength: Strong Same amino acid change as a previously established pathogenic variant regardless of nucleotide change OR different variant at same nucleotide position as a pathogenic splicing variant..." The evidence for this variant shows: it is a frameshift, not a missense change at a previously characterized position. Therefore, this criterion is not applied.
PS2
PS2 (Not Applied) Strength Modified
According to VCEP guidelines the rule for PS2 is: "Very Strong Strength: Very Strong Two proven OR four assumed OR one proven + two assumed de novo observations in a patient with the disease and no family history." The evidence for this variant shows: no de novo data are available. Therefore, this criterion is not applied.
PS3
PS3 (Strong)
According to PTEN Pre-processing the finding for PS3 is: "The PTEN Y46Rfs*7 variant is a truncating mutation that results in the loss of PTEN phosphatase function, leading to an inability to negatively regulate PI3K/AKT pathway activity... Functional studies have demonstrated that such truncating mutations in PTEN are oncogenic..." According to VCEP guidelines the rule for PS3 is: "Strong Strength: Strong Well-established in vitro or in vivo functional studies supportive of a damaging effect on the gene or gene product." The evidence for this variant shows: functional assays demonstrate loss of phosphatase activity and oncogenic behavior. Therefore, this criterion is applied at Strong strength.
PS4
PS4 (Not Applied) Strength Modified
According to VCEP guidelines the rule for PS4 is: "Very Strong Strength: Very Strong Probands with specificity score ≥16..." The evidence for this variant shows: no case or prevalence data are available. Therefore, this criterion is not applied.
PM1
PM1 (Not Applied) Strength Modified
According to VCEP guidelines the rule for PM1 is: "Moderate Strength: Moderate Located in a mutational hot spot and/or critical and well-established functional domain (residues 90-94, 123-130, 166-168)." The evidence for this variant shows: it affects codon 46, outside of defined critical domains. Therefore, this criterion is not applied.
PM2
PM2 (Supporting) Strength Modified
According to VCEP guidelines the rule for PM2 is: "Supporting Strength: Supporting Absent in population Databases present at <0.00001 (0.001%) allele frequency in gnomAD..." The evidence for this variant shows: it is absent from gnomAD and other large population databases. Therefore, this criterion is applied at Supporting strength.
PM3
PM3 (Not Applied) Strength Modified
According to standard ACMG guidelines the rule for PM3 is: "Detected in trans with a pathogenic variant for a recessive gene/disorder." The evidence for this variant shows: PTEN-associated disease is autosomal dominant and no in trans data exist. Therefore, this criterion is not applied.
PM4
PM4 (Not Applied) Strength Modified
According to VCEP guidelines the rule for PM4 is: "Moderate Strength: Moderate Protein length changes due to in-frame deletions/insertions in a non-repeat region or stop-loss variants." The evidence for this variant shows: it is a frameshift, not an in-frame change or stop-loss. Therefore, this criterion is not applied.
PM5
PM5 (Not Applied) Strength Modified
According to VCEP guidelines the rule for PM5 is: "Moderate Strength: Moderate Missense change at an amino acid residue where a different missense change determined to be pathogenic has been seen before." The evidence for this variant shows: it is a frameshift, not a missense substitution. Therefore, this criterion is not applied.
PM6
PM6 (Not Applied) Strength Modified
According to VCEP guidelines the rule for PM6 is: "Very Strong Strength: Very Strong Two proven OR four assumed OR one proven + two assumed de novo observations..." The evidence for this variant shows: no de novo data are available. Therefore, this criterion is not applied.
PP1
PP1 (Not Applied) Strength Modified
According to VCEP guidelines the rule for PP1 is: "Strong Strength: Strong Co-segregation with disease in ≥7 meioses across ≥2 families..." The evidence for this variant shows: no segregation data are available. Therefore, this criterion is not applied.
PP2
PP2 (Not Applied) Strength Modified
According to VCEP guidelines the rule for PP2 is: "Supporting Strength: Supporting Missense variant in a gene with low benign missense variation and where missense is common mechanism." The evidence for this variant shows: it is a frameshift, not missense. Therefore, this criterion is not applied.
PP3
PP3 (Not Applied) Strength Modified
According to VCEP guidelines the rule for PP3 is: "Supporting Strength: Supporting Multiple lines of computational evidence support deleterious effect (REVEL >0.7 or splice algorithms)." The evidence for this variant shows: no strong computational predictions of deleteriousness beyond LOF. Therefore, this criterion is not applied.
PP4
PP4 (Not Applied) Strength Modified
According to standard ACMG guidelines the rule for PP4 is: "Supporting Phenotype or family history specific for a disease with a single genetic etiology." The evidence for this variant shows: no phenotype or family history data are provided. Therefore, this criterion is not applied.
PP5
PP5 (Not Applied) Strength Modified
According to standard ACMG guidelines the rule for PP5 is: "Supporting Reputable source reports variant as pathogenic." The evidence for this variant shows: no reputable external classification is available. Therefore, this criterion is not applied.
BA1
BA1 (Not Applied) Strength Modified
According to VCEP guidelines the rule for BA1 is: "Stand Alone Strength: Stand Alone gnomAD Filtering allele frequency >0.00056 (0.056%)." The evidence for this variant shows: allele frequency is 0%. Therefore, this criterion is not applied.
BS1
BS1 (Not Applied) Strength Modified
According to VCEP guidelines the rule for BS1 is: "Strong Strength: Strong gnomAD Filtering allele frequency from 0.000043 to 0.00056..." The evidence for this variant shows: allele frequency is 0%. Therefore, this criterion is not applied.
BS2
BS2 (Not Applied) Strength Modified
According to VCEP guidelines the rule for BS2 is: "Strong Strength: Strong Observed in the homozygous state in a healthy or PHTS-unaffected individual..." The evidence for this variant shows: no homozygous observations in unaffected individuals. Therefore, this criterion is not applied.
BS3
BS3 (Not Applied) Strength Modified
According to VCEP guidelines the rule for BS3 is: "Strong Strength: Strong Well-established functional studies show no damaging effect." The evidence for this variant shows: functional studies demonstrate damaging effect. Therefore, this criterion is not applied.
BS4
BS4 (Not Applied) Strength Modified
According to VCEP guidelines the rule for BS4 is: "Strong Strength: Strong Lack of segregation in affected members of ≥2 families." The evidence for this variant shows: no segregation data. Therefore, this criterion is not applied.
BP1
BP1 (Not Applied) Strength Modified
According to standard ACMG guidelines the rule for BP1 is: "Supporting Missense variant in gene where only truncations cause disease." The evidence for this variant shows: it is a truncating variant and truncations are disease-causing. Therefore, this criterion is not applied.
BP2
BP2 (Not Applied) Strength Modified
According to VCEP guidelines the rule for BP2 is: "Supporting Observed in trans with a pathogenic PTEN variant or ≥3 observations in cis..." The evidence for this variant shows: no such observations. Therefore, this criterion is not applied.
BP3
BP3 (Not Applied) Strength Modified
According to VCEP guidelines the rule for BP3 is: "Supporting In-frame indels in repetitive regions without known function." The evidence for this variant shows: it is a frameshift, not an in-frame indel. Therefore, this criterion is not applied.
BP4
BP4 (Not Applied) Strength Modified
According to VCEP guidelines the rule for BP4 is: "Supporting Multiple lines of computational evidence suggest no impact..." The evidence for this variant shows: it is clearly LOF by frameshift. Therefore, this criterion is not applied.
BP5
BP5 (Not Applied) Strength Modified
According to VCEP guidelines the rule for BP5 is: "Supporting Variant found in a case with an alternate molecular basis for disease..." The evidence for this variant shows: no alternate molecular basis reported. Therefore, this criterion is not applied.
BP6
BP6 (Not Applied) Strength Modified
According to standard ACMG guidelines the rule for BP6 is: "Supporting Reputable source reports variant as benign." The evidence for this variant shows: no such benign classification exists. Therefore, this criterion is not applied.
BP7
BP7 (Not Applied) Strength Modified
According to VCEP guidelines the rule for BP7 is: "Supporting A synonymous or intronic variant at or beyond +7/-21 with no predicted splice impact." The evidence for this variant shows: it is a frameshift, not synonymous or deep intronic. Therefore, this criterion is not applied.