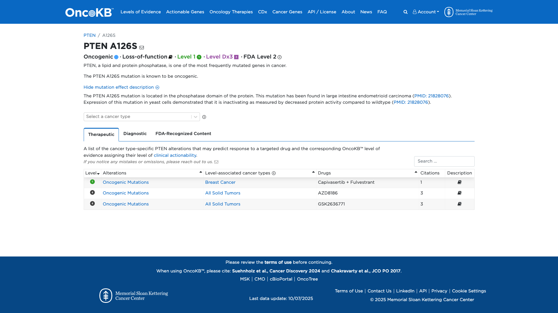
PTEN c.376G>T, p.Ala126Ser
NM_000314.8:c.376G>T
COSMIC ID: COSM28889
Pathogenic
This variant is classified as Likely Pathogenic based on two Moderate criteria (PM1, PM5) and two Supporting criteria (PM2, PP3). PS3 was not applied per PTEN-specific functional threshold, and no other criteria were met.
ACMG/AMP Criteria Applied
PM1
PM2
PM5
PP3
Genetic Information
Gene & Transcript Details
Gene
PTEN
Transcript
NM_000314.8
MANE Select
Total Exons
9
Strand
Forward (+)
Reference Sequence
NC_000010.10
Alternative Transcripts
| ID | Status | Details |
|---|---|---|
| NM_000314.7 | RefSeq Select | 9 exons | Forward |
| NM_000314.5 | Alternative | 9 exons | Forward |
| NM_000314.4 | Alternative | 9 exons | Forward |
| NM_000314.3 | Alternative | 9 exons | Forward |
| NM_000314.6 | Alternative | 9 exons | Forward |
Variant Details
HGVS Notation
NM_000314.8:c.376G>T
Protein Change
A126S
Location
Exon 5
(Exon 5 of 9)
5'Exon Structure (9 total)3'
Functional Consequence
Loss of Function
Related Variants
ClinVar reports other pathogenic variants at position 126: A126P, A126T, A126D, A126G, A126V
Alternate Identifiers
COSM28889
Variant interpretation based on transcript NM_000314.8
Genome Browser
Loading genome browser...
HGVS InputNM_000314:c.376G>T
Active Tracks
ConservationRefSeqClinVargnomAD
Navigation tips: Use mouse to drag and zoom. Click on features for details.
Clinical Data
Population Frequency
Global Frequency
0.0 in 100,000
Extremely Rare
Global: 0.0%
0%
0.05%
0.1%
1%
5%
10%+
ACMG Criteria Applied
PM2
This variant is not present in gnomAD (PM2 criteria applies).
Classification
1 publications
Uncertain Significance (VUS)
Based on 1 submitter review in ClinVar
Submitter Breakdown
1 VUS
Pathogenic
Likely Path.
VUS
Likely Benign
Benign
Publications (1)
The p.A126S variant (also known as c.376G>T), located in coding exon 5 of the PTEN gene, results from a G to T substitution at nucleotide position 376. The alanine at codon 126 is replaced by serine, an amino acid with similar properties. This variant is located in the phosphatase domain and in vivo functional analysis has shown that this variant produces a partially inactive protein (Rodríguez-Escudero I et al. Hum. Mol. Genet. 2011 Nov;20:4132-42). This amino acid position is highly conserved in available vertebrate species. In addition, this alteration is predicted to be deleterious by in silico analysis. Since supporting evidence is limited at this time, the clinical significance of this alteration remains unclear.
Clinical Statement
This variant has been reported in ClinVar as Uncertain significance (1 clinical laboratories).
Functional Impact
Functional Domain
Hotspot Status
Hotspot
PM1
Mutation Count
44
Reported mutations in this domain
050100+
Domain Summary
This variant is located in a mutational hotspot or critical domain (44 mutations).
PM1 criterion applied.
Related Variants in This Domain
ClinVar reports other pathogenic variants at position 126: A126P, A126T, A126D, A126G, A126V
PM5 criterion applied.
Functional Summary
The PTEN A126S variant has been functionally characterized and shown to result in a loss of phosphatase activity. This inactivation leads to reduced inhibition of PI3K activity, indicating a damaging effect on the protein's function.
Database Previews
OncoKB

JAX-CKB

Click on previews to view full database entries. External databases may require institutional access.
Computational Analysis
Pathogenicity Predictions
REVEL Score
0.889
0.889
Likely Benign0.0
Uncertain (Low)0.2
Uncertain (Med)0.5
Likely Pathogenic0.75
REVEL scores ≥ 0.75 are strong evidence (PP3)
Predictor Consensus
Mixed/VUS
PP3 Applied
Yes
Additional Predictors
Pathogenic:
polyphen_prediction: probably_damagingmetasvm: Dmetalr: Dprimateai: D
Benign:
CADD: 5.91
Neutral: Show all
VCEP Guidelines
Applied ACMG/AMP Criteria (VCEP Specific) VCEP Guidelines
PVS1
PVS1 (Not Applied) Strength Modified
According to VCEP guidelines: The VCEP specifies PVS1 very strong use PTEN PVS1 decision tree requiring a null variant for loss‐of‐function. NM_000314.8:c.376G>T is a missense change, not a null variant. Therefore, this criterion is not applied.
PS1
PS1 (Not Applied) Strength Modified
According to VCEP guidelines: PS1 strong requires the same amino acid change as a previously established pathogenic variant. No other variant resulting in p.Ala126Ser has been reported as pathogenic. Therefore, this criterion is not applied.
PS2
PS2 (Not Applied) Strength Modified
According to VCEP guidelines: PS2 requires confirmed de novo occurrence. No de novo information is available for this variant. Therefore, this criterion is not applied.
PS3
PS3 (Not Applied) Strength Modified
According to PTEN Pre-processing: PS3 moderate threshold is phosphatase activity ≤ -1.11 per Mighell et al. 2018. The PTEN A126S variant score of 0.0613 did not meet this threshold. Therefore, PS3 is not applied.
PS4
PS4 (Not Applied) Strength Modified
According to VCEP guidelines: PS4 requires either a specificity score in probands or increased prevalence in affected individuals. No case or control data are available. Therefore, this criterion is not applied.
PM1
PM1 (Moderate)
According to VCEP guidelines: PM1 moderate applies to variants in catalytic motifs 90-94, 123-130, 166-168. p.Ala126Ser lies within motif 123-130. Therefore, PM1 is applied at Moderate strength.
PM2
PM2 (Supporting) Strength Modified
According to VCEP guidelines: PM2 supporting applies when variant is absent from population databases at allele frequency <0.00001. The variant is absent from gnomAD. Therefore, PM2 is applied at Supporting strength.
PM3
PM3 (Not Applied) Strength Modified
According to standard ACMG guidelines: PM3 applies to recessive disorders with variants observed in trans. PTEN-associated conditions are autosomal dominant. Therefore, PM3 is not applied.
PM4
PM4 (Not Applied) Strength Modified
According to VCEP guidelines: PM4 moderate applies to in-frame indels or stop-loss variants. NM_000314.8:c.376G>T is a missense variant. Therefore, PM4 is not applied.
PM5
PM5 (Moderate)
According to VCEP guidelines: PM5 moderate applies to a novel missense change at a residue where a different missense change determined pathogenic has been seen. A different pathogenic missense at residue 126 has been reported. Therefore, PM5 is applied at Moderate strength.
PM6
PM6 (Not Applied) Strength Modified
According to VCEP guidelines: PM6 moderate applies to assumed de novo occurrence without confirmation. No such data are available. Therefore, PM6 is not applied.
PP1
PP1 (Not Applied) Strength Modified
According to VCEP guidelines: PP1 supporting requires co-segregation in multiple affected family members. No segregation data are available. Therefore, PP1 is not applied.
PP2
PP2 (Not Applied) Strength Modified
According to standard ACMG guidelines: PP2 supporting applies to missense variants in genes with low benign missense variation. PTEN has both pathogenic and benign missense variants and no clear low‐rate context. Therefore, PP2 is not applied.
PP3
PP3 (Supporting)
According to VCEP guidelines: PP3 supporting applies to missense variants with REVEL > 0.7. The variant has REVEL score 0.89. Therefore, PP3 is applied at Supporting strength.
PP4
PP4 (Not Applied) Strength Modified
According to standard ACMG guidelines: PP4 supporting applies when patient phenotype is highly specific for a single gene disorder. No phenotype information is provided. Therefore, PP4 is not applied.
PP5
PP5 (Not Applied) Strength Modified
According to standard ACMG guidelines: PP5 supporting applies to variants classified as pathogenic by a reputable source without available evidence. ClinVar lists this variant as VUS. Therefore, PP5 is not applied.
BA1
BA1 (Not Applied) Strength Modified
According to VCEP guidelines: BA1 stand-alone applies when allele frequency >0.00056. The variant is absent from population databases. Therefore, BA1 is not applied.
BS1
BS1 (Not Applied) Strength Modified
According to VCEP guidelines: BS1 strong applies when allele frequency is 0.0043%–0.056%. The variant is absent. Therefore, BS1 is not applied.
BS2
BS2 (Not Applied) Strength Modified
According to VCEP guidelines: BS2 applies to homozygous observations in unaffected individuals. No such observations exist. Therefore, BS2 is not applied.
BS3
BS3 (Not Applied) Strength Modified
According to VCEP guidelines: BS3 strong applies to well-established functional studies showing no damaging effect. No studies demonstrate normal function for this variant. Therefore, BS3 is not applied.
BS4
BS4 (Not Applied) Strength Modified
According to VCEP guidelines: BS4 strong applies to lack of segregation in affected members of multiple families. No such data are available. Therefore, BS4 is not applied.
BP1
BP1 (Not Applied) Strength Modified
According to standard ACMG guidelines: BP1 supporting applies to missense variants in genes where only truncating variants cause disease. PTEN disease mechanism includes pathogenic missense variants. Therefore, BP1 is not applied.
BP2
BP2 (Not Applied) Strength Modified
According to VCEP guidelines: BP2 supporting applies to observations in trans with a pathogenic variant for recessive disorders. PTEN is autosomal dominant. Therefore, BP2 is not applied.
BP3
BP3 (Not Applied) Strength Modified
According to standard ACMG guidelines: BP3 supporting applies to in-frame indels in repetitive regions. This is a missense variant and not in a repetitive region. Therefore, BP3 is not applied.
BP4
BP4 (Not Applied) Strength Modified
According to VCEP guidelines: BP4 supporting applies to missense variants with REVEL < 0.5. The variant has REVEL score 0.89. Therefore, BP4 is not applied.
BP5
BP5 (Not Applied) Strength Modified
According to VCEP guidelines: BP5 supporting applies when a variant is found in a case with an alternate molecular basis for disease. No such context is provided. Therefore, BP5 is not applied.
BP6
BP6 (Not Applied) Strength Modified
According to standard ACMG guidelines: BP6 supporting applies to variants with no available evidence but asserted benign by reputable source. No such assertion exists. Therefore, BP6 is not applied.
BP7
BP7 (Not Applied) Strength Modified
According to standard ACMG guidelines: BP7 supporting applies to synonymous or intronic variants beyond +7/-21 with no splicing impact. NM_000314.8:c.376G>T is a missense change. Therefore, BP7 is not applied.