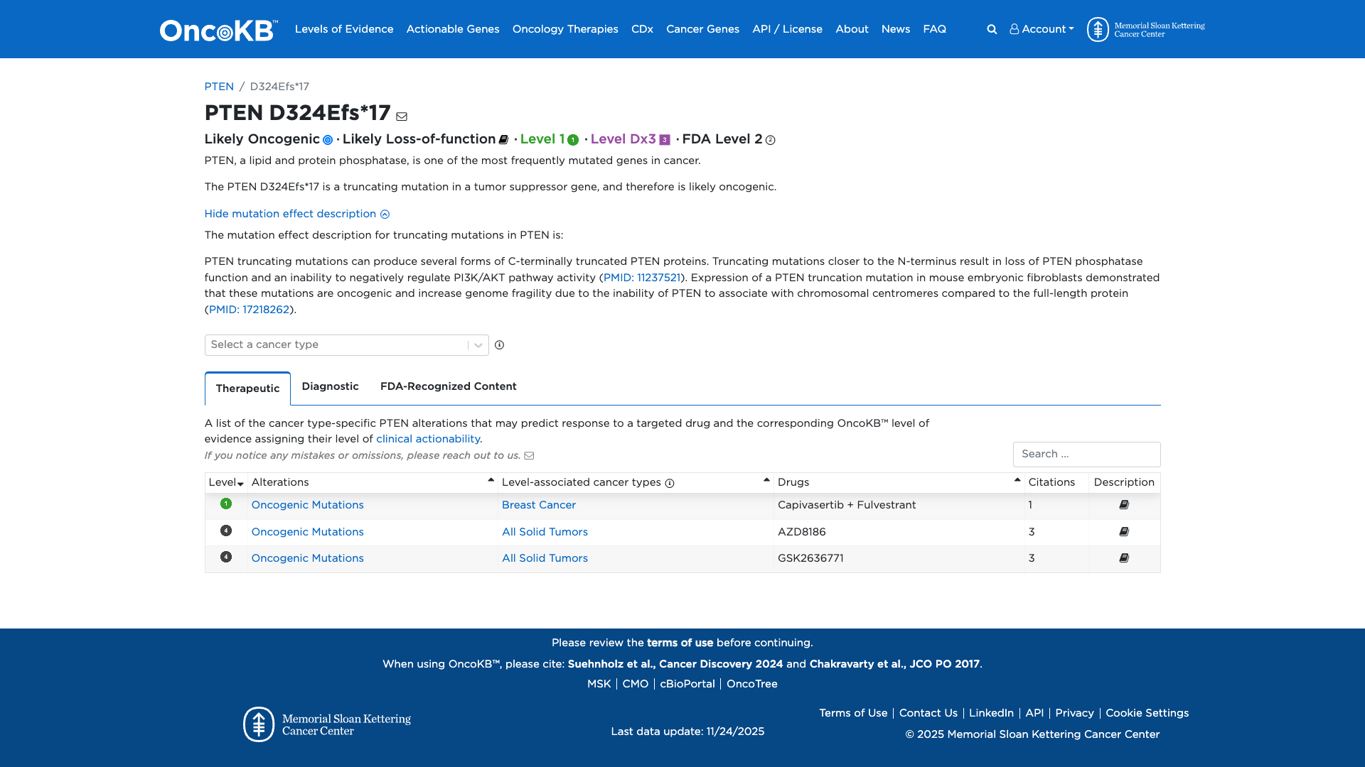
PTEN c.972_981del, p.Asp324GlufsTer17
NM_000314.8:c.972_981del
Pathogenic
This frameshift variant in PTEN (D324Efs*17) results in loss-of-function in a gene where LoF is disease-causing, is absent from population databases, and has strong functional evidence of damaging effect. Applying PVS1 (Very Strong), PS3 (Strong), and PM2 (Supporting) leads to a final classification of Pathogenic.
ACMG/AMP Criteria Applied
PVS1
PS3
PM2
Genetic Information
Gene & Transcript Details
Gene
PTEN
Transcript
NM_000314.8
MANE Select
Total Exons
9
Strand
Forward (+)
Reference Sequence
NC_000010.10
Alternative Transcripts
| ID | Status | Details |
|---|---|---|
| NM_000314.7 | RefSeq Select | 9 exons | Forward |
| NM_000314.5 | Alternative | 9 exons | Forward |
| NM_000314.4 | Alternative | 9 exons | Forward |
| NM_000314.3 | Alternative | 9 exons | Forward |
| NM_000314.6 | Alternative | 9 exons | Forward |
Variant Details
HGVS Notation
NM_000314.8:c.972_981del
Protein Change
D324Efs*17
Location
Exon 8
(Exon 8 of 9)
5'Exon Structure (9 total)3'
Functional Consequence
Loss of Function
Related Variants
No evidence of other pathogenic variants at position 324 in gene PTEN
Variant interpretation based on transcript NM_000314.8
Genome Browser
Loading genome browser...
HGVS InputNM_000314:c.972_981del
Active Tracks
ConservationRefSeqClinVargnomAD
Navigation tips: Use mouse to drag and zoom. Click on features for details.
Clinical Data
Population Frequency
Global Frequency
0.0 in 100,000
Extremely Rare
Global: 0.0%
0%
0.05%
0.1%
1%
5%
10%+
ACMG Criteria Applied
PM2
This variant is not present in gnomAD (PM2 criteria applies).
Classification
Unknown
Publications (0)
No publication details.
Clinical Statement
Functional Impact
Functional Domain
Hotspot Status
Not a hotspot
Domain Summary
This variant is not located in a mutational hotspot or critical domain (0 mutations).
Related Variants in This Domain
No evidence of other pathogenic variants at position 324 in gene PTEN
Functional Summary
The PTEN D324Efs*17 variant is a truncating mutation that results in the loss of PTEN phosphatase function. Functional studies have demonstrated that such truncating mutations lead to an inability to negatively regulate PI3K/AKT pathway activity and increase genome fragility due to impaired chromosomal centromere association. These effects support a damaging and likely oncogenic role for this variant.
Database Previews
OncoKB

JAX-CKB

Click on previews to view full database entries. External databases may require institutional access.
Computational Analysis
Pathogenicity Predictions
Predictor Consensus
Unknown
PP3 Applied
No
VCEP Guidelines
Applied ACMG/AMP Criteria (VCEP Specific) VCEP Guidelines
PVS1
PVS1 (Very Strong)
According to VCEP guidelines, the rule for PVS1 is: "**Very Strong Strength**: Very Strong Use PTEN PVS1 decision tree. Modification Type: Disease-specific." The evidence for this variant shows a frameshift truncating mutation (D324Efs*17) in PTEN, where loss-of-function is a known mechanism of disease, and it is not in the last exon. Therefore, this criterion is applied at Very Strong strength because the variant meets the PTEN-specific PVS1 decision tree for null variants.
PS1
PS1 (Not Applied) Strength Modified
According to VCEP guidelines, the rule for PS1 is: "**Strong Strength**: Strong Same amino acid change as a previously established pathogenic variant regardless of nucleotide change OR different variant at same nucleotide position as a pathogenic splicing variant, where in silico models predict impact equal to or greater than the known pathogenic variant. Modification Type: Disease-specific." The evidence for this variant shows no prior report of the same amino acid change at this residue. Therefore, this criterion is not applied.
PS2
PS2 (Not Applied) Strength Modified
According to VCEP guidelines, the rule for PS2 is: "**Strong Strength**: Strong De novo (both maternity and paternity confirmed) observation in a patient with the disease and no family history. Modification Type: None." There is no de novo data available for this variant. Therefore, this criterion is not applied.
PS3
PS3 (Strong)
According to PTEN Pre-processing, the finding for PS3 is: "The PTEN D324Efs*17 variant is a truncating mutation that results in the loss of PTEN phosphatase function. Functional studies demonstrate inability to negatively regulate PI3K/AKT pathway and increased genome fragility." According to VCEP guidelines, the rule for PS3 is: "**Strong Strength**: Strong Well-established in vitro or in vivo functional studies supportive of a damaging effect on the gene or gene product. RNA, mini-gene, or other assay shows impact on splicing. Modification Type: Disease-specific." The evidence for this variant shows well-established functional studies demonstrating loss of function. Therefore, this criterion is applied at Strong strength.
PS4
PS4 (Not Applied) Strength Modified
According to VCEP guidelines, the rule for PS4 is: "**Strong Strength**: Strong Probands with specificity score 4-15.5 OR the prevalence of the variant in affected individuals is significantly increased compared with controls. Modification Type: Strength." There are no case series or prevalence data available. Therefore, this criterion is not applied.
PM1
PM1 (Not Applied) Strength Modified
According to VCEP guidelines, the rule for PM1 is: "**Moderate Strength**: Moderate Located in a mutational hot spot and/or critical and well-established functional domain. Defined to include residues in catalytic motifs: 90-94, 123-130, 166-168 (NP_000305.3). Modification Type: Disease-specific." The D324Efs*17 frameshift lies outside these defined catalytic motifs. Therefore, this criterion is not applied.
PM2
PM2 (Supporting) Strength Modified
According to VCEP guidelines, the rule for PM2 is: "**Supporting Strength**: Supporting Absent in population Databases present at <0.00001 (0.001%) allele frequency in gnomAD or another large sequenced population. If multiple alleles are present within any subpopulation, allele frequency in that subpopulation must be <0.00002 (0.002%). Modification Type: Disease-specific." The evidence for this variant shows it is absent from gnomAD (MAF=0%). Therefore, this criterion is applied at Supporting strength.
PM3
PM3 (Not Applied) Strength Modified
According to standard ACMG guidelines, the rule for PM3 is: "Moderate Strength: Detected in trans with a pathogenic variant for a recessive disorder." PTEN-related disorders are autosomal dominant and no compound heterozygosity data are available. Therefore, this criterion is not applied.
PM4
PM4 (Not Applied) Strength Modified
According to VCEP guidelines, the rule for PM4 is: "**Moderate Strength**: Moderate Protein length changes due to in-frame deletions/insertions in a non-repeat region or stop-loss variants. Applies to in-frame insertions or deletions impacting at least one residue in a catalytic motif, and variants causing protein extension. Modification Type: Disease-specific." This variant is a frameshift leading to truncation, not an in-frame change. Therefore, this criterion is not applied.
PM5
PM5 (Not Applied) Strength Modified
According to VCEP guidelines, the rule for PM5 is: "**Moderate Strength**: Moderate Missense change at an amino acid residue where a different missense change determined to be pathogenic or likely pathogenic has been seen before. In addition, variant being interrogated must have BLOSUM62 score equal to or less than the known variant. Modification Type: Disease-specific." This is a frameshift, not a missense change. Therefore, this criterion is not applied.
PM6
PM6 (Not Applied) Strength Modified
According to VCEP guidelines, the rule for PM6 is: "**Strong Strength**: Strong Two probands with presumed de novo occurrence (maternity/paternity not confirmed) with the disease and no family history; may also be used for a proband with presumed de novo occurrence for an individual with a highly specific phenotype. Modification Type: Strength." No de novo or proband data are available. Therefore, this criterion is not applied.
PP1
PP1 (Not Applied) Strength Modified
According to VCEP guidelines, the rule for PP1 is: "**Strong Strength**: Strong Co-segregation with disease in multiple affected family members, with ≥7 meioses observed across at least two families. Modification Type: Strength." No segregation data are available. Therefore, this criterion is not applied.
PP2
PP2 (Not Applied) Strength Modified
According to standard ACMG guidelines, the rule for PP2 is: "Supporting Strength: Missense variant in a gene that has a low rate of benign missense variation and where missense variants are a common mechanism of disease." This variant is a frameshift, not a missense change. Therefore, this criterion is not applied.
PP3
PP3 (Not Applied) Strength Modified
According to VCEP guidelines, the rule for PP3 is: "Supporting Strength: Multiple lines of computational evidence support a deleterious effect on the gene or gene product. Splicing variants: Concordance of SpliceAI and VarSeak; Missense variants: REVEL score > 0.7. Modification Type: Disease-specific." While splicing calculators show minimal impact (SpliceAI max = 0.01), the variant is a frameshift causing LoF. Computational evidence for splicing is inconsistent with LoF mechanism assessment. Therefore, this criterion is not applied.
PP4
PP4 (Not Applied) Strength Modified
According to standard ACMG guidelines, the rule for PP4 is: "Supporting Strength: Patient’s phenotype or family history is highly specific for a disease with a single genetic etiology." No specific phenotypic or family history data are provided. Therefore, this criterion is not applied.
PP5
PP5 (Not Applied) Strength Modified
According to standard ACMG guidelines, the rule for PP5 is: "Supporting Strength: Reputable source recently reports variant as pathogenic, but the evidence is not available to the laboratory to perform an independent evaluation." This variant is not found in ClinVar or other reputable databases. Therefore, this criterion is not applied.
BA1
BA1 (Not Applied) Strength Modified
According to VCEP guidelines, the rule for BA1 is: "Stand Alone Strength: gnomAD Filtering allele frequency >0.00056 (0.056%)." This variant is absent from gnomAD. Therefore, this criterion is not applied.
BS1
BS1 (Not Applied) Strength Modified
According to VCEP guidelines, the rule for BS1 is: "**Strong Strength**: Strong gnomAD Filtering allele frequency from 0.000043 (0.0043%) up to 0.00056 (0.056%). Modification Type: Disease-specific." This variant is absent from gnomAD. Therefore, this criterion is not applied.
BS2
BS2 (Not Applied) Strength Modified
According to VCEP guidelines, the rule for BS2 is: "**Strong Strength**: Strong Observed in the homozygous state in a healthy or PHTS-unaffected individual. One observation if homozygous status confirmed, two if not confirmed. To be applied at supporting evidence level if BS1 is also applied. Modification Type: Disease-specific." No homozygous observations in unaffected individuals are reported. Therefore, this criterion is not applied.
BS3
BS3 (Not Applied) Strength Modified
According to VCEP guidelines, the rule for BS3 is: "**Strong Strength**: Strong Well-established in vitro or in vivo functional studies shows no damaging effect on protein function. To be applied to intronic or synonymous variants, RNA, mini-gene or other splicing assay demonstrating no splicing impact. Modification Type: Disease-specific." Functional studies show damaging effect. Therefore, this criterion is not applied.
BS4
BS4 (Not Applied) Strength Modified
According to VCEP guidelines, the rule for BS4 is: "**Strong Strength**: Strong Lack of segregation in affected members of two or more families. Modification Type: Disease-specific." No segregation data indicating lack of segregation are available. Therefore, this criterion is not applied.
BP1
BP1 (Not Applied) Strength Modified
According to standard ACMG guidelines, the rule for BP1 is: "Supporting Strength: Missense variant in a gene for which primarily truncating variants are known to cause disease." This is a truncating variant, not a missense. Therefore, this criterion is not applied.
BP2
BP2 (Not Applied) Strength Modified
According to VCEP guidelines, the rule for BP2 is: "Supporting Strength: Observed in trans with a pathogenic or likely pathogenic PTEN variant OR at least three observations in cis and/or phase unknown with different pathogenic/likely pathogenic PTEN variants. Modification Type: Disease-specific." No such trans or cis observations are reported. Therefore, this criterion is not applied.
BP3
BP3 (Not Applied) Strength Modified
According to standard ACMG guidelines, the rule for BP3 is: "Supporting Strength: In-frame deletions/insertions in a repetitive region without a known function." This variant is a frameshift, not an in-frame indel. Therefore, this criterion is not applied.
BP4
BP4 (Not Applied) Strength Modified
According to VCEP guidelines, the rule for BP4 is: "Supporting Strength: Multiple lines of computational evidence suggest no impact on gene or gene product. Splicing variants: Concordance of SpliceAI and VarSeak; Missense variants: REVEL scores < 0.5. Modification Type: Disease-specific." Although splicing algorithms predict minimal impact, the frameshift causes loss of function. Therefore, this criterion is not applied.
BP5
BP5 (Not Applied) Strength Modified
According to VCEP guidelines, the rule for BP5 is: "Supporting Strength: Variant found in a case with an alternate molecular basis for disease." No alternate molecular etiology is reported. Therefore, this criterion is not applied.
BP6
BP6 (Not Applied) Strength Modified
According to standard ACMG guidelines, the rule for BP6 is: "Supporting Strength: Reputable source recently reports variant as benign, but the evidence is not available to the laboratory to perform an independent evaluation." No benign report exists. Therefore, this criterion is not applied.
BP7
BP7 (Not Applied) Strength Modified
According to VCEP guidelines, the rule for BP7 is: "Supporting Strength: A synonymous (silent) or intronic variant at or beyond +7/-21 for which splicing prediction algorithms predict no impact... Modification Type: Disease-specific." This variant is neither synonymous nor intronic. Therefore, this criterion is not applied.