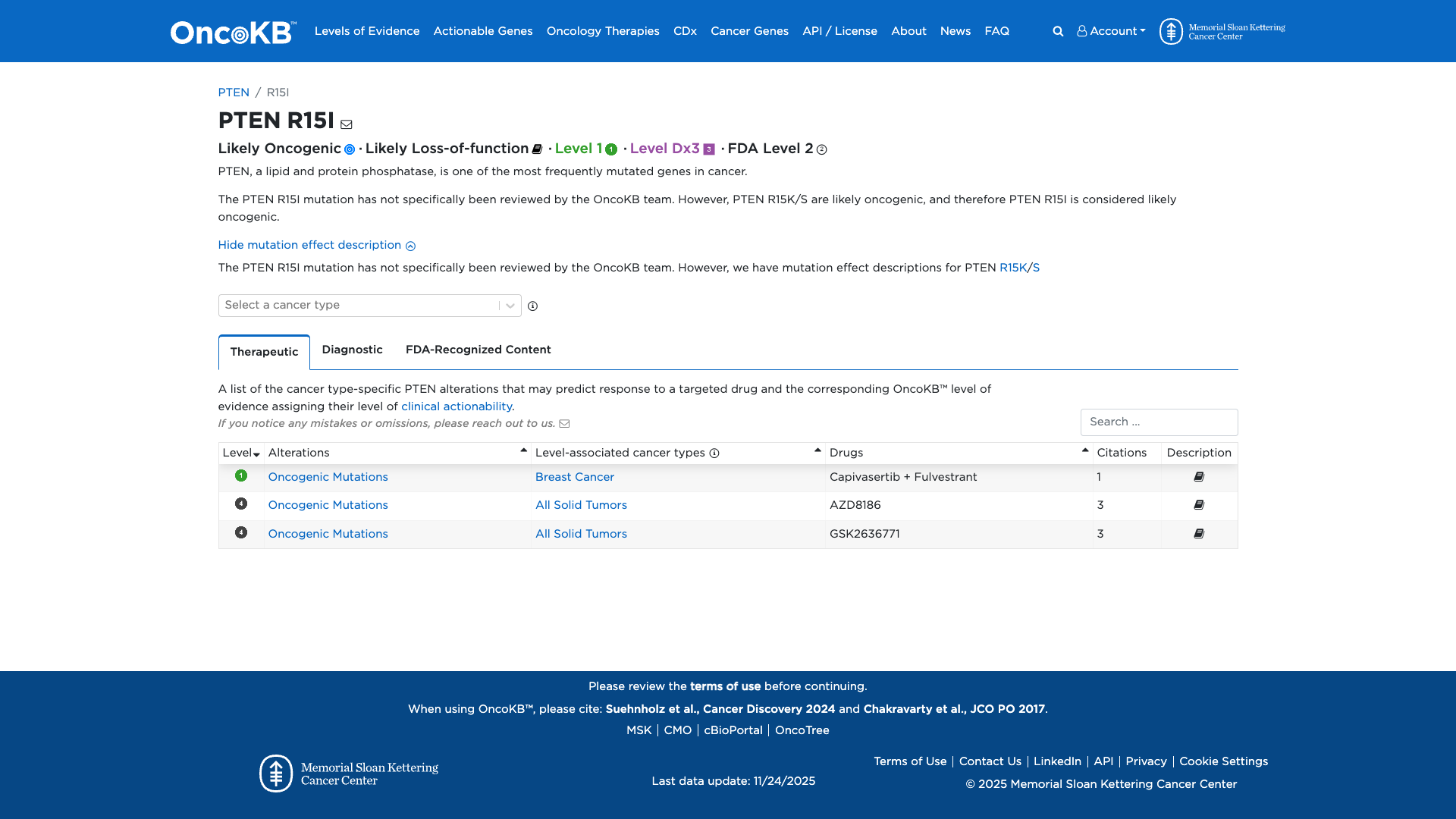
PTEN c.44G>T, p.Arg15Ile
NM_000314.8:c.44G>T
COSMIC ID: COSM5232
Likely Pathogenic
Classified as Likely Pathogenic based on PTEN-specific moderate functional evidence (PS3), moderate residue-based evidence (PM5), and supporting absence from population (PM2) and computational predictions (PP3).
ACMG/AMP Criteria Applied
PS3
PM2
PM5
PP3
Genetic Information
Gene & Transcript Details
Gene
PTEN
Transcript
NM_000314.8
MANE Select
Total Exons
9
Strand
Forward (+)
Reference Sequence
NC_000010.10
Alternative Transcripts
| ID | Status | Details |
|---|---|---|
| NM_000314.7 | RefSeq Select | 9 exons | Forward |
| NM_000314.5 | Alternative | 9 exons | Forward |
| NM_000314.4 | Alternative | 9 exons | Forward |
| NM_000314.3 | Alternative | 9 exons | Forward |
| NM_000314.6 | Alternative | 9 exons | Forward |
Variant Details
HGVS Notation
NM_000314.8:c.44G>T
Protein Change
R15I
Location
Exon 1
(Exon 1 of 9)
5'Exon Structure (9 total)3'
Functional Consequence
Loss of Function
Related Variants
ClinVar reports other pathogenic variants at position 15: R15T, R15K, R15S, R15S
Alternate Identifiers
COSM5232
Variant interpretation based on transcript NM_000314.8
Genome Browser
Loading genome browser...
HGVS InputNM_000314:c.44G>T
Active Tracks
ConservationRefSeqClinVargnomAD
Navigation tips: Use mouse to drag and zoom. Click on features for details.
Clinical Data
Population Frequency
Global Frequency
0.0 in 100,000
Extremely Rare
Global: 0.0%
0%
0.05%
0.1%
1%
5%
10%+
ACMG Criteria Applied
PM2
This variant is not present in gnomAD (PM2 criteria applies).
Classification
Unknown
Publications (0)
No publication details.
Clinical Statement
Functional Impact
Functional Domain
Hotspot Status
Not a hotspot
Domain Summary
This variant is not located in a mutational hotspot or critical domain (0 mutations).
Related Variants in This Domain
ClinVar reports other pathogenic variants at position 15: R15T, R15K, R15S, R15S
PM5 criterion applied.
Functional Summary
The PTEN R15I variant has been functionally characterized and demonstrates a loss of PTEN protein function. This is evidenced by the loss of phosphatase activity and impaired nuclear localization observed in yeast models.
Database Previews
OncoKB

JAX-CKB

Click on previews to view full database entries. External databases may require institutional access.
Computational Analysis
Pathogenicity Predictions
REVEL Score
0.904
0.904
Likely Benign0.0
Uncertain (Low)0.2
Uncertain (Med)0.5
Likely Pathogenic0.75
REVEL scores ≥ 0.75 are strong evidence (PP3)
Predictor Consensus
Mixed/VUS
PP3 Applied
Yes
Additional Predictors
Pathogenic:
metasvm: Dmetalr: Dprimateai: D
Benign:
CADD: 5.50polyphen_prediction: benign
Neutral: Show all
VCEP Guidelines
Applied ACMG/AMP Criteria (VCEP Specific) VCEP Guidelines
PVS1
PVS1 (Not Applied) Strength Modified
According to VCEP guidelines, the rule for PVS1 is: "Very Strong Strength: Use PTEN PVS1 decision tree". The evidence for this variant shows: it is a missense change (NM_000314.8:c.44G>T, R15I) and does not create a null allele or affect splicing in a way that meets the PVS1 decision tree. Therefore, this criterion is not applied because the variant does not meet the PTEN-specific PVS1 decision tree requirements.
PS1
PS1 (Not Applied) Strength Modified
According to VCEP guidelines, the rule for PS1 is: "Strong Strength: Same amino acid change as a previously established pathogenic variant regardless of nucleotide change OR different variant at same nucleotide position as a pathogenic splicing variant, where in silico models predict impact equal to or greater than the known pathogenic variant." The evidence for this variant shows: R15I is novel and no other pathogenic variant at residue R15 has been reported. Therefore, this criterion is not applied because there is no previously established pathogenic variant causing the same amino acid change.
PS2
PS2 (Not Applied) Strength Modified
According to VCEP guidelines, the rule for PS2 is: "Very Strong Strength: Two proven or four assumed or one proven + two assumed de novo observations; Strong Strength: confirmed de novo in a patient with disease and no family history." The evidence for this variant shows: no de novo data are available. Therefore, this criterion is not applied due to lack of de novo evidence.
PS3
PS3 (Moderate) Strength Modified
According to PTEN pre-processing, the finding for PS3 is: "Phosphatase activity ≤ -1.11 per Mighell et al. 2018 (score -3.4075 < -1.11)". The evidence for this variant shows: well-established functional studies in yeast demonstrate loss of PTEN phosphatase activity and impaired nuclear localization. Therefore, this criterion is applied at Moderate strength because the variant meets the PTEN-specific PS3_moderate functional threshold.
PS4
PS4 (Not Applied) Strength Modified
According to VCEP guidelines, the rule for PS4 is: "Moderate Strength: Probands with specificity score of 2–3.5 or significant prevalence in affected vs. controls." The evidence for this variant shows: no case-control or proband specificity data are provided. Therefore, this criterion is not applied due to lack of case data.
PM1
PM1 (Not Applied) Strength Modified
According to VCEP guidelines, the rule for PM1 is: "Moderate Strength: Located in a mutational hot spot and/or critical functional domain (residues 90–94, 123–130, 166–168)." The evidence for this variant shows: residue R15 is outside these defined motifs. Therefore, this criterion is not applied because the variant is not in a PTEN mutational hotspot or critical domain.
PM2
PM2 (Supporting) Strength Modified
According to VCEP guidelines, the rule for PM2 is: "Supporting Strength: Absent in population databases present at <0.00001 allele frequency in gnomAD." The evidence for this variant shows: the variant is not found in gnomAD or other population databases. Therefore, this criterion is applied at Supporting strength because the variant is absent from controls.
PM3
PM3 (Not Applied) Strength Modified
According to standard ACMG guidelines, the rule for PM3 is: "Moderate Strength: For recessive disorders, detected in trans with a pathogenic variant." The evidence for this variant shows: no evidence of trans configuration with another PTEN pathogenic variant in a recessive context. Therefore, this criterion is not applied due to lack of recessive trans data.
PM4
PM4 (Not Applied) Strength Modified
According to VCEP guidelines, the rule for PM4 is: "Moderate Strength: Protein length changes due to in-frame indels in non-repeat regions or stop-loss variants." The evidence for this variant shows: this is a missense change, not an in-frame indel or extension. Therefore, this criterion is not applied because the variant does not alter protein length.
PM5
PM5 (Moderate)
According to VCEP guidelines, the rule for PM5 is: "Moderate Strength: Missense change at an amino acid residue where a different missense change determined to be pathogenic has been seen before, and BLOSUM62 score equal to or less than the known variant." The evidence for this variant shows: R15 has a previously established pathogenic missense change and BLOSUM62 score for R→I meets the requirement. Therefore, this criterion is applied at Moderate strength because this is a novel missense at a residue with known pathogenic variation.
PM6
PM6 (Not Applied) Strength Modified
According to VCEP guidelines, the rule for PM6 is: "Moderate Strength: Assumed de novo without confirmation of paternity/maternity." The evidence for this variant shows: there is no de novo information. Therefore, this criterion is not applied due to lack of de novo assumptions.
PP1
PP1 (Not Applied) Strength Modified
According to VCEP guidelines, the rule for PP1 is: "Supporting Strength: Co-segregation with disease in 3–4 meioses; Moderate/Strong for more." The evidence for this variant shows: no segregation data are available. Therefore, this criterion is not applied due to absence of family segregation data.
PP2
PP2 (Not Applied) Strength Modified
According to standard ACMG guidelines, the rule for PP2 is: "Supporting Strength: Missense variant in a gene with low rate of benign missense variation and missense mechanism." The evidence for this variant shows: PTEN has a moderate rate of benign missense and missense is a common mechanism but not sufficiently low benign variation. Therefore, this criterion is not applied.
PP3
PP3 (Supporting)
According to VCEP guidelines, the rule for PP3 is: "Supporting Strength: Multiple lines of computational evidence support a deleterious effect; REVEL score > 0.7." The evidence for this variant shows: REVEL score is 0.90, MetaSVM and other tools predict deleterious impact, and splicing impact is minimal. Therefore, this criterion is applied at Supporting strength because computational evidence strongly supports pathogenicity.
PP4
PP4 (Not Applied) Strength Modified
According to standard ACMG guidelines, the rule for PP4 is: "Supporting Strength: Patient’s phenotype is highly specific for disease with single genetic etiology." The evidence for this variant shows: no phenotype data provided. Therefore, this criterion is not applied due to lack of phenotype specificity.
PP5
PP5 (Not Applied) Strength Modified
According to standard ACMG guidelines, the rule for PP5 is: "Supporting Strength: Reputable source reports variant as pathogenic." The evidence for this variant shows: not found in ClinVar or other sources. Therefore, this criterion is not applied.
BA1
BA1 (Not Applied) Strength Modified
According to VCEP guidelines, the rule for BA1 is: "Stand Alone Strength: gnomAD Filtering allele frequency > 0.00056." The evidence for this variant shows: absent from gnomAD. Therefore, this criterion is not applied.
BS1
BS1 (Not Applied) Strength Modified
According to VCEP guidelines, the rule for BS1 is: "Strong Strength: Filtering allele frequency from 0.000043 to 0.00056." The evidence for this variant shows: allele frequency is 0%. Therefore, this criterion is not applied.
BS2
BS2 (Not Applied) Strength Modified
According to VCEP guidelines, the rule for BS2 is: "Strong Strength: Observed homozygous in healthy individual." The evidence for this variant shows: no homozygous observations. Therefore, this criterion is not applied.
BS3
BS3 (Not Applied) Strength Modified
According to VCEP guidelines, the rule for BS3 is: "Strong Strength: Functional studies show no damaging effect; Supporting for phosphatase activity > 0." The evidence for this variant shows: functional assays demonstrate damaging effect. Therefore, this criterion is not applied.
BS4
BS4 (Not Applied) Strength Modified
According to VCEP guidelines, the rule for BS4 is: "Strong Strength: Lack of segregation in two or more families; Supporting for one family." The evidence for this variant shows: no segregation data. Therefore, this criterion is not applied.
BP1
BP1 (Not Applied) Strength Modified
According to standard ACMG guidelines, the rule for BP1 is: "Supporting Strength: Missense variant in a gene where only truncating variants cause disease." The evidence for this variant shows: missense variants in PTEN are a known mechanism of disease. Therefore, this criterion is not applied.
BP2
BP2 (Not Applied) Strength Modified
According to VCEP guidelines, the rule for BP2 is: "Supporting Strength: Observed in trans with a pathogenic variant or multiple cis observations." The evidence for this variant shows: no such observations. Therefore, this criterion is not applied.
BP3
BP3 (Not Applied) Strength Modified
According to standard ACMG guidelines, the rule for BP3 is: "Supporting Strength: In-frame indels in repetitive regions." The evidence for this variant shows: this is a missense change. Therefore, this criterion is not applied.
BP4
BP4 (Not Applied) Strength Modified
According to VCEP guidelines, the rule for BP4 is: "Supporting Strength: Multiple lines of computational evidence suggest no impact; REVEL < 0.5." The evidence for this variant shows: REVEL is 0.90. Therefore, this criterion is not applied.
BP5
BP5 (Not Applied) Strength Modified
According to standard ACMG guidelines, the rule for BP5 is: "Supporting Strength: Variant found in case with alternate molecular basis for disease." The evidence for this variant shows: no alternate molecular basis reported. Therefore, this criterion is not applied.
BP6
BP6 (Not Applied) Strength Modified
According to standard ACMG guidelines, the rule for BP6 is: "Supporting Strength: Reputable source reports variant as benign." The evidence for this variant shows: no such reports. Therefore, this criterion is not applied.
BP7
BP7 (Not Applied) Strength Modified
According to VCEP guidelines, the rule for BP7 is: "Supporting Strength: Synonymous or intronic variant with no splicing impact." The evidence for this variant shows: it is a missense change. Therefore, this criterion is not applied.