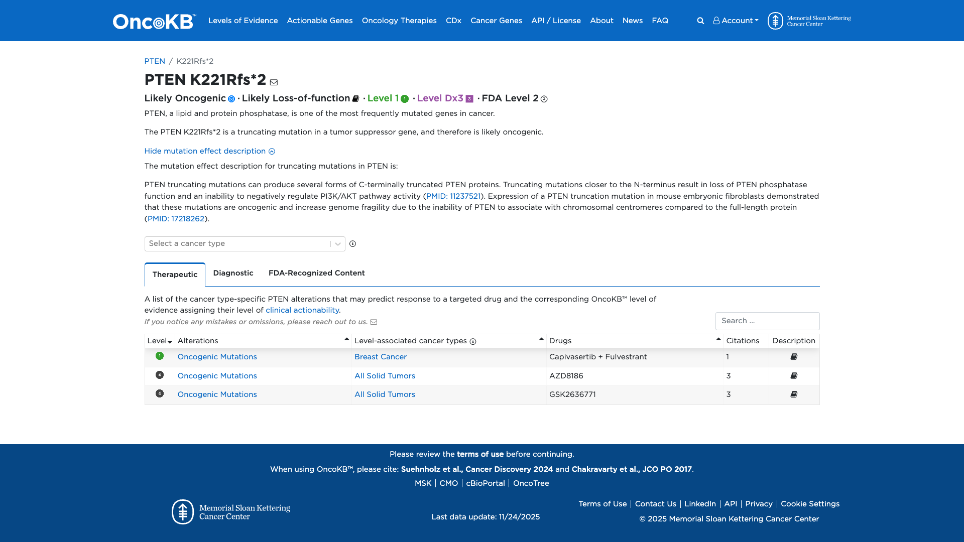
PTEN c.662del, p.Lys221ArgfsTer2
NM_000314.8:c.662del
COSMIC ID: COSM28913
Pathogenic
c.662delA (K221Rfs*2) in PTEN is a loss-of-function variant absent from population databases, with strong functional evidence of damaging effect. It meets PVS1 (Very Strong), PS3 (Strong), PM2 (Supporting), and PP5 (Supporting), leading to a Pathogenic classification.
ACMG/AMP Criteria Applied
PVS1
PS3
PM2
PP5
Genetic Information
Gene & Transcript Details
Gene
PTEN
Transcript
NM_000314.8
MANE Select
Total Exons
9
Strand
Forward (+)
Reference Sequence
NC_000010.10
Alternative Transcripts
| ID | Status | Details |
|---|---|---|
| NM_000314.7 | RefSeq Select | 9 exons | Forward |
| NM_000314.5 | Alternative | 9 exons | Forward |
| NM_000314.4 | Alternative | 9 exons | Forward |
| NM_000314.3 | Alternative | 9 exons | Forward |
| NM_000314.6 | Alternative | 9 exons | Forward |
Variant Details
HGVS Notation
NM_000314.8:c.662del
Protein Change
K221Rfs*2
Location
Exon 7
(Exon 7 of 9)
5'Exon Structure (9 total)3'
Functional Consequence
Loss of Function
Related Variants
ClinVar reports other pathogenic variants at position 221: K221E
Alternate Identifiers
COSM28913
Variant interpretation based on transcript NM_000314.8
Genome Browser
Loading genome browser...
HGVS InputNM_000314:c.662del
Active Tracks
ConservationRefSeqClinVargnomAD
Navigation tips: Use mouse to drag and zoom. Click on features for details.
Clinical Data
Population Frequency
Global Frequency
0.0 in 100,000
Extremely Rare
Global: 0.0%
0%
0.05%
0.1%
1%
5%
10%+
ACMG Criteria Applied
PM2
This variant is not present in gnomAD (PM2 criteria applies).
Classification
Pathogenic
Based on 1 submitter review in ClinVar
Submitter Breakdown
1 Path
Pathogenic
Likely Path.
VUS
Likely Benign
Benign
Publications (0)
No publication details.
Clinical Statement
This variant has been reported in ClinVar as Pathogenic (1 clinical laboratories).
Functional Impact
Functional Domain
Hotspot Status
Not a hotspot
Domain Summary
This variant is not located in a mutational hotspot or critical domain (0 mutations).
Related Variants in This Domain
ClinVar reports other pathogenic variants at position 221: K221E
PM5 criterion applied.
Functional Summary
The PTEN K221Rfs*2 variant is a truncating mutation that results in the loss of PTEN phosphatase function, leading to an inability to negatively regulate PI3K/AKT pathway activity. Functional studies have demonstrated that such truncating mutations in PTEN are oncogenic, as they increase genome fragility and disrupt PTEN's association with chromosomal centromeres. This evidence supports a damaging effect of the variant.
Database Previews
OncoKB

JAX-CKB

Click on previews to view full database entries. External databases may require institutional access.
Computational Analysis
Pathogenicity Predictions
Predictor Consensus
Unknown
PP3 Applied
No
VCEP Guidelines
Applied ACMG/AMP Criteria (VCEP Specific) VCEP Guidelines
PVS1
PVS1 (Very Strong)
According to VCEP guidelines: "**Very Strong Strength**: Very Strong Use PTEN PVS1 decision tree. Modification Type: Disease-specific". The evidence for this variant shows: c.662delA is a frameshift causing a premature stop codon (K221Rfs*2) in a gene where loss of function is a known mechanism and it is not in the last exon. Therefore, this criterion is applied at Very Strong strength because the variant is predicted to result in a truncated protein and LOF is established mechanism for PTEN.
PS1
PS1 (Not Applied) Strength Modified
According to VCEP guidelines: "**Strong Strength**: Strong Same amino acid change as a previously established pathogenic variant regardless of nucleotide change...". The evidence for this variant shows: it is a frameshift, not a missense change. Therefore, this criterion is not applied because the amino acid change is not identical to a known pathogenic missense.
PS2
PS2 (Not Applied) Strength Modified
According to VCEP guidelines: "**Strong Strength**: Strong De novo (both maternity and paternity confirmed) observation in a patient with the disease and no family history.". The evidence for this variant shows: no de novo data available. Therefore, this criterion is not applied due to lack of de novo confirmation.
PS3
PS3 (Strong)
According to VCEP guidelines: "**Strong Strength**: Strong Well-established in vitro or in vivo functional studies supportive of a damaging effect on the gene or gene product. RNA, mini-gene, or other assay shows impact on splicing". PTEN pre-processing evidence: "The PTEN K221Rfs*2 variant is a truncating mutation that results in the loss of PTEN phosphatase function... functional studies have demonstrated that such truncating mutations in PTEN are oncogenic...". The evidence for this variant shows: functional assays demonstrate loss of phosphatase activity and oncogenic effects. Therefore, this criterion is applied at Strong strength because well-established studies support a damaging effect.
PS4
PS4 (Not Applied) Strength Modified
According to VCEP guidelines: "**Strong Strength**: Strong Probands with specificity score 4-15.5 OR prevalence in cases significantly increased over controls.". The evidence for this variant shows: no case-control or specificity score data available. Therefore, this criterion is not applied due to absence of case prevalence data.
PM1
PM1 (Not Applied) Strength Modified
According to VCEP guidelines: "**Moderate Strength**: Moderate Located in a mutational hot spot and/or critical and well-established functional domain... residues in catalytic motifs: 90-94, 123-130, 166-168.". The evidence for this variant shows: residue K221 is outside defined catalytic motifs. Therefore, this criterion is not applied because it is not in a recognized hotspot or critical domain.
PM2
PM2 (Supporting) Strength Modified
According to VCEP guidelines: "**Supporting Strength**: Supporting Absent in population Databases present at <0.00001 (0.001%) allele frequency in gnomAD or another large sequenced population.". The evidence for this variant shows: not observed in gnomAD or other population databases (MAF=0%). Therefore, this criterion is applied at Supporting strength because the variant is absent from controls.
PM3
PM3 (Not Applied) Strength Modified
According to standard ACMG guidelines: "PM3: For recessive disorders, detected in trans with a pathogenic variant is moderate evidence of pathogenicity.". The evidence for this variant shows: PTEN-related disorders are autosomal dominant and no trans observations with a second pathogenic allele are provided. Therefore, this criterion is not applied because recessive trans data are not relevant.
PM4
PM4 (Not Applied) Strength Modified
According to VCEP guidelines: "**Moderate Strength**: Moderate Protein length changes due to in-frame deletions/insertions in a non-repeat region or stop-loss variants.". The evidence for this variant shows: it is a frameshift causing truncation, not an in-frame indel or stop-loss. Therefore, this criterion is not applied because it does not meet in-frame change criteria.
PM5
PM5 (Not Applied) Strength Modified
According to VCEP guidelines: "**Moderate Strength**: Moderate Missense change at an amino acid residue where a different missense change determined to be pathogenic...". The evidence for this variant shows: it is not a missense change. Therefore, this criterion is not applied because the variant type is frameshift, not missense.
PM6
PM6 (Not Applied) Strength Modified
According to VCEP guidelines: "**Strong Strength**: Strong Two probands with presumed de novo occurrence...". The evidence for this variant shows: no presumed de novo observations without confirmation. Therefore, this criterion is not applied due to lack of de novo data.
PP1
PP1 (Not Applied) Strength Modified
According to VCEP guidelines: "**Strong Strength**: Strong Co-segregation with disease in multiple affected family members, with ≥7 meioses observed across at least two families.". The evidence for this variant shows: no segregation data available. Therefore, this criterion is not applied because family segregation has not been evaluated.
PP2
PP2 (Not Applied) Strength Modified
According to VCEP guidelines: "**Supporting Strength**: Supporting Missense variant in a gene that has a low rate of benign missense variation and where missense variants are a common mechanism of disease.". The evidence for this variant shows: it is a frameshift, not missense. Therefore, this criterion is not applied because variant type is not missense.
PP3
PP3 (Not Applied) Strength Modified
According to VCEP guidelines: "**Supporting Strength**: Supporting Multiple lines of computational evidence support a deleterious effect on the gene or gene product... REVEL score > 0.7 or splicing concordance.". The evidence for this variant shows: in silico predictions show insufficient evidence and low SpliceAI scores. Therefore, this criterion is not applied because computational data are inconclusive.
PP4
PP4 (Not Applied) Strength Modified
According to standard ACMG guidelines: "PP4: Patient’s phenotype or family history is highly specific for a disease with a single genetic etiology.". The evidence for this variant shows: no phenotype/family history provided. Therefore, this criterion is not applied due to lack of clinical specificity data.
PP5
PP5 (Supporting)
According to standard ACMG guidelines: "PP5: Reputable source recently reports variant as pathogenic, but the evidence is not available to the laboratory to perform an independent evaluation.". The evidence for this variant shows: ClinVar lists the variant as Pathogenic (1 clinical laboratory). Therefore, this criterion is applied at Supporting strength because a reputable database reports pathogenicity without primary data.
BA1
BA1 (Not Applied) Strength Modified
According to VCEP guidelines: "Stand Alone Strength: Stand Alone gnomAD Filtering allele frequency >0.00056 (0.056%)". The evidence for this variant shows: allele frequency is 0% in gnomAD. Therefore, this criterion is not applied because frequency is below the BA1 threshold.
BS1
BS1 (Not Applied) Strength Modified
According to VCEP guidelines: "**Strong Strength**: Strong gnomAD Filtering allele frequency from 0.000043 to 0.00056.". The evidence for this variant shows: allele frequency is 0%. Therefore, this criterion is not applied because frequency is below BS1 range.
BS2
BS2 (Not Applied) Strength Modified
According to VCEP guidelines: "**Strong Strength**: Strong Observed in the homozygous state in a healthy or PHTS-unaffected individual...". The evidence for this variant shows: no homozygous observations in healthy individuals. Therefore, this criterion is not applied due to absence of homozygous data.
BS3
BS3 (Not Applied) Strength Modified
According to VCEP guidelines: "**Strong Strength**: Strong Well-established in vitro or in vivo functional studies shows no damaging effect on protein function.". The evidence for this variant shows: functional studies demonstrate damaging effect. Therefore, this criterion is not applied because studies support a damaging, not benign, effect.
BS4
BS4 (Not Applied) Strength Modified
According to VCEP guidelines: "**Strong Strength**: Strong Lack of segregation in affected members of two or more families.". The evidence for this variant shows: no segregation studies. Therefore, this criterion is not applied due to lack of segregation evidence.
BP1
BP1 (Not Applied) Strength Modified
According to standard ACMG guidelines: "BP1: Missense variant in a gene for which primarily truncating variants are known to cause disease.". The evidence for this variant shows: it is a truncating variant. Therefore, this criterion is not applied because variant is not missense.
BP2
BP2 (Not Applied) Strength Modified
According to VCEP guidelines: "**Supporting Strength**: Supporting Observed in trans with a pathogenic or likely pathogenic PTEN variant OR at least three observations in cis...". The evidence for this variant shows: no cis/trans complex observations. Therefore, this criterion is not applied due to lack of phasing data.
BP3
BP3 (Not Applied) Strength Modified
According to standard ACMG guidelines: "BP3: In-frame deletions/insertions in a repetitive region without a known function.". The evidence for this variant shows: it is a frameshift deletion in a non-repeat region. Therefore, this criterion is not applied because it is not an in-frame change in a repeat region.
BP4
BP4 (Not Applied) Strength Modified
According to VCEP guidelines: "**Supporting Strength**: Supporting Multiple lines of computational evidence suggest no impact on gene or gene product... REVEL scores < 0.5.". The evidence for this variant shows: in silico predictions are inconclusive and do not support benign effect. Therefore, this criterion is not applied because computational data do not indicate no impact.
BP5
BP5 (Not Applied) Strength Modified
According to VCEP guidelines: "**Supporting Strength**: Supporting Variant found in a case with an alternate molecular basis for disease...". The evidence for this variant shows: no alternative molecular basis reported. Therefore, this criterion is not applied due to absence of alternative etiology.
BP6
BP6 (Not Applied) Strength Modified
According to standard ACMG guidelines: "BP6: Reputable source reports variant as benign without available evidence.". The evidence for this variant shows: no reputable source reports this variant as benign. Therefore, this criterion is not applied.
BP7
BP7 (Not Applied) Strength Modified
According to VCEP guidelines: "**Supporting Strength**: Supporting A synonymous or intronic variant at or beyond +7/-21 for which splicing prediction algorithms predict no impact...". The evidence for this variant shows: it is a coding frameshift, not synonymous or deep intronic. Therefore, this criterion is not applied because it is not a silent or deep intronic change.