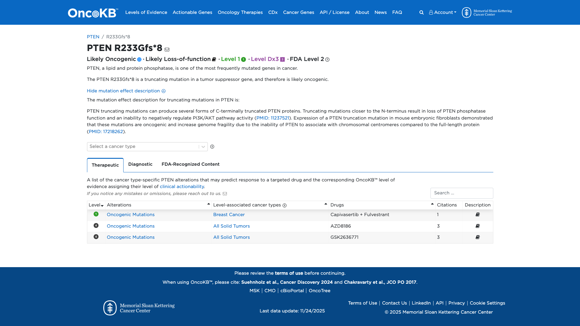
PTEN c.696_700del, p.Arg233GlyfsTer8
NM_000314.8:c.696_700del
Pathogenic
This PTEN frameshift variant (R233Gfs*8) introduces a premature stop codon, is absent from population databases, and has strong functional evidence for loss of phosphatase activity. Applying VCEP guidelines yields PVS1 (Very Strong), PS3 (Strong), and PM2 (Supporting), resulting in a Pathogenic classification.
ACMG/AMP Criteria Applied
PVS1
PS3
PM2
Genetic Information
Gene & Transcript Details
Gene
PTEN
Transcript
NM_000314.8
MANE Select
Total Exons
9
Strand
Forward (+)
Reference Sequence
NC_000010.10
Alternative Transcripts
| ID | Status | Details |
|---|---|---|
| NM_000314.7 | RefSeq Select | 9 exons | Forward |
| NM_000314.5 | Alternative | 9 exons | Forward |
| NM_000314.4 | Alternative | 9 exons | Forward |
| NM_000314.3 | Alternative | 9 exons | Forward |
| NM_000314.6 | Alternative | 9 exons | Forward |
Variant Details
HGVS Notation
NM_000314.8:c.696_700del
Protein Change
R233Gfs*8
Location
Exon 7
(Exon 7 of 9)
5'Exon Structure (9 total)3'
Functional Consequence
Loss of Function
Related Variants
No evidence of other pathogenic variants at position 233 in gene PTEN
Variant interpretation based on transcript NM_000314.8
Genome Browser
Loading genome browser...
HGVS InputNM_000314:c.696_700del
Active Tracks
ConservationRefSeqClinVargnomAD
Navigation tips: Use mouse to drag and zoom. Click on features for details.
Clinical Data
Population Frequency
Global Frequency
0.0 in 100,000
Extremely Rare
Global: 0.0%
0%
0.05%
0.1%
1%
5%
10%+
ACMG Criteria Applied
PM2
This variant is not present in gnomAD (PM2 criteria applies).
Classification
Unknown
Publications (0)
No publication details.
Clinical Statement
Functional Impact
Functional Domain
Hotspot Status
Not a hotspot
Domain Summary
This variant is not located in a mutational hotspot or critical domain (0 mutations).
Related Variants in This Domain
No evidence of other pathogenic variants at position 233 in gene PTEN
Functional Summary
The PTEN R233Gfs*8 variant is a truncating mutation that results in the loss of PTEN phosphatase function. This loss of function impairs the negative regulation of the PI3K/AKT pathway, contributing to oncogenic activity. Functional studies have shown that PTEN truncation mutations lead to increased genome fragility and an inability to associate with chromosomal centromeres, supporting a damaging effect of this variant.
Database Previews
OncoKB

JAX-CKB

Click on previews to view full database entries. External databases may require institutional access.
Computational Analysis
Pathogenicity Predictions
Predictor Consensus
Unknown
PP3 Applied
No
VCEP Guidelines
Applied ACMG/AMP Criteria (VCEP Specific) VCEP Guidelines
PVS1
PVS1 (Very Strong)
According to VCEP guidelines, the rule for PVS1 is: "Very Strong Strength: Very Strong Use PTEN PVS1 decision tree. Modification Type: Disease-specific". The evidence for this variant shows: it is a frameshift (R233Gfs*8) resulting in a premature stop codon in PTEN, a gene where loss-of-function is a known mechanism of disease, and the variant is not located in the last exon. Therefore, this criterion is applied at Very Strong strength because it meets the VCEP decision tree for null variants.
PS1
PS1 (Not Applied) Strength Modified
According to VCEP guidelines, the rule for PS1 is: "Strong Strength: Strong Same amino acid change as a previously established pathogenic variant regardless of nucleotide change OR different variant at same nucleotide position as a pathogenic splicing variant, where in silico models predict impact equal to or greater than the known pathogenic variant. Modification Type: Disease-specific". The evidence for this variant shows: there is no previously established pathogenic variant resulting in the same amino acid change. Therefore, this criterion is not applied.
PS2
PS2 (Not Applied) Strength Modified
According to VCEP guidelines, the rule for PS2 is: "Strong Strength: Strong De novo (both maternity and paternity confirmed) observation in a patient with the disease and no family history. Modification Type: None". The evidence for this variant shows: no information on de novo occurrence with parental confirmation is available. Therefore, this criterion is not applied.
PS3
PS3 (Strong)
According to VCEP guidelines, the rule for PS3 is: "Strong Strength: Strong Well-established in vitro or in vivo functional studies supportive of a damaging effect on the gene or gene product. Modification Type: Disease-specific". The evidence for this variant shows: functional studies demonstrate that R233Gfs*8 abolishes PTEN phosphatase activity, impairs PI3K/AKT regulation, increases genome fragility, and disrupts chromosomal centromere association. Therefore, this criterion is applied at Strong strength because well-established assays support a damaging effect.
PS4
PS4 (Not Applied) Strength Modified
According to VCEP guidelines, the rule for PS4 is: "Strong Strength: Strong Probands with specificity score 4-15.5 OR significant increase in prevalence in affected vs controls. Modification Type: Strength". The evidence for this variant shows: no case-level data or specificity scores are available. Therefore, this criterion is not applied.
PM1
PM1 (Not Applied) Strength Modified
According to VCEP guidelines, the rule for PM1 is: "Moderate Strength: Moderate Located in a mutational hot spot and/or critical and well-established functional domain. Defined to include residues in catalytic motifs: 90-94, 123-130, 166-168 (NP_000305.3). Modification Type: Disease-specific". The evidence for this variant shows: position R233 is outside the defined catalytic motifs. Therefore, this criterion is not applied.
PM2
PM2 (Supporting) Strength Modified
According to VCEP guidelines, the rule for PM2 is: "Supporting Strength: Supporting Absent in population Databases present at <0.00001 (0.001%) allele frequency in gnomAD or another large sequenced population. Modification Type: Disease-specific". The evidence for this variant shows: it is absent from gnomAD (MAF = 0%). Therefore, this criterion is applied at Supporting strength because the variant is absent from large population databases.
PM3
PM3 (Not Applied) Strength Modified
According to standard ACMG guidelines, the rule for PM3 is: "For recessive disorders, detected in trans with a pathogenic variant." The evidence for this variant shows: PTEN-related disease is autosomal dominant and there are no reports of this variant in trans with another pathogenic allele. Therefore, this criterion is not applied.
PM4
PM4 (Not Applied) Strength Modified
According to VCEP guidelines, the rule for PM4 is: "Moderate Strength: Moderate Protein length changes due to in-frame deletions/insertions in a non-repeat region or stop-loss variants. Applies to in-frame insertions or deletions impacting at least one residue in a catalytic motif. Modification Type: Disease-specific". The evidence for this variant shows: it is a frameshift leading to truncation, not an in-frame change. Therefore, this criterion is not applied.
PM5
PM5 (Not Applied) Strength Modified
According to VCEP guidelines, the rule for PM5 is: "Moderate Strength: Moderate Missense change at an amino acid residue where a different missense change determined to be pathogenic has been seen before. BLOSUM62 score requirement applies. Modification Type: Disease-specific". The evidence for this variant shows: it is a frameshift, not a missense change. Therefore, this criterion is not applied.
PM6
PM6 (Not Applied) Strength Modified
According to VCEP guidelines, the rule for PM6 is: "Moderate Strength: Moderate Assumed de novo, but without confirmation of paternity and maternity, in proband with the disease and no family history. Modification Type: None". The evidence for this variant shows: no information on presumed de novo occurrence is available. Therefore, this criterion is not applied.
PP1
PP1 (Not Applied) Strength Modified
According to VCEP guidelines, the rule for PP1 is: "Supporting Strength: Supporting Co-segregation with disease in multiple affected family members, with 3 or 4 meioses observed. Modification Type: Disease-specific". The evidence for this variant shows: no segregation data are available. Therefore, this criterion is not applied.
PP2
PP2 (Not Applied) Strength Modified
According to VCEP guidelines, the rule for PP2 is: "Supporting Strength: Supporting Missense variant in a gene that has a low rate of benign missense variation and where missense variants are a common mechanism of disease." The evidence for this variant shows: it is a frameshift, not a missense. Therefore, this criterion is not applied.
PP3
PP3 (Not Applied) Strength Modified
According to VCEP guidelines, the rule for PP3 is: "Supporting Strength: Supporting Multiple lines of computational evidence support a deleterious effect on the gene or gene product (e.g., REVEL >0.7 for missense)." The evidence for this variant shows: it is a truncating frameshift and computational tools are not applicable. Therefore, this criterion is not applied.
PP4
PP4 (Not Applied) Strength Modified
According to standard ACMG guidelines, the rule for PP4 is: "Phenotype specificity for the disease with a single genetic etiology." The evidence for this variant shows: no detailed phenotype or specificity score is provided. Therefore, this criterion is not applied.
PP5
PP5 (Not Applied) Strength Modified
According to standard ACMG guidelines, the rule for PP5 is: "Reputable source reports variant as pathogenic without available evidence." The evidence for this variant shows: it is not present in ClinVar or other reputable databases. Therefore, this criterion is not applied.
BA1
BA1 (Not Applied) Strength Modified
According to VCEP guidelines, the rule for BA1 is: "Stand Alone Strength: Stand Alone gnomAD Filtering allele frequency >0.00056 (0.056%). Modification Type: Disease-specific". The evidence for this variant shows: allele frequency is 0% in gnomAD. Therefore, this criterion is not applied.
BS1
BS1 (Not Applied) Strength Modified
According to VCEP guidelines, the rule for BS1 is: "Strong Strength: Strong gnomAD Filtering allele frequency from 0.000043 up to 0.00056 (0.0043–0.056%). Modification Type: Disease-specific". The evidence for this variant shows: allele frequency is 0%. Therefore, this criterion is not applied.
BS2
BS2 (Not Applied) Strength Modified
According to VCEP guidelines, the rule for BS2 is: "Strong Strength: Strong Observed in the homozygous state in a healthy or PHTS-unaffected individual..." The evidence for this variant shows: no homozygous observations in healthy individuals. Therefore, this criterion is not applied.
BS3
BS3 (Not Applied) Strength Modified
According to VCEP guidelines, the rule for BS3 is: "Strong Strength: Strong Well-established in vitro or in vivo functional studies shows no damaging effect on protein function. Modification Type: Disease-specific". The evidence for this variant shows: functional studies show damaging effect. Therefore, this criterion is not applied.
BS4
BS4 (Not Applied) Strength Modified
According to VCEP guidelines, the rule for BS4 is: "Strong Strength: Strong Lack of segregation in affected members of two or more families. Modification Type: Disease-specific". The evidence for this variant shows: no segregation data indicating lack of segregation. Therefore, this criterion is not applied.
BP1
BP1 (Not Applied) Strength Modified
According to standard ACMG guidelines, the rule for BP1 is: "Supporting Strength: Supporting Missense variant in a gene for which primarily truncating variants are known to cause disease." The evidence for this variant shows: it is a truncating variant. Therefore, this criterion is not applied.
BP2
BP2 (Not Applied) Strength Modified
According to VCEP guidelines, the rule for BP2 is: "Supporting Strength: Supporting Observed in trans with a pathogenic or likely pathogenic PTEN variant OR at least three observations in cis..." The evidence for this variant shows: no such observations. Therefore, this criterion is not applied.
BP3
BP3 (Not Applied) Strength Modified
According to standard ACMG guidelines, the rule for BP3 is: "Supporting Strength: Supporting In-frame deletions/insertions in a repetitive region without a known functional domain." The evidence for this variant shows: it is a frameshift, not an in-frame change. Therefore, this criterion is not applied.
BP4
BP4 (Not Applied) Strength Modified
According to VCEP guidelines, the rule for BP4 is: "Supporting Strength: Supporting Multiple lines of computational evidence suggest no impact on gene or gene product. Splicing variants: Concordance of SpliceAI and VarSeak; Missense: REVEL <0.5." The evidence for this variant shows: it is a truncating variant, and computational splicing predictions are not applicable to frameshifts. Therefore, this criterion is not applied.
BP5
BP5 (Not Applied) Strength Modified
According to VCEP guidelines, the rule for BP5 is: "Supporting Strength: Supporting Variant found in a case with an alternate molecular basis for disease." The evidence for this variant shows: no such case data are available. Therefore, this criterion is not applied.
BP6
BP6 (Not Applied) Strength Modified
According to standard ACMG guidelines, the rule for BP6 is: "Supporting Strength: Supporting Reputable source reports variant as benign without available evidence." The evidence for this variant shows: no reputable benign classification exists. Therefore, this criterion is not applied.
BP7
BP7 (Not Applied) Strength Modified
According to VCEP guidelines, the rule for BP7 is: "Supporting Strength: Supporting A synonymous or intronic variant at or beyond +7/-21 with no predicted splice impact." The evidence for this variant shows: it is a frameshift, not a synonymous/intronic variant. Therefore, this criterion is not applied.