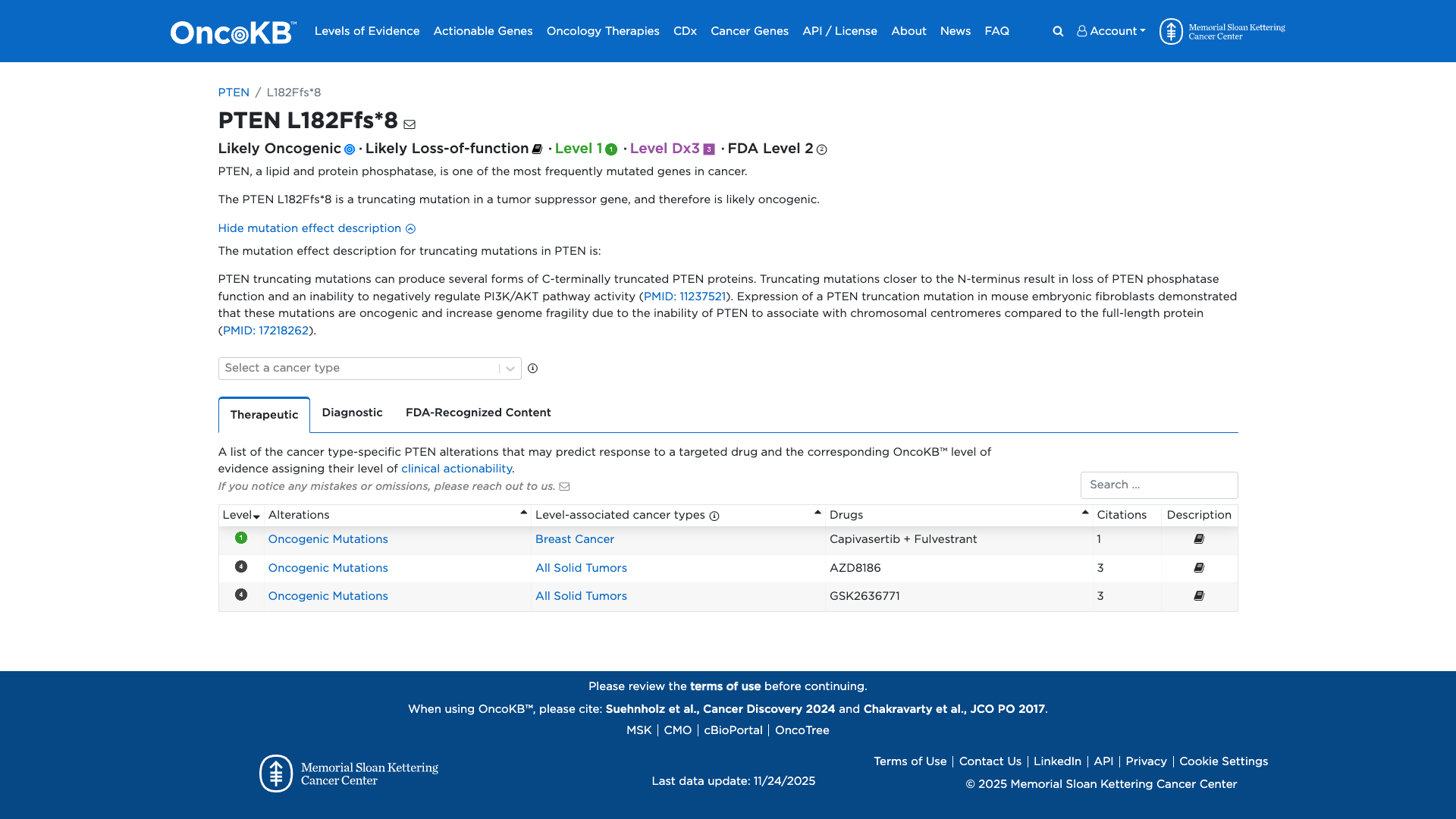
PTEN c.545dup, p.Leu182PhefsTer8
NM_000314.8:c.545dup
COSMIC ID: COSM921110
Pathogenic
The PTEN c.545dup (L182Ffs*8) variant is classified as Pathogenic based on VCEP-guided PVS1 very strong null evidence, VCEP PS3 strong functional evidence, VCEP PM2 supporting absence in population databases, and standard ACMG PP5 supporting ClinVar pathogenic report.
ACMG/AMP Criteria Applied
PVS1
PS3
PM2
PP5
Genetic Information
Gene & Transcript Details
Gene
PTEN
Transcript
NM_000314.8
MANE Select
Total Exons
9
Strand
Forward (+)
Reference Sequence
NC_000010.10
Alternative Transcripts
| ID | Status | Details |
|---|---|---|
| NM_000314.7 | RefSeq Select | 9 exons | Forward |
| NM_000314.5 | Alternative | 9 exons | Forward |
| NM_000314.4 | Alternative | 9 exons | Forward |
| NM_000314.3 | Alternative | 9 exons | Forward |
| NM_000314.6 | Alternative | 9 exons | Forward |
Variant Details
HGVS Notation
NM_000314.8:c.545dup
Protein Change
L182Ffs*8
Location
Exon 6
(Exon 6 of 9)
5'Exon Structure (9 total)3'
Functional Consequence
Loss of Function
Related Variants
No evidence of other pathogenic variants at position 182 in gene PTEN
Alternate Identifiers
COSM921110
Variant interpretation based on transcript NM_000314.8
Genome Browser
Loading genome browser...
HGVS InputNM_000314:c.545dup
Active Tracks
ConservationRefSeqClinVargnomAD
Navigation tips: Use mouse to drag and zoom. Click on features for details.
Clinical Data
Population Frequency
Global Frequency
0.0 in 100,000
Extremely Rare
Global: 0.0%
0%
0.05%
0.1%
1%
5%
10%+
ACMG Criteria Applied
PM2
This variant is not present in gnomAD (PM2 criteria applies).
Classification
1 publications
Pathogenic
Based on 1 submitter review in ClinVar
Submitter Breakdown
1 Path
Pathogenic
Likely Path.
VUS
Likely Benign
Benign
Publications (1)
For these reasons, this variant has been classified as Pathogenic. While this particular variant has not been reported in the literature, truncating variants in PTEN are known to be pathogenic (PMID: 9467011, 21194675). This sequence change inserts 1 nucleotide in exon 6 of the PTEN mRNA (c.545dupT), causing a frameshift at codon 182. This creates a premature translational stop signal (p.Leu182Phefs*8) and is expected to result in an absent or disrupted protein product.
Clinical Statement
This variant has been reported in ClinVar as Pathogenic (1 clinical laboratories).
Functional Impact
Functional Domain
Hotspot Status
Not a hotspot
Domain Summary
This variant is not located in a mutational hotspot or critical domain (0 mutations).
Related Variants in This Domain
No evidence of other pathogenic variants at position 182 in gene PTEN
Functional Summary
The PTEN L182Ffs*8 variant is a truncating mutation that results in loss of PTEN phosphatase function, leading to an inability to negatively regulate PI3K/AKT pathway activity. Functional studies have demonstrated that such truncating mutations are oncogenic, increasing genome fragility and impairing PTEN's association with chromosomal centromeres. This evidence supports a damaging effect of the variant.
Database Previews
OncoKB

JAX-CKB

Click on previews to view full database entries. External databases may require institutional access.
Computational Analysis
Pathogenicity Predictions
Predictor Consensus
Unknown
PP3 Applied
No
VCEP Guidelines
Applied ACMG/AMP Criteria (VCEP Specific) VCEP Guidelines
PVS1
PVS1 (Very Strong)
According to VCEP guidelines, the rule for PVS1 is: "Very Strong Use PTEN PVS1 decision tree." The evidence for this variant shows: a frameshift c.545dup (L182Ffs*8) leading to a premature stop in PTEN, a gene where loss-of-function is a known disease mechanism, and it is not in the last exon. Therefore, this criterion is applied at Very Strong because the variant is a null variant in a LOF gene, as per VCEP PVS1.
PS1
PS1 (Not Applied) Strength Modified
According to VCEP guidelines, the rule for PS1 is: "Strong Same amino acid change as a previously established pathogenic variant regardless of nucleotide change..." The evidence for this variant shows: it is a frameshift, not a missense change matching any known pathogenic variant. Therefore, this criterion is not applied.
PS2
PS2 (Not Applied) Strength Modified
According to VCEP guidelines, the rule for PS2 is: "Very Strong Two proven OR four assumed OR one proven + two assumed de novo observations..." The evidence for this variant shows: no de novo occurrence data are available. Therefore, this criterion is not applied.
PS3
PS3 (Strong)
According to VCEP guidelines, the rule for PS3 is: "Strong Well-established in vitro or in vivo functional studies supportive of a damaging effect on the gene or gene product." The evidence for this variant shows: functional studies demonstrate loss of PTEN phosphatase activity and oncogenic effects for L182Ffs*8. Therefore, this criterion is applied at Strong because these well-established functional studies support a damaging effect.
PS4
PS4 (Not Applied) Strength Modified
According to VCEP guidelines, the rule for PS4 is: "Strong Probands with specificity score 4-15.5 OR increased prevalence in cases vs controls..." The evidence for this variant shows: no case-control or proband count data. Therefore, this criterion is not applied.
PM1
PM1 (Not Applied) Strength Modified
According to VCEP guidelines, the rule for PM1 is: "Moderate Located in a mutational hot spot and/or critical and well-established functional domain: residues 90-94, 123-130, 166-168." The evidence for this variant shows: position 182 is outside these critical motifs. Therefore, this criterion is not applied.
PM2
PM2 (Supporting) Strength Modified
According to VCEP guidelines, the rule for PM2 is: "Supporting Absent in population databases present at <0.00001 allele frequency." The evidence for this variant shows: c.545dup is not found in gnomAD or other large databases. Therefore, this criterion is applied at Supporting because the variant is absent in population databases.
PM3
PM3 (Not Applied) Strength Modified
According to standard ACMG guidelines, the rule for PM3 is: "Moderate For recessive disorders, detected in trans with a pathogenic variant..." The evidence for this variant shows: no allelic phase data with another PTEN variant. Therefore, this criterion is not applied.
PM4
PM4 (Not Applied) Strength Modified
According to VCEP guidelines, the rule for PM4 is: "Moderate Protein length changes due to in-frame deletions/insertions..." The evidence for this variant shows: it is a frameshift, not an in-frame indel. Therefore, this criterion is not applied.
PM5
PM5 (Not Applied) Strength Modified
According to VCEP guidelines, the rule for PM5 is: "Moderate Missense change at an amino acid residue where a different missense change determined to be pathogenic has been seen before..." The evidence for this variant shows: it is a frameshift, not a missense change. Therefore, this criterion is not applied.
PM6
PM6 (Not Applied) Strength Modified
According to VCEP guidelines, the rule for PM6 is: "Very Strong Two proven OR four assumed OR one proven + two assumed de novo observations..." The evidence for this variant shows: no presumed de novo data. Therefore, this criterion is not applied.
PP1
PP1 (Not Applied) Strength Modified
According to VCEP guidelines, the rule for PP1 is: "Supporting/Moderate/Strong Co-segregation with disease in family members..." The evidence for this variant shows: no segregation data are available. Therefore, this criterion is not applied.
PP2
PP2 (Not Applied) Strength Modified
According to standard ACMG guidelines, the rule for PP2 is: "Supporting Missense variant in a gene that has a low rate of benign missense variation..." The evidence for this variant shows: it is a frameshift, not missense. Therefore, this criterion is not applied.
PP3
PP3 (Not Applied) Strength Modified
According to VCEP guidelines, the rule for PP3 is: "Supporting Multiple lines of computational evidence support a deleterious effect..." The evidence for this variant shows: SpliceAI score is low and variant is a frameshift, so no additional computational support. Therefore, this criterion is not applied.
PP4
PP4 (Not Applied) Strength Modified
According to standard ACMG guidelines, the rule for PP4 is: "Supporting Phenotype specific for disease with single genetic etiology..." The evidence for this variant shows: no detailed PHTS‐specific phenotypic data provided. Therefore, this criterion is not applied.
PP5
PP5 (Supporting)
According to standard ACMG guidelines, the rule for PP5 is: "Supporting Reputable source recently reports variant as pathogenic but evidence not available for independent evaluation." The evidence for this variant shows: ClinVar lists it as Pathogenic by one clinical laboratory. Therefore, this criterion is applied at Supporting because a reputable source reports pathogenicity.
BA1
BA1 (Not Applied) Strength Modified
According to VCEP guidelines, the rule for BA1 is: "Stand Alone gnomAD Filtering allele frequency >0.00056." The evidence for this variant shows: allele frequency is 0%. Therefore, this criterion is not applied.
BS1
BS1 (Not Applied) Strength Modified
According to VCEP guidelines, the rule for BS1 is: "Strong gnomAD Filtering allele frequency 0.000043–0.00056." The evidence for this variant shows: allele frequency is 0%. Therefore, this criterion is not applied.
BS2
BS2 (Not Applied) Strength Modified
According to VCEP guidelines, the rule for BS2 is: "Strong Observed in homozygous state in unaffected individuals..." The evidence for this variant shows: no homozygous observations. Therefore, this criterion is not applied.
BS3
BS3 (Not Applied) Strength Modified
According to VCEP guidelines, the rule for BS3 is: "Strong Well-established functional studies show no damaging effect..." The evidence for this variant shows: functional studies demonstrate damaging effect. Therefore, this criterion is not applied.
BS4
BS4 (Not Applied) Strength Modified
According to VCEP guidelines, the rule for BS4 is: "Strong Lack of segregation in affected members of two or more families..." The evidence for this variant shows: no segregation data. Therefore, this criterion is not applied.
BP1
BP1 (Not Applied) Strength Modified
According to standard ACMG guidelines, the rule for BP1 is: "Supporting Missense variant in a gene where only truncating variants are pathogenic..." The evidence for this variant shows: it is truncating. BP1 does not apply. Therefore, this criterion is not applied.
BP2
BP2 (Not Applied) Strength Modified
According to VCEP guidelines, the rule for BP2 is: "Supporting Observed in trans with a pathogenic PTEN variant OR in cis with multiple pathogenic variants..." The evidence for this variant shows: no phase data with other variants. Therefore, this criterion is not applied.
BP3
BP3 (Not Applied) Strength Modified
According to standard ACMG guidelines, the rule for BP3 is: "Supporting In-frame indels in a repetitive region without a known function..." The evidence for this variant shows: it is a frameshift outside repeat regions. Therefore, this criterion is not applied.
BP4
BP4 (Not Applied) Strength Modified
According to VCEP guidelines, the rule for BP4 is: "Supporting Multiple lines of computational evidence suggest no impact..." The evidence for this variant shows: SpliceAI low score but variant is truncating. Computational benign evidence is not relevant. Therefore, this criterion is not applied.
BP5
BP5 (Not Applied) Strength Modified
According to VCEP guidelines, the rule for BP5 is: "Supporting Variant found in a case with an alternate molecular basis for disease..." The evidence for this variant shows: no alternate molecular basis reported. Therefore, this criterion is not applied.
BP6
BP6 (Not Applied) Strength Modified
According to standard ACMG guidelines, the rule for BP6 is: "Supporting Reputable source reports variant as benign..." The evidence for this variant shows: ClinVar reports pathogenic, not benign. Therefore, this criterion is not applied.
BP7
BP7 (Not Applied) Strength Modified
According to VCEP guidelines, the rule for BP7 is: "Supporting Synonymous or intronic variant beyond splicing regions with no predicted impact..." The evidence for this variant shows: it is a frameshift, not synonymous or deep intronic. Therefore, this criterion is not applied.