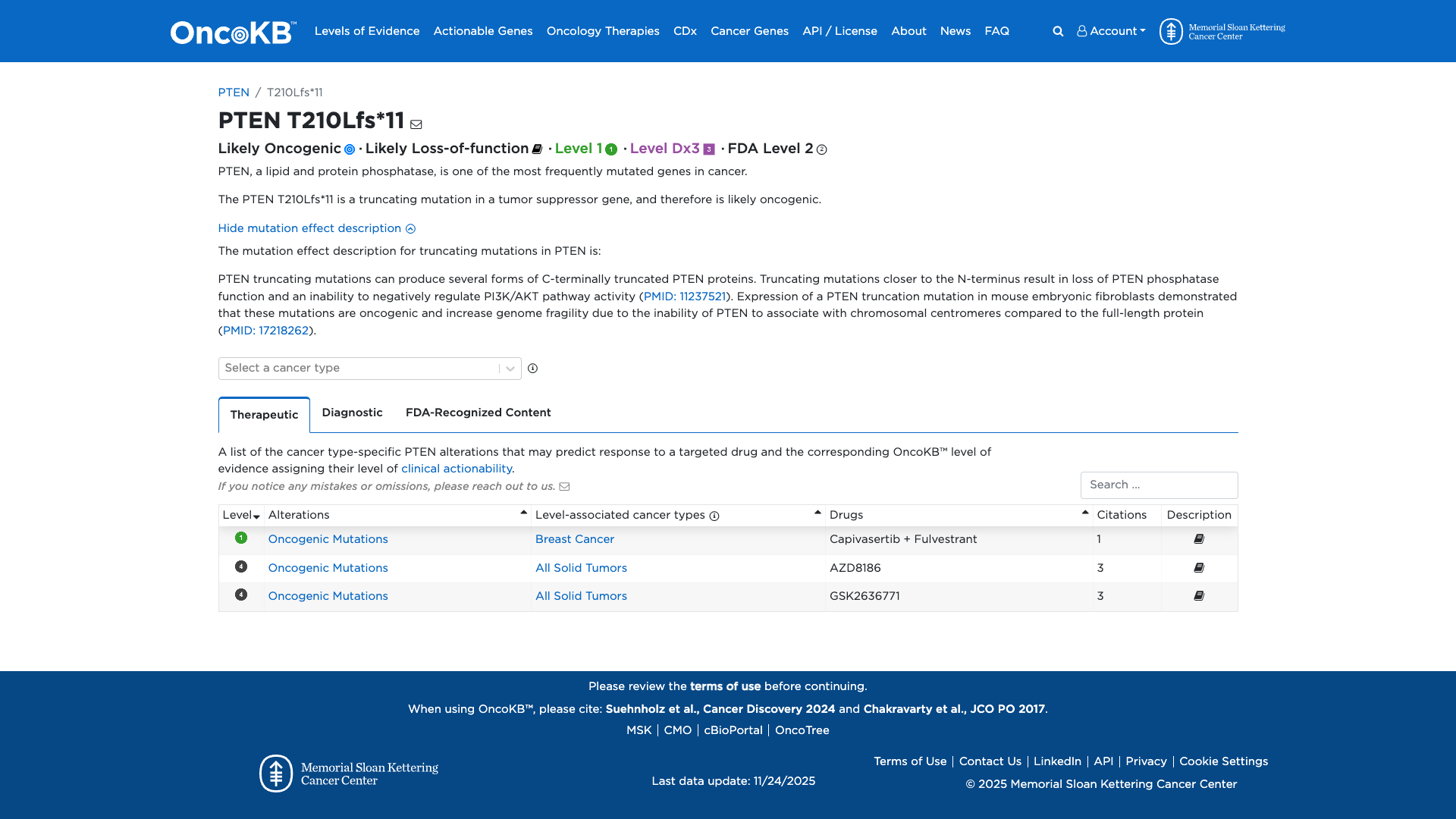
PTEN c.628del, p.Thr210LeufsTer11
NM_000314.8:c.628del
Pathogenic
c.628del (T210Lfs*11) in PTEN is a frameshift predicted to cause loss of function in a gene where LOF is established disease mechanism. Absence from population databases, functional evidence of damaging effect, and a pathogenic ClinVar report support application of PVS1, PS3, PM2 and PP5, consistent with a Pathogenic classification.
ACMG/AMP Criteria Applied
PVS1
PS3
PM2
PP5
Genetic Information
Gene & Transcript Details
Gene
PTEN
Transcript
NM_000314.8
MANE Select
Total Exons
9
Strand
Forward (+)
Reference Sequence
NC_000010.10
Alternative Transcripts
| ID | Status | Details |
|---|---|---|
| NM_000314.7 | RefSeq Select | 9 exons | Forward |
| NM_000314.5 | Alternative | 9 exons | Forward |
| NM_000314.4 | Alternative | 9 exons | Forward |
| NM_000314.3 | Alternative | 9 exons | Forward |
| NM_000314.6 | Alternative | 9 exons | Forward |
Variant Details
HGVS Notation
NM_000314.8:c.628del
Protein Change
T210Lfs*11
Location
Exon 6
(Exon 6 of 9)
5'Exon Structure (9 total)3'
Functional Consequence
Loss of Function
Related Variants
No evidence of other pathogenic variants at position 210 in gene PTEN
Variant interpretation based on transcript NM_000314.8
Genome Browser
Loading genome browser...
HGVS InputNM_000314:c.628del
Active Tracks
ConservationRefSeqClinVargnomAD
Navigation tips: Use mouse to drag and zoom. Click on features for details.
Clinical Data
Population Frequency
Global Frequency
0.0 in 100,000
Extremely Rare
Global: 0.0%
0%
0.05%
0.1%
1%
5%
10%+
ACMG Criteria Applied
PM2
This variant is not present in gnomAD (PM2 criteria applies).
Classification
1 publications
Pathogenic
Based on 1 submitter review in ClinVar
Submitter Breakdown
1 Path
Pathogenic
Likely Path.
VUS
Likely Benign
Benign
Publications (1)
For these reasons, this variant has been classified as Pathogenic. ClinVar contains an entry for this variant (Variation ID: 1073539). This variant has not been reported in the literature in individuals affected with PTEN-related conditions. This variant is not present in population databases (gnomAD no frequency). This sequence change creates a premature translational stop signal (p.Thr210Leufs*11) in the PTEN gene. It is expected to result in an absent or disrupted protein product. Loss-of-function variants in PTEN are known to be pathogenic (PMID: 9467011, 21194675).
Clinical Statement
This variant has been reported in ClinVar as Pathogenic (1 clinical laboratories).
Functional Impact
Functional Domain
Hotspot Status
Not a hotspot
Domain Summary
This variant is not located in a mutational hotspot or critical domain (0 mutations).
Related Variants in This Domain
No evidence of other pathogenic variants at position 210 in gene PTEN
Functional Summary
The PTEN T210Lfs*11 variant is a truncating mutation that results in the loss of PTEN phosphatase function. This loss of function impairs the negative regulation of the PI3K/AKT pathway, contributing to oncogenic activity. Functional studies have demonstrated that such truncating mutations lead to increased genome fragility and an inability to associate with chromosomal centromeres, supporting a damaging effect of this variant.
Database Previews
OncoKB

JAX-CKB

Click on previews to view full database entries. External databases may require institutional access.
Computational Analysis
Pathogenicity Predictions
Predictor Consensus
Unknown
PP3 Applied
No
VCEP Guidelines
Applied ACMG/AMP Criteria (VCEP Specific) VCEP Guidelines
PVS1
PVS1 (Very Strong)
According to VCEP guidelines, the rule for PVS1 is: 'Very Strong Strength: Null Variant (nonsense, fs, start codon, splicing +1/2, startgain, single or multi-exon deletion) in a gene where LOF is a known mechanism of disease.' The evidence for this variant shows: c.628del (T210Lfs*11) is a frameshift predicted to lead to loss of function in PTEN and is not in the last exon. Therefore, this criterion is applied at Very Strong strength because it meets the VCEP decision tree criteria for PVS1.
PS1
PS1 (Not Applied) Strength Modified
According to VCEP guidelines, the rule for PS1 is: 'Same amino acid change as a previously established pathogenic variant regardless of nucleotide change OR different variant at same nucleotide position as a pathogenic splicing variant.' The evidence for this variant shows: no identical amino acid change or known pathogenic splicing variant at this position. Therefore, PS1 is not applied.
PS2
PS2 (Not Applied) Strength Modified
According to VCEP guidelines, the rule for PS2 is: 'Very Strong: two proven OR four assumed OR one proven + two assumed de novo observations... Strong: de novo (maternity and paternity confirmed).' The evidence for this variant shows: no de novo occurrence data available. Therefore, PS2 is not applied.
PS3
PS3 (Strong)
According to VCEP guidelines, the rule for PS3 is: 'Strong Strength: Well-established in vitro or in vivo functional studies supportive of a damaging effect on the gene or gene product.' The evidence for this variant shows: functional studies demonstrate that PTEN truncating mutations like T210Lfs*11 abolish phosphatase activity and disrupt chromosomal interactions, supporting a damaging effect. Therefore, PS3 is applied at Strong strength.
PS4
PS4 (Not Applied) Strength Modified
According to VCEP guidelines, the rule for PS4 is: 'Strong: prevalence of the variant in affected individuals significantly increased compared with controls OR proband specificity score 4–15.5; Very Strong: specificity score ≥16.' The evidence for this variant shows: no case-control or proband specificity data provided. Therefore, PS4 is not applied.
PM1
PM1 (Not Applied) Strength Modified
According to VCEP guidelines, the rule for PM1 is: 'Moderate Strength: located in a mutational hot spot and/or critical and well-established functional domain (residues 90–94, 123–130, 166–168).' The evidence for this variant shows: position 210 is outside these established residues. Therefore, PM1 is not applied.
PM2
PM2 (Supporting) Strength Modified
According to VCEP guidelines, the rule for PM2 is: 'Supporting Strength: Absent in population Databases present at <0.00001 (0.001%) allele frequency in gnomAD.' The evidence for this variant shows: not found in gnomAD or other population databases (MAF=0%). Therefore, PM2 is applied at Supporting strength.
PM3
PM3 (Not Applied) Strength Modified
According to VCEP guidelines, the rule for PM3 is: 'Moderate Strength: observed in trans with a pathogenic variant for a recessive disorder.' The evidence for this variant shows: no trans observations with another PTEN pathogenic variant. Therefore, PM3 is not applied.
PM4
PM4 (Not Applied) Strength Modified
According to VCEP guidelines, the rule for PM4 is: 'Moderate Strength: protein length changes due to in-frame indels in non-repeat regions or stop-loss variants.' The evidence for this variant shows: it is a frameshift causing premature termination rather than an in-frame change. Therefore, PM4 is not applied.
PM5
PM5 (Not Applied) Strength Modified
According to VCEP guidelines, the rule for PM5 is: 'Moderate Strength: novel missense change at an amino acid where different missense change is pathogenic.' The evidence for this variant shows: it is not a missense change. Therefore, PM5 is not applied.
PM6
PM6 (Not Applied) Strength Modified
According to VCEP guidelines, the rule for PM6 is: 'Very Strong/Strong/Moderate Strength based on assumed de novo without confirmation.' The evidence for this variant shows: no de novo occurrence data. Therefore, PM6 is not applied.
PP1
PP1 (Not Applied) Strength Modified
According to VCEP guidelines, the rule for PP1 is: 'Supporting/Moderate/Strong Strength based on co-segregation in affected family members.' The evidence for this variant shows: no segregation data available. Therefore, PP1 is not applied.
PP2
PP2 (Not Applied) Strength Modified
According to VCEP guidelines, the rule for PP2 is: 'Supporting Strength: missense variant in gene with low benign missense rate and where missense is common mechanism.' The evidence for this variant shows: it is not a missense variant. Therefore, PP2 is not applied.
PP3
PP3 (Not Applied) Strength Modified
According to VCEP guidelines, the rule for PP3 is: 'Supporting Strength: multiple computational lines support deleterious effect.' The evidence for this variant shows: computational predictions do not support additional splicing impact beyond the frameshift. Therefore, PP3 is not applied.
PP4
PP4 (Not Applied) Strength Modified
According to VCEP guidelines, the rule for PP4 is: 'Supporting Strength: patient phenotype specific for disease.' The evidence for this variant shows: no detailed phenotype data provided. Therefore, PP4 is not applied.
PP5
PP5 (Supporting)
According to standard ACMG guidelines, the rule for PP5 is: 'Supporting Strength: Reputable source reports variant as pathogenic but evidence not available for independent evaluation.' The evidence for this variant shows: ClinVar entry from one clinical laboratory reports it as Pathogenic. Therefore, PP5 is applied at Supporting strength.
BA1
BA1 (Not Applied) Strength Modified
According to VCEP guidelines, the rule for BA1 is: 'Stand Alone Strength: gnomAD filtering AF >0.00056.' The evidence for this variant shows: allele frequency is 0%. Therefore, BA1 is not applied.
BS1
BS1 (Not Applied) Strength Modified
According to VCEP guidelines, the rule for BS1 is: 'Strong Strength: gnomAD AF from 0.000043 to 0.00056.' The evidence for this variant shows: allele frequency is 0%. Therefore, BS1 is not applied.
BS2
BS2 (Not Applied) Strength Modified
According to VCEP guidelines, the rule for BS2 is: 'Strong/Supporting Strength: observed homozygous in healthy or PHTS-unaffected individuals.' The evidence for this variant shows: no homozygous observations reported. Therefore, BS2 is not applied.
BS3
BS3 (Not Applied) Strength Modified
According to VCEP guidelines, the rule for BS3 is: 'Strong/Supporting Strength: well-established functional studies show no damaging effect.' The evidence for this variant shows: functional studies demonstrate damaging effect. Therefore, BS3 is not applied.
BS4
BS4 (Not Applied) Strength Modified
According to VCEP guidelines, the rule for BS4 is: 'Strong/Supporting Strength: lack of segregation in affected members.' The evidence for this variant shows: no segregation data. Therefore, BS4 is not applied.
BP1
BP1 (Not Applied) Strength Modified
According to VCEP guidelines, the rule for BP1 is: 'Supporting Strength: missense variant in gene where only LOF is known mechanism.' The evidence for this variant shows: it is a LOF frameshift variant. Therefore, BP1 is not applied.
BP2
BP2 (Not Applied) Strength Modified
According to VCEP guidelines, the rule for BP2 is: 'Supporting Strength: observed in trans with a pathogenic variant or in cis with ≥3 other pathogenic variants.' The evidence for this variant shows: no such observations. Therefore, BP2 is not applied.
BP3
BP3 (Not Applied) Strength Modified
According to VCEP guidelines, the rule for BP3 is: 'Supporting Strength: in-frame indel in repetitive region.' The evidence for this variant shows: it is a frameshift indel, not in a repetitive region. Therefore, BP3 is not applied.
BP4
BP4 (Not Applied) Strength Modified
According to VCEP guidelines, the rule for BP4 is: 'Supporting Strength: multiple computational lines suggest no impact.' The evidence for this variant shows: computational tools do not predict additional impact beyond frameshift LOF. Therefore, BP4 is not applied.
BP5
BP5 (Not Applied) Strength Modified
According to VCEP guidelines, the rule for BP5 is: 'Supporting Strength: variant found in case with alternate molecular basis.' The evidence for this variant shows: no alternate molecular basis reported. Therefore, BP5 is not applied.
BP6
BP6 (Not Applied) Strength Modified
According to standard ACMG guidelines, the rule for BP6 is: 'Supporting Strength: Reputable source reports variant as benign but evidence not available.' The evidence for this variant shows: no benign reports. Therefore, BP6 is not applied.
BP7
BP7 (Not Applied) Strength Modified
According to VCEP guidelines, the rule for BP7 is: 'Supporting Strength: synonymous or intronic variant with no predicted splicing impact.' The evidence for this variant shows: it is a frameshift variant. Therefore, BP7 is not applied.