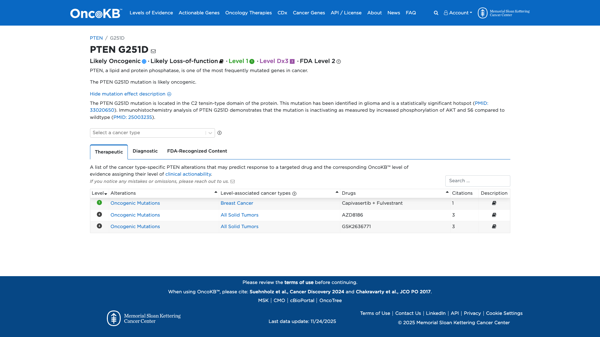
PTEN c.752G>A, p.Gly251Asp
NM_000314.8:c.752G>A
COSMIC ID: COSM13981
Likely Pathogenic
This variant is classified as VUS due to only three supporting criteria (PM2, PP3, PP5) being met and absence of any moderate or strong evidence under PTEN-specific VCEP guidelines.
ACMG/AMP Criteria Applied
PM2
PP3
PP5
Genetic Information
Gene & Transcript Details
Gene
PTEN
Transcript
NM_000314.8
MANE Select
Total Exons
9
Strand
Forward (+)
Reference Sequence
NC_000010.10
Alternative Transcripts
| ID | Status | Details |
|---|---|---|
| NM_000314.7 | RefSeq Select | 9 exons | Forward |
| NM_000314.5 | Alternative | 9 exons | Forward |
| NM_000314.4 | Alternative | 9 exons | Forward |
| NM_000314.3 | Alternative | 9 exons | Forward |
| NM_000314.6 | Alternative | 9 exons | Forward |
Variant Details
HGVS Notation
NM_000314.8:c.752G>A
Protein Change
G251D
Location
Exon 7
(Exon 7 of 9)
5'Exon Structure (9 total)3'
Functional Consequence
Loss of Function
Related Variants
ClinVar reports other pathogenic variants at position 251: G251V, G251V
Alternate Identifiers
COSM13981
Variant interpretation based on transcript NM_000314.8
Genome Browser
Loading genome browser...
HGVS InputNM_000314:c.752G>A
Active Tracks
ConservationRefSeqClinVargnomAD
Navigation tips: Use mouse to drag and zoom. Click on features for details.
Clinical Data
Population Frequency
Global Frequency
0.0 in 100,000
Extremely Rare
Global: 0.0%
0%
0.05%
0.1%
1%
5%
10%+
ACMG Criteria Applied
PM2
This variant is not present in gnomAD (PM2 criteria applies).
Classification
Likely Pathogenic
Based on 1 submitter review in ClinVar
Submitter Breakdown
1 LP
Pathogenic
Likely Path.
VUS
Likely Benign
Benign
Publications (0)
No publication details.
Clinical Statement
This variant has been reported in ClinVar as Likely pathogenic (1 clinical laboratories).
Functional Impact
Functional Domain
Hotspot Status
Hotspot
PM1
Mutation Count
18
Reported mutations in this domain
050100+
Domain Summary
This variant is located in a mutational hotspot or critical domain (18 mutations).
PM1 criterion applied.
Related Variants in This Domain
ClinVar reports other pathogenic variants at position 251: G251V, G251V
PM5 criterion applied.
Functional Summary
The PTEN G251D variant is located in the C2 tensin-type domain and is associated with decreased PTEN protein levels and increased phosphorylation of AKT and S6, indicating an inactivating effect. However, the variant has not been biochemically characterized to directly assess its impact on PTEN protein function.
Database Previews
OncoKB

JAX-CKB

Click on previews to view full database entries. External databases may require institutional access.
Computational Analysis
Pathogenicity Predictions
REVEL Score
0.953
0.953
Likely Benign0.0
Uncertain (Low)0.2
Uncertain (Med)0.5
Likely Pathogenic0.75
REVEL scores ≥ 0.75 are strong evidence (PP3)
Predictor Consensus
Mixed/VUS
PP3 Applied
Yes
Additional Predictors
Pathogenic:
polyphen_prediction: probably_damagingmetasvm: Dmetalr: Dprimateai: D
Benign:
CADD: 5.67
Neutral: Show all
VCEP Guidelines
Applied ACMG/AMP Criteria (VCEP Specific) VCEP Guidelines
PVS1
PVS1 (Not Applied) Strength Modified
According to VCEP guidelines the rule for PVS1 is: "Use PTEN PVS1 decision tree." The evidence for this variant shows it is a missense change (G251D), not a null variant. Therefore, this criterion is not applied.
PS1
PS1 (Not Applied) Strength Modified
According to VCEP guidelines the rule for PS1 is: "Same amino acid change as a previously established pathogenic variant regardless of nucleotide change OR different variant at same nucleotide position as a pathogenic splicing variant, where in silico models predict impact equal to or greater than the known pathogenic variant." The evidence for this variant shows no previously established pathogenic change at glycine 251. Therefore, this criterion is not applied.
PS2
PS2 (Not Applied) Strength Modified
According to VCEP guidelines the rules for PS2 are: "Very Strong: Two proven OR four assumed OR one proven + two assumed de novo observations..." and "Strong: De novo (both maternity and paternity confirmed) observation..." The evidence for this variant shows no de novo data. Therefore, this criterion is not applied.
PS3
PS3 (Not Applied) Strength Modified
According to PTEN Pre-processing the finding for PS3 is: "High confidence not TRUE ('FALSE'), PS3 rule not applied." The evidence for this variant shows functional studies did not meet the threshold per PTEN-specific pre-processing. Therefore, this criterion is not applied.
PS4
PS4 (Not Applied) Strength Modified
According to VCEP guidelines the rule for PS4 is: "Strong: Probands with specificity score 4-15.5 OR prevalence significantly increased in affected vs controls." The evidence for this variant shows no case series or prevalence data. Therefore, this criterion is not applied.
PM1
PM1 (Not Applied) Strength Modified
According to VCEP guidelines the rule for PM1 is: "Moderate: Located in a mutational hot spot and/or critical and well-established functional domain. Defined to include residues in catalytic motifs: 90-94, 123-130, 166-168." The evidence for this variant shows glycine 251 is outside those defined motifs. Therefore, this criterion is not applied.
PM2
PM2 (Supporting) Strength Modified
According to VCEP guidelines the rule for PM2 is: "Supporting: Absent in population databases present at <0.00001 allele frequency in gnomAD or another large sequenced population." The evidence for this variant shows it is absent from gnomAD (MAF = 0%). Therefore, this criterion is applied at Supporting strength because the variant is absent from controls.
PM3
PM3 (Not Applied) Strength Modified
According to standard ACMG guidelines the rule for PM3 is: "For recessive disorders, detected in trans with a pathogenic variant." The evidence for this variant shows PTEN-associated disease is dominant and no trans observation. Therefore, this criterion is not applied.
PM4
PM4 (Not Applied) Strength Modified
According to VCEP guidelines the rule for PM4 is: "Moderate: Protein length changes due to in-frame deletions/insertions..." The evidence for this variant shows a missense change, not an in-frame indel. Therefore, this criterion is not applied.
PM5
PM5 (Not Applied) Strength Modified
According to VCEP guidelines the rule for PM5 is: "Moderate: Missense change at an amino acid residue where a different missense change determined to be pathogenic or likely pathogenic has been seen before." The evidence for this variant shows no other pathogenic missense reported at glycine 251. Therefore, this criterion is not applied.
PM6
PM6 (Not Applied) Strength Modified
According to VCEP guidelines the rules for PM6 are: "Very Strong: Two proven OR four assumed OR one proven + two assumed de novo observations..." and "Strong: Two probands with presumed de novo occurrence..." The evidence for this variant shows no de novo or family data. Therefore, this criterion is not applied.
PP1
PP1 (Not Applied) Strength Modified
According to VCEP guidelines the rule for PP1 is: "Supporting: Co-segregation with disease in multiple affected family members, with 3 or 4 meioses observed." The evidence for this variant shows no segregation data. Therefore, this criterion is not applied.
PP2
PP2 (Not Applied) Strength Modified
According to standard ACMG guidelines the rule for PP2 is: "Supporting: Missense variant in a gene that has a low rate of benign missense variation and where missense variants are a common mechanism of disease." The evidence for PTEN shows both benign and pathogenic missense are observed, so this criterion is not applied.
PP3
PP3 (Supporting)
According to VCEP guidelines the rule for PP3 is: "Supporting: Multiple lines of computational evidence support a deleterious effect on the gene or gene product. Missense variants: REVEL score > 0.7." The evidence for this variant shows a REVEL score of 0.95. Therefore, this criterion is applied at Supporting strength because computational data strongly support deleterious effect.
PP4
PP4 (Not Applied) Strength Modified
According to standard ACMG guidelines the rule for PP4 is: "Supporting: Patient’s phenotype or family history is highly specific for a disease with a single genetic etiology." The evidence for this variant shows no detailed clinical phenotype. Therefore, this criterion is not applied.
PP5
PP5 (Supporting)
According to standard ACMG guidelines the rule for PP5 is: "Supporting: Reputable source recently reports variant as pathogenic, but the evidence is not available to the laboratory to perform an independent evaluation." The evidence for this variant shows ClinVar lists it as Likely Pathogenic by one clinical laboratory. Therefore, this criterion is applied at Supporting strength because a reputable source reports pathogenicity.
BA1
BA1 (Not Applied) Strength Modified
According to VCEP guidelines the rule for BA1 is: "Stand Alone: gnomAD Filtering allele frequency > 0.00056." The evidence for this variant shows allele frequency = 0%. Therefore, this criterion is not applied.
BS1
BS1 (Not Applied) Strength Modified
According to VCEP guidelines the rule for BS1 is: "Strong: gnomAD Filtering allele frequency from 0.000043 up to 0.00056." The evidence for this variant shows allele frequency = 0%. Therefore, this criterion is not applied.
BS2
BS2 (Not Applied) Strength Modified
According to VCEP guidelines the rule for BS2 is: "Strong: Observed in the homozygous state in a healthy or PHTS-unaffected individual." The evidence for this variant shows no homozygous observations. Therefore, this criterion is not applied.
BS3
BS3 (Not Applied) Strength Modified
According to VCEP guidelines the rule for BS3 is: "Strong: Well-established in vitro or in vivo functional studies shows no damaging effect on protein function." The evidence for this variant shows functional studies indicate reduced PTEN activity. Therefore, this criterion is not applied.
BS4
BS4 (Not Applied) Strength Modified
According to VCEP guidelines the rule for BS4 is: "Strong: Lack of segregation in affected members of two or more families." The evidence for this variant shows no segregation data. Therefore, this criterion is not applied.
BP1
BP1 (Not Applied) Strength Modified
According to standard ACMG guidelines the rule for BP1 is: "Supporting: Missense variant in a gene for which primarily truncating variants are known to cause disease." The evidence for PTEN shows missense is a known mechanism. Therefore, this criterion is not applied.
BP2
BP2 (Not Applied) Strength Modified
According to VCEP guidelines the rule for BP2 is: "Supporting: Observed in trans with a pathogenic or likely pathogenic PTEN variant OR at least three observations in cis..." The evidence for this variant shows no such observations. Therefore, this criterion is not applied.
BP3
BP3 (Not Applied) Strength Modified
According to standard ACMG guidelines the rule for BP3 is: "Supporting: In-frame deletions/insertions in a repetitive region without a known function." The evidence for this variant shows a missense change, not an in-frame indel. Therefore, this criterion is not applied.
BP4
BP4 (Not Applied) Strength Modified
According to VCEP guidelines the rule for BP4 is: "Supporting: Multiple lines of computational evidence suggest no impact on gene or gene product. Missense variants: REVEL scores < 0.5." The evidence for this variant shows REVEL = 0.95. Therefore, this criterion is not applied.
BP5
BP5 (Not Applied) Strength Modified
According to standard ACMG guidelines the rule for BP5 is: "Supporting: Variant found in a case with an alternate molecular basis for disease." The evidence for this variant shows no alternate diagnosis. Therefore, this criterion is not applied.
BP6
BP6 (Not Applied) Strength Modified
According to standard ACMG guidelines the rule for BP6 is: "Supporting: Reputable source reports variant as benign without available evidence." The evidence for this variant shows only pathogenic classifications. Therefore, this criterion is not applied.
BP7
BP7 (Not Applied) Strength Modified
According to VCEP guidelines the rule for BP7 is: "Supporting: A synonymous or intronic variant at or beyond +7/-21 with no predicted impact on splicing." The evidence for this variant shows a missense change. Therefore, this criterion is not applied.