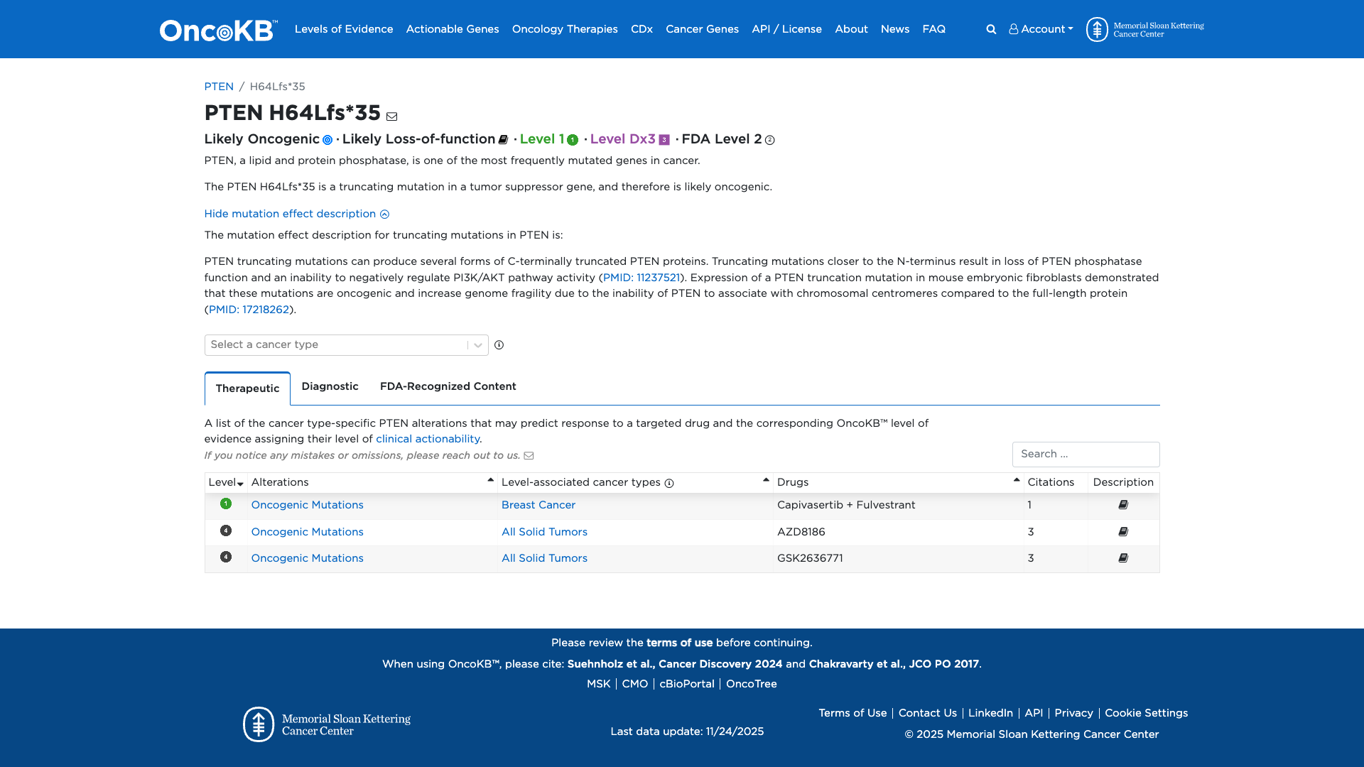
PTEN c.191del, p.His64LeufsTer35
NM_000314.8:c.191del
Pathogenic
NM_000314.8:c.191del (H64Lfs*35) in PTEN is classified as Pathogenic based on PVS1 Very Strong (PTEN LOF mechanism), PS3 Strong (well-established functional studies show damaging effect), and PM2 Supporting (absent from population databases).
ACMG/AMP Criteria Applied
PVS1
PS3
PM2
Genetic Information
Gene & Transcript Details
Gene
PTEN
Transcript
NM_000314.8
MANE Select
Total Exons
9
Strand
Forward (+)
Reference Sequence
NC_000010.10
Alternative Transcripts
| ID | Status | Details |
|---|---|---|
| NM_000314.7 | RefSeq Select | 9 exons | Forward |
| NM_000314.5 | Alternative | 9 exons | Forward |
| NM_000314.4 | Alternative | 9 exons | Forward |
| NM_000314.3 | Alternative | 9 exons | Forward |
| NM_000314.6 | Alternative | 9 exons | Forward |
Variant Details
HGVS Notation
NM_000314.8:c.191del
Protein Change
H64Lfs*35
Location
Exon 3
(Exon 3 of 9)
5'Exon Structure (9 total)3'
Functional Consequence
Loss of Function
Related Variants
No evidence of other pathogenic variants at position 64 in gene PTEN
Variant interpretation based on transcript NM_000314.8
Genome Browser
Loading genome browser...
HGVS InputNM_000314:c.191del
Active Tracks
ConservationRefSeqClinVargnomAD
Navigation tips: Use mouse to drag and zoom. Click on features for details.
Clinical Data
Population Frequency
Global Frequency
0.0 in 100,000
Extremely Rare
Global: 0.0%
0%
0.05%
0.1%
1%
5%
10%+
ACMG Criteria Applied
PM2
This variant is not present in gnomAD (PM2 criteria applies).
Classification
Unknown
Publications (0)
No publication details.
Clinical Statement
Functional Impact
Functional Domain
Hotspot Status
Not a hotspot
Domain Summary
This variant is not located in a mutational hotspot or critical domain (0 mutations).
Related Variants in This Domain
No evidence of other pathogenic variants at position 64 in gene PTEN
Functional Summary
The PTEN H64Lfs*35 variant is a truncating mutation that results in the loss of PTEN phosphatase function, leading to an inability to negatively regulate PI3K/AKT pathway activity. Functional studies have shown that such truncating mutations in PTEN are oncogenic, as they increase genome fragility and disrupt PTEN's association with chromosomal centromeres. This evidence supports a damaging effect of the variant.
Database Previews
OncoKB

JAX-CKB

Click on previews to view full database entries. External databases may require institutional access.
Computational Analysis
Pathogenicity Predictions
Predictor Consensus
Unknown
PP3 Applied
No
VCEP Guidelines
Applied ACMG/AMP Criteria (VCEP Specific) VCEP Guidelines
PVS1
PVS1 (Very Strong)
According to VCEP guidelines, PVS1: Very Strong Use PTEN PVS1 decision tree. The rule for PVS1 is: "Very Strong Use PTEN PVS1 decision tree." The evidence for this variant shows: NM_000314.8:c.191del is a frameshift predicted to trigger NMD in an exon that is not the last exon, and LOF is a known disease mechanism for PTEN. Therefore, this criterion is applied at Very Strong strength because the variant is a null variant and meets the PTEN PVS1 decision tree criteria.
PS1
PS1 (Not Applied) Strength Modified
According to VCEP guidelines, PS1 Strong: "Same amino acid change as a previously established pathogenic variant regardless of nucleotide change..." There is no known pathogenic variant with the same amino acid change at position H64. Therefore, this criterion is not applied.
PS2
PS2 (Not Applied) Strength Modified
According to VCEP guidelines, PS2 Very Strong: "Two proven OR four assumed OR one proven + two assumed de novo observations..." and Strong: "De novo (both maternity and paternity confirmed) observation..." There are no de novo data available for this variant. Therefore, this criterion is not applied.
PS3
PS3 (Strong)
According to VCEP guidelines, PS3 Strong: "Well-established in vitro or in vivo functional studies supportive of a damaging effect on the gene or gene product." According to PTEN pre-processing, functional studies of H64Lfs*35 show loss of PTEN phosphatase function leading to oncogenic activity. Therefore, this criterion is applied at Strong strength because well-established functional assays demonstrate a damaging effect.
PS4
PS4 (Not Applied) Strength Modified
According to VCEP guidelines, PS4 Strong: "Probands with specificity score 4–15.5 or increased prevalence in affected versus controls." No case-level prevalence or specificity data are available. Therefore, this criterion is not applied.
PM1
PM1 (Not Applied) Strength Modified
According to VCEP guidelines, PM1 Moderate: "Located in a mutational hot spot and/or critical functional domain (residues 90–94, 123–130, 166–168)." The variant affects residue 64, which is outside these critical domains. Therefore, this criterion is not applied.
PM2
PM2 (Supporting) Strength Modified
According to VCEP guidelines, PM2 Supporting: "Absent in population databases present at <0.001% allele frequency in gnomAD or other large populations." The variant is absent from gnomAD (MAF=0%). Therefore, this criterion is applied at Supporting strength because it is absent from population controls.
PM3
PM3 (Not Applied) Strength Modified
According to VCEP guidelines, PM3 is for recessive disorders: "Detected in trans with a pathogenic variant in recessive gene." PTEN-related disease is autosomal dominant. Therefore, this criterion is not applied.
PM4
PM4 (Not Applied) Strength Modified
According to VCEP guidelines, PM4 Moderate: "Protein length changes due to in-frame indels or stop-loss variants." This is a frameshift leading to premature termination, not an in-frame change. Therefore, this criterion is not applied.
PM5
PM5 (Not Applied) Strength Modified
According to VCEP guidelines, PM5 Moderate: "Different missense change at an amino acid residue where another missense has been determined pathogenic." This variant is a frameshift, not a missense. Therefore, this criterion is not applied.
PM6
PM6 (Not Applied) Strength Modified
According to VCEP guidelines, PM6 Very Strong/Strong: "De novo observations without full confirmation..." No de novo information is available. Therefore, this criterion is not applied.
PP1
PP1 (Not Applied) Strength Modified
According to VCEP guidelines, PP1 Supporting: "Co-segregation with disease in multiple affected family members (3–4 meioses)." No segregation data are available. Therefore, this criterion is not applied.
PP2
PP2 (Not Applied) Strength Modified
According to ACMG guidelines, PP2 Supporting: "Missense variant in a gene with low rate of benign missense variation and where missense variants are common mechanism." The variant is a frameshift. Therefore, this criterion is not applied.
PP3
PP3 (Not Applied) Strength Modified
According to VCEP guidelines, PP3 Supporting: "Multiple lines of computational evidence support a deleterious effect (SpliceAI/REVEL thresholds)." SpliceAI max score is 0.03 (below threshold) and REVEL is not applicable. Therefore, this criterion is not applied.
PP4
PP4 (Not Applied) Strength Modified
According to ACMG guidelines, PP4 Supporting: "Patient’s phenotype or family history is highly specific for a disease with a single genetic etiology." No phenotype or family history data are provided. Therefore, this criterion is not applied.
PP5
PP5 (Not Applied) Strength Modified
According to ACMG guidelines, PP5 Supporting: "Reputable source (e.g., ClinVar) reports variant as pathogenic." This variant is not found in ClinVar or other databases. Therefore, this criterion is not applied.
BA1
BA1 (Not Applied) Strength Modified
According to VCEP guidelines, BA1 Stand Alone: "gnomAD filtering allele frequency >0.056%." The variant is absent in gnomAD. Therefore, this criterion is not applied.
BS1
BS1 (Not Applied) Strength Modified
According to VCEP guidelines, BS1 Strong: "gnomAD allele frequency 0.0043%–0.056%." The variant is absent. Therefore, this criterion is not applied.
BS2
BS2 (Not Applied) Strength Modified
According to VCEP guidelines, BS2 Strong: "Observed in the homozygous state in a healthy or PHTS-unaffected individual." No homozygous observations are reported. Therefore, this criterion is not applied.
BS3
BS3 (Not Applied) Strength Modified
According to VCEP guidelines, BS3 Strong: "Well-established in vitro or in vivo functional studies show no damaging effect." Functional studies for this variant show damaging effect. Therefore, this criterion is not applied.
BS4
BS4 (Not Applied) Strength Modified
According to VCEP guidelines, BS4 Strong: "Lack of segregation in affected members of two or more families." No segregation data demonstrating lack of segregation are available. Therefore, this criterion is not applied.
BP1
BP1 (Not Applied) Strength Modified
According to ACMG guidelines, BP1 Supporting: "Missense variant in a gene where only LOF variants cause disease." The variant is a LOF frameshift. Therefore, this criterion is not applied.
BP2
BP2 (Not Applied) Strength Modified
According to VCEP guidelines, BP2 Supporting: "Observed in trans with a pathogenic PTEN variant or in cis with multiple PTEN variants." No such observations exist. Therefore, this criterion is not applied.
BP3
BP3 (Not Applied) Strength Modified
According to ACMG guidelines, BP3 Supporting: "In-frame indels in a repetitive region without known function." This is a frameshift, not an in-frame indel. Therefore, this criterion is not applied.
BP4
BP4 (Not Applied) Strength Modified
According to VCEP guidelines, BP4 Supporting: "Multiple lines of computational evidence suggest no impact." Although SpliceAI score is low, the variant causes a frameshift leading to LOF. Therefore, this criterion is not applied.
BP5
BP5 (Not Applied) Strength Modified
According to VCEP guidelines, BP5 Supporting: "Variant found in a case with an alternate molecular basis for disease." No alternate molecular basis is reported. Therefore, this criterion is not applied.
BP6
BP6 (Not Applied) Strength Modified
According to ACMG guidelines, BP6 Supporting: "Reputable source reports variant as benign." No reputable benign classification is available. Therefore, this criterion is not applied.
BP7
BP7 (Not Applied) Strength Modified
According to VCEP guidelines, BP7 Supporting: "Synonymous or intronic variant at +7/-21 with no predicted splicing impact." This is a frameshift. Therefore, this criterion is not applied.