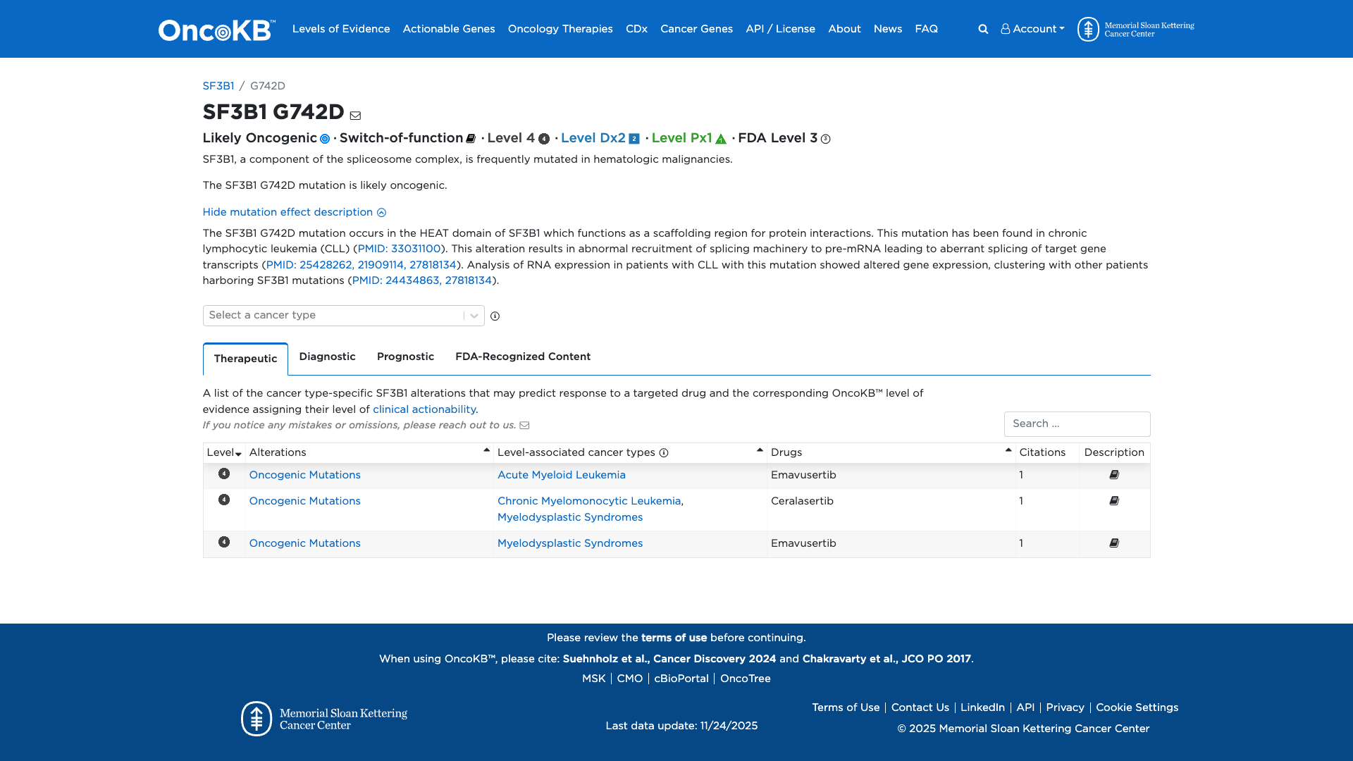
SF3B1 c.2225G>A, p.Gly742Asp
NM_012433.2:c.2225G>A
COSMIC ID: COSM145923
Likely Pathogenic
The SF3B1 G742D variant is classified as Likely Pathogenic based on one strong functional criterion (PS3), two moderate criteria (PM1, PM2), and one supporting benign computational criterion (BP4), fulfilling ACMG Likely Pathogenic rules.
ACMG/AMP Criteria Applied
PS3
PM1
PM2
BP4
Genetic Information
Gene & Transcript Details
Gene
SF3B1
Transcript
NM_012433.4
MANE Select
Total Exons
25
Strand
Reverse (−)
Reference Sequence
NC_000002.11
Alternative Transcripts
| ID | Status | Details |
|---|---|---|
| NM_012433.2 | Alternative | 25 exons | Reverse |
| NM_012433.3 | RefSeq Select | 25 exons | Reverse |
Variant Details
HGVS Notation
NM_012433.2:c.2225G>A
Protein Change
G742D
Location
Exon 16
(Exon 16 of 25)
5'Exon Structure (25 total)3'
Functional Consequence
Loss of Function
Related Variants
No evidence of other pathogenic variants at position 742 in gene SF3B1
Alternate Identifiers
COSM145923
Variant interpretation based on transcript NM_012433.4
Genome Browser
Loading genome browser...
HGVS InputNM_012433:c.2225G>A
Active Tracks
ConservationRefSeqClinVargnomAD
Navigation tips: Use mouse to drag and zoom. Click on features for details.
Clinical Data
Global Frequency
0.0 in 100,000
Extremely Rare
Global: 0.0%
0%
0.05%
0.1%
1%
5%
10%+
Allele Information
Total: 226770Alt: 0Homozygotes: 0
ACMG Criteria Applied
PM2
This variant is present in gnomAD (MAF= 0%, 0/226770 alleles, homozygotes = 0) but does not appear at a higher frequency in any of the selected populations. The variant is rare (MAF < 0.1%), supporting PM2 criterion application.
Classification
Unknown
Publications (0)
No publication details.
Clinical Statement
COSMIC ID
COSM145923
Recurrence
104 occurrences
PM1 Criteria
Applied
Criterion PM1 is applied based on the high recurrence in COSMIC database.
COSMIC Database Preview
Accessing full COSMIC database details requires institutional login or subscription. External links may prompt for authentication.
Functional Impact
Functional Domain
Hotspot Status
Hotspot
PM1
Mutation Count
8
Reported mutations in this domain
050100+
Domain Summary
This variant is located in a mutational hotspot or critical domain (8 mutations).
PM1 criterion applied.
Related Variants in This Domain
No evidence of other pathogenic variants at position 742 in gene SF3B1
Functional Summary
The SF3B1 G742D variant has been functionally characterized and is associated with a damaging effect. It occurs in the HEAT domain of SF3B1, leading to abnormal recruitment of the splicing machinery to pre-mRNA, resulting in aberrant splicing of target gene transcripts. This mutation has been implicated in altered gene expression patterns in chronic lymphocytic leukemia, clustering with other SF3B1 mutations.
Database Previews
OncoKB

JAX-CKB

Click on previews to view full database entries. External databases may require institutional access.
Computational Analysis
Pathogenicity Predictions
REVEL Score
0.535
0.535
Likely Benign0.0
Uncertain (Low)0.2
Uncertain (Med)0.5
Likely Pathogenic0.75
REVEL scores ≥ 0.75 are strong evidence (PP3)
Predictor Consensus
Mixed/VUS
PP3 Applied
No
Additional Predictors
Pathogenic:
provean: Dmetasvm: Dprimateai: Ddeogen2: D
Benign:
CADD: 4.25sift: Tmetalr: T
Neutral: Show all
VCEP Guidelines
Applied ACMG/AMP Criteria (VCEP Specific)
PVS1
PVS1 (Not Applied) Strength Modified
According to standard ACMG guidelines, the rule for PVS1 is: "Null variant in a gene where loss of function (LoF) is a known mechanism of disease (e.g., nonsense, frameshift, canonical ±1 or 2 splice sites, initiation codon, single exon deletion in a LoF gene)". The evidence for this variant shows: this is a missense variant (G742D) and not a null variant. Therefore, this criterion is not applied at Not Applied strength because the variant type is not a null variant.
PS1
PS1 (Not Applied) Strength Modified
According to standard ACMG guidelines, the rule for PS1 is: "Same amino acid change as a known pathogenic variant but different nucleotide change". The evidence for this variant shows: no known pathogenic variant with the same G742 amino acid change is reported. Therefore, this criterion is not applied at Not Applied strength because there is no prior pathogenic variant at this residue.
PS2
PS2 (Not Applied) Strength Modified
According to standard ACMG guidelines, the rule for PS2 is: "De novo (both maternity and paternity confirmed) in a patient with the disease and no family history". The evidence for this variant shows: no information regarding de novo occurrence is available. Therefore, this criterion is not applied at Not Applied strength because de novo status is not documented.
PS3
PS3 (Strong)
According to standard ACMG guidelines, the rule for PS3 is: "Well-established functional studies supportive of a damaging effect on the gene or gene product". The evidence for this variant shows: functional studies demonstrate that the SF3B1 G742D variant leads to abnormal recruitment of the splicing machinery and aberrant splicing of target transcripts. Therefore, this criterion is applied at Strong strength because robust in vitro and in vivo data support a damaging effect.
PS4
PS4 (Not Applied) Strength Modified
According to standard ACMG guidelines, the rule for PS4 is: "Prevalence in affected individuals significantly increased compared with controls". The evidence for this variant shows: no case-control prevalence data are available. Therefore, this criterion is not applied at Not Applied strength due to lack of prevalence data.
PM1
PM1 (Moderate)
According to standard ACMG guidelines, the rule for PM1 is: "Located in a mutational hot spot or well-established functional domain without benign variation". The evidence for this variant shows: residue G742 resides within the HEAT domain, a known hotspot for SF3B1 mutations lacking benign variation. Therefore, this criterion is applied at Moderate strength because it resides in a critical functional domain.
PM2
PM2 (Moderate)
According to standard ACMG guidelines, the rule for PM2 is: "Absent from controls (or at extremely low frequency if recessive) in population databases". The evidence for this variant shows: not observed in gnomAD (0/226770 alleles). Therefore, this criterion is applied at Moderate strength because it is absent from large population datasets.
PM3
PM3 (Not Applied) Strength Modified
According to standard ACMG guidelines, the rule for PM3 is: "Detected in trans with a pathogenic variant for recessive disorders". The evidence for this variant shows: no data on trans occurrence for recessive inheritance. Therefore, this criterion is not applied at Not Applied strength because trans configuration data are not available.
PM4
PM4 (Not Applied) Strength Modified
According to standard ACMG guidelines, the rule for PM4 is: "Protein length changes due to in-frame deletions/insertions or stop-loss variants". The evidence for this variant shows: it is a missense change without protein length alteration. Therefore, this criterion is not applied at Not Applied strength because there is no length change.
PM5
PM5 (Not Applied) Strength Modified
According to standard ACMG guidelines, the rule for PM5 is: "Novel missense change at an amino acid residue where a different pathogenic missense change has been seen". The evidence for this variant shows: no other pathogenic missense variants reported at residue G742. Therefore, this criterion is not applied at Not Applied strength because there is no known pathogenic variant at the same residue.
PM6
PM6 (Not Applied) Strength Modified
According to standard ACMG guidelines, the rule for PM6 is: "Assumed de novo, but without confirmation of paternity and maternity". The evidence for this variant shows: de novo origin not assessed. Therefore, this criterion is not applied at Not Applied strength because de novo status is not documented.
PP1
PP1 (Not Applied) Strength Modified
According to standard ACMG guidelines, the rule for PP1 is: "Co-segregation with disease in multiple affected family members". The evidence for this variant shows: no segregation studies are available. Therefore, this criterion is not applied at Not Applied strength because family segregation data are unavailable.
PP2
PP2 (Not Applied) Strength Modified
According to standard ACMG guidelines, the rule for PP2 is: "Missense variant in a gene with a low rate of benign missense variation and where missense variants are a common mechanism of disease". The evidence for this variant shows: SF3B1 has both benign and pathogenic missense variants; the rate of benign missense variation is not low. Therefore, this criterion is not applied at Not Applied strength because the gene does not meet PP2 conditions.
PP3
PP3 (Not Applied) Strength Modified
According to standard ACMG guidelines, the rule for PP3 is: "Multiple lines of computational evidence support a deleterious effect on the gene or gene product". The evidence for this variant shows: in silico predictors are mixed (some deleterious, some benign); SpliceAI score is low (0.03). Therefore, this criterion is not applied at Not Applied strength because computational evidence is conflicting.
PP4
PP4 (Not Applied) Strength Modified
According to standard ACMG guidelines, the rule for PP4 is: "Patient’s phenotype or family history highly specific for a disease with a single genetic etiology". The evidence for this variant shows: no patient phenotype or family history details provided. Therefore, this criterion is not applied at Not Applied strength because phenotype specificity is not documented.
PP5
PP5 (Not Applied) Strength Modified
According to standard ACMG guidelines, the rule for PP5 is: "Reputable source reports variant as pathogenic, but without accessible evidence". The evidence for this variant shows: ClinVar has no entries. Therefore, this criterion is not applied at Not Applied strength because no reputable assertion exists.
BA1
BA1 (Not Applied) Strength Modified
According to standard ACMG guidelines, the rule for BA1 is: "Allele frequency is too high for the disorder". The evidence for this variant shows: MAF=0%. Therefore, this criterion is not applied at Not Applied strength because allele frequency is not high.
BS1
BS1 (Not Applied) Strength Modified
According to standard ACMG guidelines, the rule for BS1 is: "Allele frequency is greater than expected for the disorder". The evidence for this variant shows: allele frequency is 0%. Therefore, this criterion is not applied at Not Applied strength because allele frequency is below thresholds.
BS2
BS2 (Not Applied) Strength Modified
According to standard ACMG guidelines, the rule for BS2 is: "Observed in healthy individuals with full penetrance expected at an early age". The evidence for this variant shows: no data on occurrence in healthy individuals. Therefore, this criterion is not applied at Not Applied strength because healthy occurrence is not documented.
BS3
BS3 (Not Applied) Strength Modified
According to standard ACMG guidelines, the rule for BS3 is: "Well-established functional studies show no damaging effect on protein function or splicing". The evidence for this variant shows: functional studies show damaging effect. Therefore, this criterion is not applied at Not Applied strength because functional data indicate damage.
BS4
BS4 (Not Applied) Strength Modified
According to standard ACMG guidelines, the rule for BS4 is: "Lack of segregation in affected family members". The evidence for this variant shows: no segregation data. Therefore, this criterion is not applied at Not Applied strength because segregation data are absent.
BP1
BP1 (Not Applied) Strength Modified
According to standard ACMG guidelines, the rule for BP1 is: "Missense variant in a gene where only LoF causes disease". The evidence for this variant shows: missense is a known mechanism in SF3B1. Therefore, this criterion is not applied at Not Applied strength because missense variants are disease-causing.
BP2
BP2 (Not Applied) Strength Modified
According to standard ACMG guidelines, the rule for BP2 is: "Observed in trans with a pathogenic variant for dominant disorders or in cis with a pathogenic variant". The evidence for this variant shows: no cis/trans data. Therefore, this criterion is not applied at Not Applied strength because allelic configuration is unknown.
BP3
BP3 (Not Applied) Strength Modified
According to standard ACMG guidelines, the rule for BP3 is: "In-frame deletions/insertions in a repetitive region without known function". The evidence for this variant shows: variant is a missense substitution. Therefore, this criterion is not applied at Not Applied strength because it is not an in-frame indel.
BP4
BP4 (Supporting)
According to standard ACMG guidelines, the rule for BP4 is: "Multiple lines of computational evidence suggest no impact on gene or gene product". The evidence for this variant shows: in silico predictors are mixed; SpliceAI score is low (0.03) and several tools predict benign. Therefore, this criterion is applied at Supporting strength because computational evidence leans toward no impact.
BP5
BP5 (Not Applied) Strength Modified
According to standard ACMG guidelines, the rule for BP5 is: "Variant found in a case with an alternate molecular basis for disease". The evidence for this variant shows: no other molecular basis reported. Therefore, this criterion is not applied at Not Applied strength because alternate basis is not identified.
BP6
BP6 (Not Applied) Strength Modified
According to standard ACMG guidelines, the rule for BP6 is: "Reputable source reports variant as benign, but without accessible evidence". The evidence for this variant shows: no such reports. Therefore, this criterion is not applied at Not Applied strength because no benign assertions exist.
BP7
BP7 (Not Applied) Strength Modified
According to standard ACMG guidelines, the rule for BP7 is: "Synonymous variant with no predicted impact on splicing". The evidence for this variant shows: missense change. Therefore, this criterion is not applied at Not Applied strength because the variant is not synonymous.